Benvenuto Ospite

Forum Entomologi Italiani

www.entomologiitaliani.net/forum
 
Oggi è 28/10/2025, 10:16

Tutti gli orari sono UTC + 1 ora [ ora legale ]

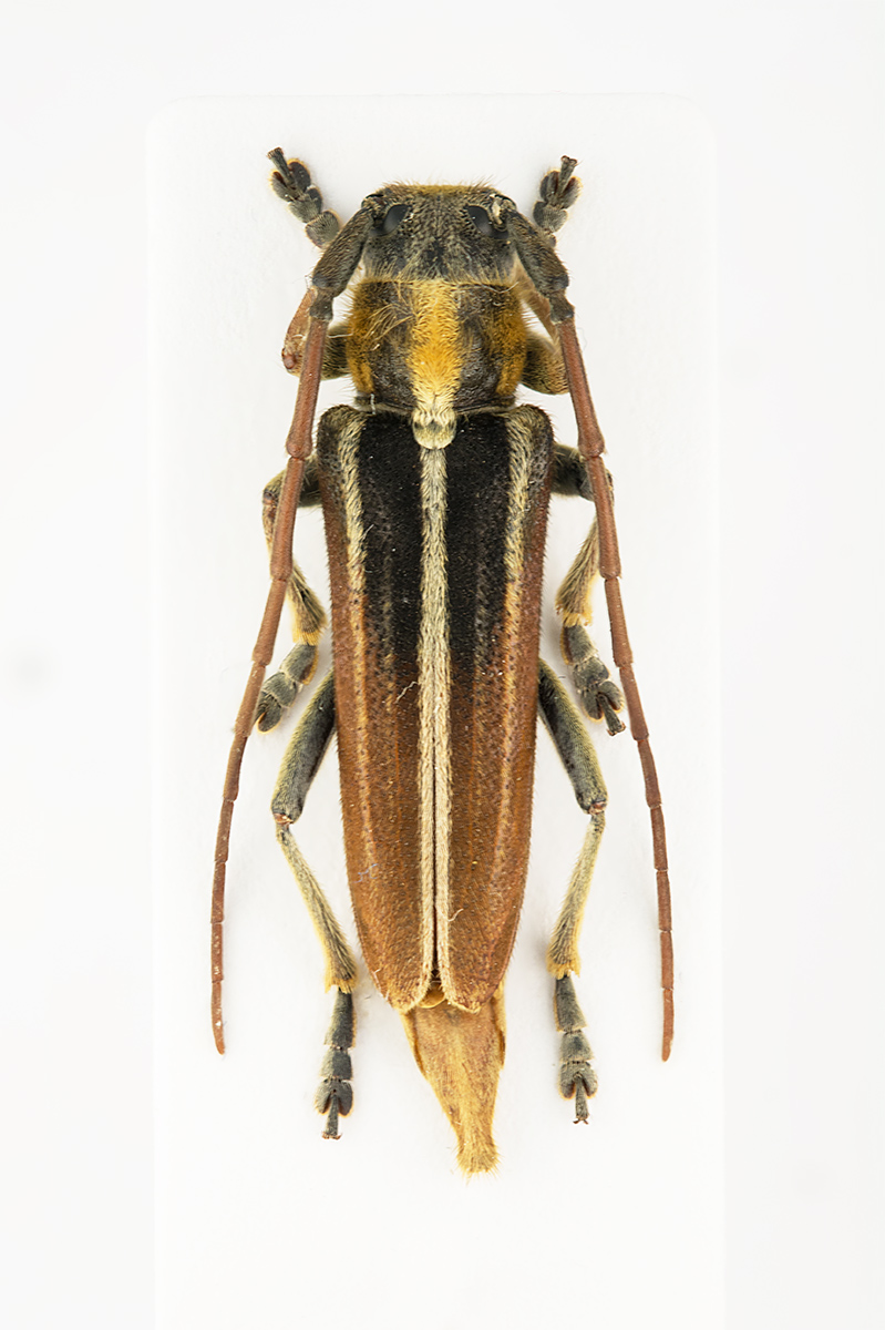
Pygoptosia eugeniae (Ganglbauer, 1884) - Cerambycidae

4.V.2016 - IRAN, REPUBBLICA ISLAMICA DELL' - EE, Lorestan prov. 2Km SSE Dorud 33°27'50''N 49°04'35''E 1490m Lech Kruszelnicki legit


nuovo argomento
rispondi
Pagina 1 di 1 [ 5 messaggi ]
Autore Messaggio
MessaggioInviato: 07/12/2016, 14:04 
Avatar utente

Iscritto il: 21/05/2009, 14:59
Messaggi: 6994
Località: Parigi
Nome: Riccardo Poloni
Sul forum non c'era, così provvedo ;)

eugeniae coppia f.jpg



DSC_0125 1bsf.jpg



DSC_0117 1bsf.jpg


_________________
Riccardo Poloni
La dignità degli elementi
la libertà della poesia,
al di là dei tradimenti degli uomini
è magia, è magia, è magia...
Negrita, Rotolando verso sud


Top
profilo
MessaggioInviato: 07/12/2016, 22:35 
Avatar utente

Iscritto il: 19/06/2012, 14:35
Messaggi: 5632
Località: Alfonsine (RA)
Nome: Marco Villani
Bella specie e belle foto! I Phytoeciini sono tra i miei Cerambycidae preferiti.
Ciao.
Marco.


Top
profilo
MessaggioInviato: 08/12/2016, 10:49 
Avatar utente

Iscritto il: 05/08/2009, 18:02
Messaggi: 2264
Nome: Marcello Benelli
marco villa ha scritto:
Bella specie e belle foto! I Phytoeciini sono tra i miei Cerambycidae preferiti.
Ciao.
Marco.


A Cipro dovrei raccoglierne abbastanza se tutto va come deve... tra helladia, coptosia, agapanthia ecc...
Ti porterò un souvenir...

_________________
Marci
"S'i fosse fuoco, arderei 'l mondo,
S'i fosse vento, lo tempesterei,
S'i fosse acqua, i' l'annegherei
s'i fosse dio, mandereil' en profondo" ( Cecco Angiolieri).


Top
profilo
MessaggioInviato: 08/12/2016, 11:12 
Avatar utente

Iscritto il: 19/06/2012, 14:35
Messaggi: 5632
Località: Alfonsine (RA)
Nome: Marco Villani
Entomarci ha scritto:
marco villa ha scritto:
Bella specie e belle foto! I Phytoeciini sono tra i miei Cerambycidae preferiti.
Ciao.
Marco.


A Cipro dovrei raccoglierne abbastanza se tutto va come deve... tra helladia, coptosia, agapanthia ecc...
Ti porterò un souvenir...


Grazie mille, Marcello :birra:


Top
profilo
MessaggioInviato: 08/12/2016, 15:00 
Avatar utente

Iscritto il: 21/05/2009, 14:59
Messaggi: 6994
Località: Parigi
Nome: Riccardo Poloni
Entomarci ha scritto:
marco villa ha scritto:
Bella specie e belle foto! I Phytoeciini sono tra i miei Cerambycidae preferiti.
Ciao.
Marco.


A Cipro dovrei raccoglierne abbastanza se tutto va come deve... tra helladia, coptosia, agapanthia ecc...
Ti porterò un souvenir...


Porta un souvenir anche a me :mrgreen: . I Phytoeciini, anche per me, sia per questioni di biologia che di sistematica sono i più interessanti tra i Cerambycidae!

_________________
Riccardo Poloni
La dignità degli elementi
la libertà della poesia,
al di là dei tradimenti degli uomini
è magia, è magia, è magia...
Negrita, Rotolando verso sud


Top
profilo
Visualizza ultimi messaggi:  Ordina per  
nuovo argomento
rispondi
Pagina 1 di 1 [ 5 messaggi ]

Tutti gli orari sono UTC + 1 ora [ ora legale ]


Chi c’è in linea

Visitano il forum: Nessuno e 2 ospiti


Non puoi aprire nuovi argomenti
Non puoi rispondere negli argomenti
Non puoi modificare i tuoi messaggi
Non puoi cancellare i tuoi messaggi
Non puoi inviare allegati

Cerca per:
Vai a: