Benvenuto Ospite

Forum Entomologi Italiani

www.entomologiitaliani.net/forum
 
Oggi è 22/10/2025, 22:41

Tutti gli orari sono UTC + 1 ora [ ora legale ]

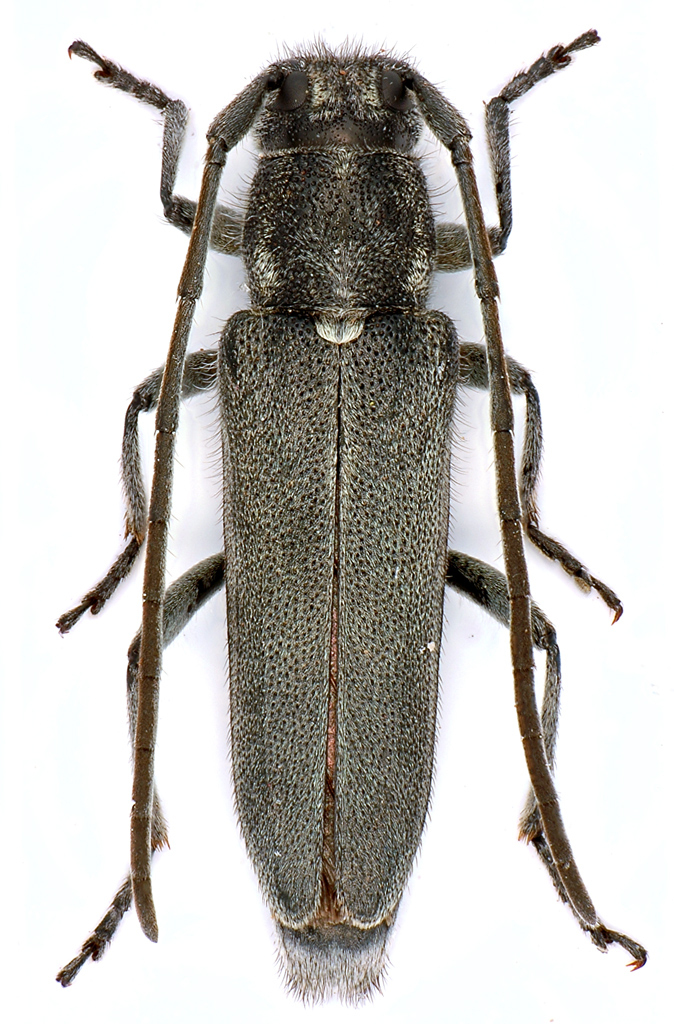
Opsilia coerulescens (Scopoli, 1763) Dettagli della specie

1.VI.2009 - GRECIA - EE, goumenitsa (Thesprotia), tra Vrisy e Panaino, 50-100m


nuovo argomento
rispondi
Pagina 1 di 1 [ 7 messaggi ]
Autore Messaggio
MessaggioInviato: 04/06/2010, 0:13 
Avatar utente

Iscritto il: 25/11/2009, 9:31
Messaggi: 8157
Località: Lecce
Nome: Maurizio Bollino
Ho iniziato a preparare il materiale raccolto recentemente in Grecia e, ovviamente, approfitterò delle potenzialità del forum per ottenere identificazioni.....

Dati: Grecia – Igoumenitsa (Thesprotia) - Tra Vrisy e Panaino - 1.VI.2010 – m. 50-100, su Echium
Dimensioni: 11 mm
Cerambycidae-Igoumenitsa-1.jpg


_________________
Maurizio Bollino


Top
profilo
 Oggetto del messaggio: Re: Cerambycidae Grecia 1
MessaggioInviato: 04/06/2010, 7:52 
Avatar utente

Iscritto il: 22/12/2009, 13:31
Messaggi: 9646
Località: Napoli
Nome: Francesco Izzillo
Opsilia coerulescens forma eterata? :gh:

_________________
Francesco Izzillo


Top
profilo
 Oggetto del messaggio: Re: Cerambycidae Grecia 1
MessaggioInviato: 04/06/2010, 11:28 
Avatar utente

Iscritto il: 25/11/2009, 9:31
Messaggi: 8157
Località: Lecce
Nome: Maurizio Bollino
f.izzillo ha scritto:
Opsilia coerulescens forma eterata? :gh:


AZZZZ!!! Possibile, perchè è passata effettivamente nel flacone con etere! Ma se cominciamo a escludere dal contatto con etere: Phillobius, Hoplia, Opsilia, devo andare in giro con 200 provette in tasca!!!!!

_________________
Maurizio Bollino


Top
profilo
 Oggetto del messaggio: Re: Cerambycidae Grecia 1
MessaggioInviato: 04/06/2010, 12:13 
Avatar utente

Iscritto il: 22/12/2009, 13:31
Messaggi: 9646
Località: Napoli
Nome: Francesco Izzillo
Alcuni Cerambycidi soffrono particolarmente il contatto con l'etere: Opsilia, Saperda punctata,octopunctata, scalaris, etc... tendendo ad annerire a contatto con questa sostanza. Io ho, in parte (non sempre i risultati sono ottimali), risolto il problema facendo sì che nel contenitore, pur essendoci l'etere, questo non venga a contatto diretto con l'insetto (ad es. frapponendo un qualche diaframma non imbevuto di sostanza).

_________________
Francesco Izzillo


Top
profilo
 Oggetto del messaggio: Re: Cerambycidae Grecia 1
MessaggioInviato: 04/06/2010, 13:43 
Avatar utente

Iscritto il: 21/05/2009, 14:59
Messaggi: 6994
Località: Parigi
Nome: Riccardo Poloni
Bellissima Maurizio!!!! :hp: :hp: Anche a me sembra un' Opsilia coerulescens (Scopoli, 1763)

_________________
Riccardo Poloni
La dignità degli elementi
la libertà della poesia,
al di là dei tradimenti degli uomini
è magia, è magia, è magia...
Negrita, Rotolando verso sud


Top
profilo
 Oggetto del messaggio: Re: Cerambycidae Grecia 1
MessaggioInviato: 04/06/2010, 21:34 
 

Iscritto il: 13/09/2009, 18:04
Messaggi: 881
Nome: Pierpaolo Rapuzzi
Confermo per Opsilia coerulescens (Scopoli, 1763)
Pierpaolo


Top
profilo
 Oggetto del messaggio: Re: Cerambycidae Grecia 1
MessaggioInviato: 04/06/2010, 22:19 
Avatar utente

Iscritto il: 25/11/2009, 9:31
Messaggi: 8157
Località: Lecce
Nome: Maurizio Bollino
Xylosteus ha scritto:
Confermo per Opsilia coerulescens (Scopoli, 1763)
Pierpaolo


Grazie.

_________________
Maurizio Bollino


Top
profilo
Visualizza ultimi messaggi:  Ordina per  
nuovo argomento
rispondi
Pagina 1 di 1 [ 7 messaggi ]

Tutti gli orari sono UTC + 1 ora [ ora legale ]


Chi c’è in linea

Visitano il forum: Nessuno e 3 ospiti


Non puoi aprire nuovi argomenti
Non puoi rispondere negli argomenti
Non puoi modificare i tuoi messaggi
Non puoi cancellare i tuoi messaggi
Non puoi inviare allegati

Cerca per:
Vai a: