Benvenuto Ospite

Forum Entomologi Italiani

www.entomologiitaliani.net/forum
 
Oggi è 10/11/2025, 22:46

Tutti gli orari sono UTC + 1 ora [ ora legale ]

Poecilium wrzecionkoi Rapuzzi & Sama, 2010 - Cerambycidae

REPUBBLICA ARABA SIRIANA - EE


nuovo argomento
rispondi
Pagina 1 di 1 [ 9 messaggi ]
Autore Messaggio
MessaggioInviato: 24/03/2010, 9:40 
Avatar utente

Iscritto il: 05/09/2009, 7:56
Messaggi: 3445
Località: Cesena
Nome: Gianfranco Sama
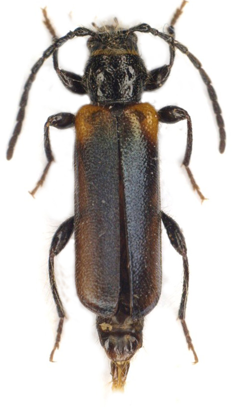
Poecilium wrzecionkoi Rapuzzi & Sama, 2010

Specie prossima endemica della Siria settentrionale, prossima a Poecilium pusillum (Fabricius, 1787).
E' stata descritta di recente nei Quaderni della Società per gli Studi Naturalistici della Romagna.
Rapuzzi_Sama_Wrzecionkoi.pdf [1.94 MiB]
Scaricato 249 volte
Poecilium wrzecionkoi_male_3.jpg

Poecilium wrzecionkoi_female.jpg


_________________
Gianfranco Sama

"Benedetto colui che ti aiuta a correggere i tuoi errori invece di scagliarteli contro"
___________________________________
Gershom Sholem


Top
profilo
MessaggioInviato: 14/02/2012, 20:47 
 
P.wrzecionkoi-male,female-Paratype,I bought,I wonder whether Gianfranco Sama opinion that they are.
Male-wrzecionkoi-abdomen totaly is black.
Female-wrzecionkoi-abdomen totaly is red.
Thank you.Giannis


P.wrzecionkoi
024.JPG

Top
MessaggioInviato: 14/02/2012, 21:40 
 

Iscritto il: 13/09/2009, 18:04
Messaggi: 881
Nome: Pierpaolo Rapuzzi
Hi Giannis,
according your picture is difficult to say anything.
I checked my specimens: male and female with black abdomen. Can you give ma the full details of their labels and the name of the person who has given you that specimens.
Best regards
Pierpaolo Rapuzzi


Top
profilo
MessaggioInviato: 15/02/2012, 9:01 
 
Hi Pierpaolo R.,both pieces of both female and male I bought from Mr.Antonín Wrzecionko.
To me,I bought the P.pusilum barbipes,they look like P.pusilum barbipes.
Paratypus both as the female,the male does not have yellow spots on the shoulders.
The elytra have the same colour as the P.pusilum barbipes.
Pierpaolo your opinion?
Thank you very much Giannis.


Top
MessaggioInviato: 15/02/2012, 17:14 
 

Iscritto il: 13/09/2009, 18:04
Messaggi: 881
Nome: Pierpaolo Rapuzzi
Hi Giannis,
the differences between pusillum barbipes (and inopinatum as well) and wrzecionkoi are shown in the original description:
" Differential diagnosis. Poecilium wrzecionkoi n. sp. is similar to P. pusillum pusillum (Fabricius, 1787) and chiefly to P. pusillum ssp. barbipes from Greece which has elytra with humeral, but reduced, light spot. These taxa differs from P. wrzecionkoi n. sp. by longer antennae, with first segment much more distinct- ly swollen apically, the 2nd one shorter, the 3rd shorter than 4th, pronotum shiner, more sparsely punctate and without distinct microsculpture, elytra less distinctly wrinkled on the disc, with distinctly larger punctation, abdomen partly (male) or totally (female) reddish. The females of wrzecionkoi n. sp. are furthermore distin- guished by shorter antennae, elytra elongated and parallel sided and with finer and denser punctation which gives a mat appearance. The abdomen is totally black instead of partly reddish."
Best regards,
Pierpaolo

PS: the paratype labels are not the original ones....


Top
profilo
MessaggioInviato: 15/02/2012, 19:15 
 
Pierpaolo Hi friend.
Pierpaolo, thank you for the information.Thank you so much Giannis


Top
MessaggioInviato: 21/01/2018, 2:55 
Avatar utente

Iscritto il: 28/07/2010, 11:11
Messaggi: 235
Località: Poland
Nome: Jacek Kurzawa
Xylosteus ha scritto:
Hi Giannis,
...

PS: the paratype labels are not the original ones....


Fake PT in 2012. More viewtopic.php?p=420530#p420530


Top
profilo
MessaggioInviato: 21/01/2018, 15:36 
Avatar utente

Iscritto il: 05/02/2009, 17:31
Messaggi: 9527
Località: milano
Nome: maurizio pavesi
Phytoecia ha scritto:
Xylosteus ha scritto:
Hi Giannis,
...
PS: the paratype labels are not the original ones....

Fake PT in 2012. More viewtopic.php?p=420530#p420530

il lupo perde il pelo :x ...

_________________
*****************
Immagine maurizio


Top
profilo
MessaggioInviato: 20/02/2018, 10:45 
 
Here I showed in 2012 what the scams are doing on Czech stock exchanges and sellers offer fake Paratypus labels and still sell them.And the worst entomologists are in Czech Entoforum, amateurism, envy, defamation, thieves and idiots who can not determine anything!


Top
Visualizza ultimi messaggi:  Ordina per  
nuovo argomento
rispondi
Pagina 1 di 1 [ 9 messaggi ]

Tutti gli orari sono UTC + 1 ora [ ora legale ]


Chi c’è in linea

Visitano il forum: Google [Bot] e 2 ospiti


Non puoi aprire nuovi argomenti
Non puoi rispondere negli argomenti
Non puoi modificare i tuoi messaggi
Non puoi cancellare i tuoi messaggi
Non puoi inviare allegati

Cerca per:
Vai a: