Benvenuto Ospite

Forum Entomologi Italiani

www.entomologiitaliani.net/forum
 
Oggi è 13/11/2025, 5:24

Tutti gli orari sono UTC + 1 ora [ ora legale ]

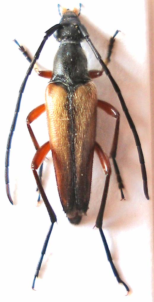
Stenurella cf. ferruginipes Pic, 1895 - Cerambycidae

21.VI.2010 - TURCHIA - EE, Hakkari, Hakkari daglari, bivio Kolbasi, 1000m


nuovo argomento
rispondi
Pagina 1 di 1 [ 1 messaggio ]
Autore Messaggio
MessaggioInviato: 21/07/2010, 23:19 
Avatar utente

Iscritto il: 05/09/2009, 7:56
Messaggi: 3445
Località: Cesena
Nome: Gianfranco Sama
Turchia sud orientale, Hakkari: Hakkari daglari: bivio Kolbasi, m. 1500, 21.VI.2010.

Stenurella cfr. ferruginipes (Pic, 1895)
Nel Catalogo di Loebl & Smetana (2010), questa specie è erroneamente citata come sinonimo di S. bifasciata bifasciata (Müller, 1776)
Stenurella cfr. ferruginipes Kolbasi 012.jpg


_________________
Gianfranco Sama

"Benedetto colui che ti aiuta a correggere i tuoi errori invece di scagliarteli contro"
___________________________________
Gershom Sholem


Top
profilo
Visualizza ultimi messaggi:  Ordina per  
nuovo argomento
rispondi
Pagina 1 di 1 [ 1 messaggio ]

Tutti gli orari sono UTC + 1 ora [ ora legale ]


Chi c’è in linea

Visitano il forum: Nessuno e 2 ospiti


Non puoi aprire nuovi argomenti
Non puoi rispondere negli argomenti
Non puoi modificare i tuoi messaggi
Non puoi cancellare i tuoi messaggi
Non puoi inviare allegati

Cerca per:
Vai a:  
cron