Benvenuto Ospite

Forum Entomologi Italiani

www.entomologiitaliani.net/forum
 
Oggi è 26/10/2025, 12:10

Tutti gli orari sono UTC + 1 ora [ ora legale ]

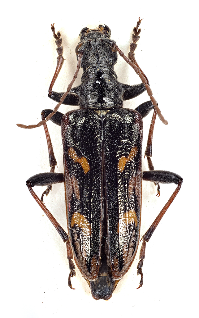
Rhagium (Hagrium) bifasciatum Fabricius, 1775 Dettagli della specie

20.VI.1989 - SPAGNA - EE, Puerto de los Cotos, Sierra de Guadarrama; 1500m


nuovo argomento
rispondi
Pagina 1 di 1 [ 1 messaggio ]
Autore Messaggio
MessaggioInviato: 05/01/2022, 21:03 
Avatar utente

Iscritto il: 10/05/2009, 15:30
Messaggi: 7182
Località: Ancona
Nome: Giacomo Giovagnoli
Rhagium (Hagrium) bifasciatum Fabricius, 1775

Puerto de los Cotos, Sierra de Guadarrama (Spagna); 1500m; 20.VI.1989; lg. A. Pergolini

Questo ex mi ha colpito per le dimensioni e per la colorazione molto scura con le aree arancioni ridottissime.

[grazie zio per le foto!!! :birra: ]

Dimensioni: 22
Comb3493cr-12zL6.jpg


Comb3494cr-20zL6.jpg



Ciao :)

_________________
Immagine Giacomo


Top
profilo
Visualizza ultimi messaggi:  Ordina per  
nuovo argomento
rispondi
Pagina 1 di 1 [ 1 messaggio ]

Tutti gli orari sono UTC + 1 ora [ ora legale ]


Chi c’è in linea

Visitano il forum: Nessuno e 3 ospiti


Non puoi aprire nuovi argomenti
Non puoi rispondere negli argomenti
Non puoi modificare i tuoi messaggi
Non puoi cancellare i tuoi messaggi
Non puoi inviare allegati

Cerca per:
Vai a: