Forum Entomologi Italiani
http://www.entomologiitaliani.net/public/forum/phpBB3/

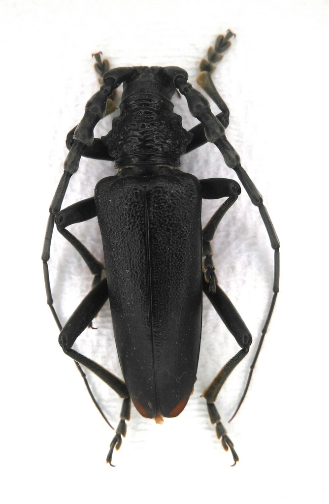
Cerambyx miles Bonelli, 1812 - Cerambycidae
http://www.entomologiitaliani.net/public/forum/phpBB3/viewtopic.php?f=145&t=69478
Pagina 1 di 1

Autore:  donatol [ 10/07/2016, 11:44 ]
Oggetto del messaggio:  Cerambyx miles Bonelli, 1812 - Cerambycidae

Ciao a tutti, inserisco la foto di questo Cerambyx trovato ieri in una trappola dolce. A me, e agli altri entomolucani :bln: , pare il miles, che ne pensate?

Grazie :hi:

Allegati:
IMG_20160709_204826.JPG


Autore:  Plagionotus [ 10/07/2016, 13:44 ]
Oggetto del messaggio:  Re: Cerambyx miles?

Eh giĆ , un bellissimo maschio :ok: :ok: :birra: :birra:

Autore:  donatol [ 10/07/2016, 20:03 ]
Oggetto del messaggio:  Re: Cerambyx miles?

Grazie mille :birra:

Pagina 1 di 1 Tutti gli orari sono UTC + 1 ora [ ora legale ]
Powered by phpBB® Forum Software © phpBB Group
http://www.phpbb.com/