Benvenuto Ospite

Forum Entomologi Italiani

www.entomologiitaliani.net/forum
 
Oggi è 26/10/2025, 14:01

Tutti gli orari sono UTC + 1 ora [ ora legale ]

Brachypteroma ottomanum Heyden, 1863 Dettagli della specie

5.IV.2017 - ITALIA - Toscana - FI, Colline sopra Scandicci (FI),via di Castel Pucci,Località "le fornaci"


nuovo argomento
rispondi
Pagina 1 di 1 [ 9 messaggi ]
Autore Messaggio
MessaggioInviato: 13/04/2017, 19:20 
Avatar utente

Iscritto il: 21/04/2015, 21:43
Messaggi: 413
Località: Firenze
Nome: Lorenzo Pancini
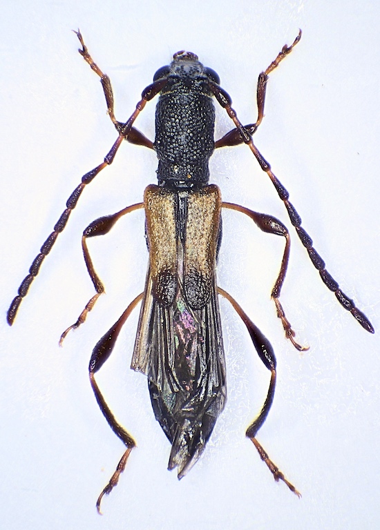
Grazie a chi mi può aiutare ad identificare questo cerambycidae,tanto piccolo quanto bello!
Misura : 3mm


2004-11-19_Fotor.jpg


_________________
Lorenzo
Top
profilo
 Oggetto del messaggio: Re: Cerambycidae
MessaggioInviato: 13/04/2017, 19:26 
Avatar utente

Iscritto il: 30/12/2009, 22:20
Messaggi: 31564
Località: Roma
Nome: Maurizio Gigli
Brachypteroma ottomanum.
Immagino tu l'abbia preso su fiori di Crataegus. Ne ho visto qualcuno anch'io stamattina.

_________________
Maurizio Gigli
http://utenti.romascuola.net/bups
http://bup.xoom.it/


Top
profilo
 Oggetto del messaggio: Re: Cerambycidae
MessaggioInviato: 13/04/2017, 19:31 
Avatar utente

Iscritto il: 21/04/2015, 21:43
Messaggi: 413
Località: Firenze
Nome: Lorenzo Pancini
Grazie Maurizio,velocissimo!
Si l'ho raccolto su un fiore, ma non so se è quello che menzioni te,scusa la mia ignoranza.
Grazie ancora ciao :hi: :hi:

_________________
Lorenzo


Top
profilo
 Oggetto del messaggio: Re: Cerambycidae
MessaggioInviato: 13/04/2017, 19:36 
Avatar utente

Iscritto il: 21/04/2015, 21:43
Messaggi: 413
Località: Firenze
Nome: Lorenzo Pancini
Ho controllato,Crataegus è il biancospino...no,sinceramente era posato su un fiore giallo di cui non conosco il nome.
Magari era li di passaggio :roll:
ciao :hi:

_________________
Lorenzo


Top
profilo
 Oggetto del messaggio: Re: Cerambycidae
MessaggioInviato: 13/04/2017, 21:37 
Avatar utente

Iscritto il: 30/12/2009, 22:20
Messaggi: 31564
Località: Roma
Nome: Maurizio Gigli
cennino ha scritto:
Ho controllato,Crataegus è il biancospino...no,sinceramente era posato su un fiore giallo di cui non conosco il nome.
Magari era li di passaggio :roll:
ciao :hi:

Si, a volte vanno anche su altri (anni fa la rosa che avevo in giardino era piena), ma i loro preferiti di solito sono i fiori di Crataegus, dove si trovano spesso insieme alle Grammoptera ed altri cerambicetti.

_________________
Maurizio Gigli
http://utenti.romascuola.net/bups
http://bup.xoom.it/


Top
profilo
 Oggetto del messaggio: Re: Cerambycidae
MessaggioInviato: 14/04/2017, 12:55 
Avatar utente

Iscritto il: 31/12/2009, 1:47
Messaggi: 902
Località: Bellano (LC)
Nome: Martino Salvetti
In bibliografia e' citata anche Edera, anni fa ne trovai tantissimi in un prato che stava di fianco a in bosco di castagni, e sui muretti costruiti a secco lungo un sentiero di bordo cresceva molta edera. Pero' avevano tagliato in zona molte arboree miste, castagni, nocciolo, e vecchi ciliegi selvatici....


Top
profilo
 Oggetto del messaggio: Re: Cerambycidae
MessaggioInviato: 15/04/2017, 17:56 
Avatar utente

Iscritto il: 21/05/2009, 14:59
Messaggi: 6994
Località: Parigi
Nome: Riccardo Poloni
Hedera + la pianta ospite, mentre sul biancospino ci vanno attratti dal polline e altro ;)

_________________
Riccardo Poloni
La dignità degli elementi
la libertà della poesia,
al di là dei tradimenti degli uomini
è magia, è magia, è magia...
Negrita, Rotolando verso sud


Top
profilo
 Oggetto del messaggio: Re: Cerambycidae
MessaggioInviato: 15/04/2017, 18:44 
Avatar utente

Iscritto il: 28/03/2011, 14:46
Messaggi: 634
Località: Cadiz, España
Nome: Antonio Verdugo
Después de las varias publicaciones de Danilevsky (2010, 2011, 2012...), ampliando y corrigiendo el vol. 10 del Catalogue of Palaearctic Coleoptera (2010), Brachypteroma ottomanum debe tomar, por prioridad, el nombre de Dolocerus reichii Mulsant, 1862.

_________________
Antonio Verdugo
https://sites.google.com/site/unentomologoandaluz/


Top
profilo
 Oggetto del messaggio: Re: Cerambycidae
MessaggioInviato: 15/04/2017, 18:51 
Avatar utente

Iscritto il: 21/05/2009, 14:59
Messaggi: 6994
Località: Parigi
Nome: Riccardo Poloni
:ok: I know Antonio, but for simplification of the forum nomenclature, at the moment we prefer maintaining Brachypteroma ottomanum

_________________
Riccardo Poloni
La dignità degli elementi
la libertà della poesia,
al di là dei tradimenti degli uomini
è magia, è magia, è magia...
Negrita, Rotolando verso sud


Top
profilo
Visualizza ultimi messaggi:  Ordina per  
nuovo argomento
rispondi
Pagina 1 di 1 [ 9 messaggi ]

Tutti gli orari sono UTC + 1 ora [ ora legale ]


Chi c’è in linea

Visitano il forum: Nessuno e 6 ospiti


Non puoi aprire nuovi argomenti
Non puoi rispondere negli argomenti
Non puoi modificare i tuoi messaggi
Non puoi cancellare i tuoi messaggi
Non puoi inviare allegati

Cerca per:
Vai a: