| Autore | Messaggio | 
	
			| Loriscola | 
				
				
					|  Inviato:  22/06/2010, 15:58  |  | 
		
			| Iscritto il: 05/02/2009, 17:25
 Messaggi: 4894
 Località: Zola Predosa (BO)
 Nome: Loris Colacurcio
 | 
				
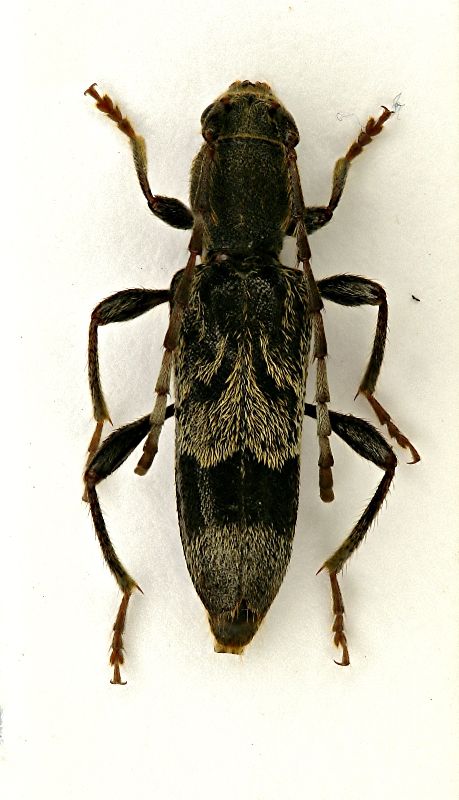
					| Spero di non aver toppato, avanzando addirittura anche la specie... Anaglyptus gibbosus (Fabricius, 1787)  Questa splendida bestiola (la bestiola, non la foto     ), l'ho trovata battendo alcuni alberelli spinosi dai fiori gialli, molto attrattivi...ne avevamo già parlato con i crisidi di questa pianta, ma ovviamente non ricordo assolutamente più il nome.  Sasso Marconi (BO) - Palazzo Rossi, giugno 2010_________________
 Loris
 
 
 |  | 
		
			| Top | 
				
				 | 
		
			|  | 
	
			| Plagionotus | 
				
				
					|  Inviato:  22/06/2010, 16:39  |  | 
		
			| Iscritto il: 21/05/2009, 14:59
 Messaggi: 6994
 Località: Parigi
 Nome: Riccardo Poloni
 | 
				
					| Mi dispiace deluderti Loris, ma questo è un Anaglyptus mysticus (Linnaeus, 1758) , il gibbosus ha l'apice elitrale terminante con una spina    _________________
 Riccardo Poloni
 La dignità degli elementi
 la libertà della poesia,
 al di là dei tradimenti degli uomini
 è magia, è magia, è magia...
 Negrita, Rotolando verso sud
 
 
 |  | 
		
			| Top | 
				
				 | 
		
			|  | 
	
			| Loriscola | 
				
				
					|  Inviato:  22/06/2010, 16:42  |  | 
		
			| Iscritto il: 05/02/2009, 17:25
 Messaggi: 4894
 Località: Zola Predosa (BO)
 Nome: Loris Colacurcio
 | 
				
					| Porca paletta !!     Bene lo stesso, visto che entrambi no li avevo mai raccolti a Palazzo Rossi     Cavoli, siete velocissimi....non sono riuscito a modificare il titolo che si era già "aggiustato" da solo. Altro che precisione svizzera.....    Siamo dei fenomeni ! Grazie mille   _________________
 Loris
 
 
 |  | 
		
			| Top | 
				
				 | 
		
			|  | 
	
			| Plagionotus | 
				
				
					|  Inviato:  22/06/2010, 17:54  |  | 
		
			| Iscritto il: 21/05/2009, 14:59
 Messaggi: 6994
 Località: Parigi
 Nome: Riccardo Poloni
 | 
				
					| Darmi dello svizzero proprio no    , e poi, si sa che gli emiliani in quanto a taxamenti sono dei fenomeni      . Comunque in collina (diciamo non proprio bassissima, è meglio) sui fiori di biancospino dicono quelli che girano (alla fine vedo che basta girare e cercare molto, e le bestie, quelle non rare, saltano fuori prima o poi    ) che è comune    _________________
 Riccardo Poloni
 La dignità degli elementi
 la libertà della poesia,
 al di là dei tradimenti degli uomini
 è magia, è magia, è magia...
 Negrita, Rotolando verso sud
 
 
 |  | 
		
			| Top | 
				
				 | 
		
			|  | 
	
			| Julodis | 
				
				
					|  Inviato:  22/06/2010, 17:58  |  | 
		
			| Iscritto il: 30/12/2009, 22:20
 Messaggi: 31564
 Località: Roma
 Nome: Maurizio Gigli
 | 
				
					| Non è proprio comunissimo, ma si trova sparso qua e là. 
 
 |  | 
		
			| Top | 
				
				 | 
		
			|  | 
	
			| Trichoferus | 
				
				
					|  Inviato:  23/06/2010, 10:32  |  | 
		
			| Iscritto il: 18/09/2009, 17:23
 Messaggi: 217
 Località: Czech rep.
 Nome: Jan Hrbek
 | 
				
					| my opinion: Anaglyptus gibbosus (Fabricius, 1787) A. mysticus does not have spines on antenal segments..This one has.. And acording to this photo, I am not sure, but this specimen HAS spines on elytra..
 _________________
 Cerambycidae of Western palearctic region
 http://www.cerambycidae-hrbek.cz
 
 
 |  | 
		
			| Top | 
				
				 | 
		
			|  | 
	
			| Plagionotus | 
				
				
					|  Inviato:  23/06/2010, 10:54  |  | 
		
			| Iscritto il: 21/05/2009, 14:59
 Messaggi: 6994
 Località: Parigi
 Nome: Riccardo Poloni
 | 
				
					| Hi Jan, I wait, because of your opinion, to Gianfranco Sama (Isotomus). But I remain in my opinion, because spines of Anaglyptus gibbosus are long and evidents, and also A.gibbosus have some small spines on antenna, in some pictures I found on the web and in my specimens in collection. But It's true that A.gibbosus prefere hill localities to mountain localities. I wait to Isotomus. _________________
 Riccardo Poloni
 La dignità degli elementi
 la libertà della poesia,
 al di là dei tradimenti degli uomini
 è magia, è magia, è magia...
 Negrita, Rotolando verso sud
 
 
 |  | 
		
			| Top | 
				
				 | 
		
			|  | 
	
			| Trichoferus | 
				
				
					|  Inviato:  23/06/2010, 11:54  |  | 
		
			| Iscritto il: 18/09/2009, 17:23
 Messaggi: 217
 Località: Czech rep.
 Nome: Jan Hrbek
 | 
				
					| OK, let´s wait for Gianfranco´s opinion   _________________
 Cerambycidae of Western palearctic region
 http://www.cerambycidae-hrbek.cz
 
 
 |  | 
		
			| Top | 
				
				 | 
		
			|  | 
	
			| Xylosteus | 
				
				
					|  Inviato:  23/06/2010, 21:06  |  | 
		
			| Iscritto il: 13/09/2009, 18:04
 Messaggi: 881
 Nome: Pierpaolo Rapuzzi
 | 
				
					| Ciao a tuttidal Nemrut dag dove ci troviamo confermiamo senza dubbio che si tratta di Anaglyptus gibbosus. Oltre alle spine non molto evidenti, il disegno elitrale non lascia dubbi in quanto caratteristico
 Pierpaolo & Gianfranco
 
 
 |  | 
		
			| Top | 
				
				 | 
		
			|  | 
	
			| Plagionotus | 
				
				
					|  Inviato:  23/06/2010, 21:53  |  | 
		
			| Iscritto il: 21/05/2009, 14:59
 Messaggi: 6994
 Località: Parigi
 Nome: Riccardo Poloni
 | 
				
					| _________________
 Riccardo Poloni
 La dignità degli elementi
 la libertà della poesia,
 al di là dei tradimenti degli uomini
 è magia, è magia, è magia...
 Negrita, Rotolando verso sud
 
 
 |  | 
		
			| Top | 
				
				 | 
		
			|  | 
	
			| dorbodervus | 
				
				
					|  Inviato:  23/06/2010, 22:40  |  | 
		
			| Iscritto il: 02/10/2009, 17:40
 Messaggi: 924
 Località: Osimo
 Nome: Alberto Strocchi
 | 
				
					| Anche se la spina all'apice elitrale non si vede bene ... ma sembrerebbe intuirsi, direi A. gibbosus.Anche se di poco la pigmentazione è abbastanza diversa tra le due specie anche quando il  mysticus si presenta nella forma melanica (senza la macchia rossa agli omeri).
 Direi, pertanto, A. gibbosus.
 Alberto
 
 
 |  | 
		
			| Top | 
				
				 | 
		
			|  | 
	
			| Loriscola | 
				
				
					|  Inviato:  24/06/2010, 8:31  |  | 
		
			| Iscritto il: 05/02/2009, 17:25
 Messaggi: 4894
 Località: Zola Predosa (BO)
 Nome: Loris Colacurcio
 | 
				
					| Ormai è tardi e superata....ma ho avuto modo di guardare con attenzione la bestiola e confermo la presenza di due belle spine all'apice elitrale. 
 Saluti a tutti !!
 _________________
 Loris
 
 
 |  | 
		
			| Top | 
				
				 | 
		
			|  | 
	
	
		|  |