Forum Entomologi Italiani
http://www.entomologiitaliani.net/public/forum/phpBB3/

Musaria kurdistana (Ganglbauer, 1884) - Cerambycidae - Turchia
http://www.entomologiitaliani.net/public/forum/phpBB3/viewtopic.php?f=145&t=9640
Pagina 1 di 1

Autore:  Isotomus [ 21/07/2010, 23:11 ]
Oggetto del messaggio:  Musaria kurdistana (Ganglbauer, 1884) - Cerambycidae - Turchia

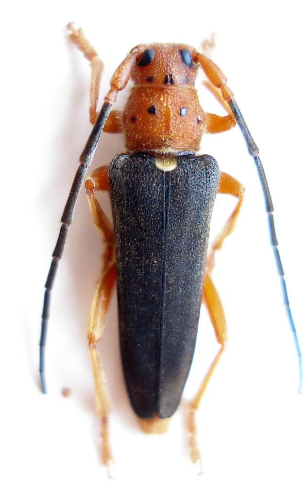
Musaria kurdistana (Ganglbauer, 1884)

Turchia sud orientale (molto sud orientale, confini con l'Iraq), Hakkari: Hakkari daglari: Kolbasi, m. 2000, 21.VI.2010.

Si trova, non comunemente, su Eryngium sp. E' nota di Azerbaidjan, Armenia, Georgia, Iran, Iraq, Turchia sud orientale
Musaria kurdistana_Kolbasi 001.jpg


Pagina 1 di 1 Tutti gli orari sono UTC + 1 ora [ ora legale ]
Powered by phpBB® Forum Software © phpBB Group
http://www.phpbb.com/