Benvenuto Ospite

Forum Entomologi Italiani

www.entomologiitaliani.net/forum
 
Oggi è 27/10/2025, 8:16

Tutti gli orari sono UTC + 1 ora [ ora legale ]

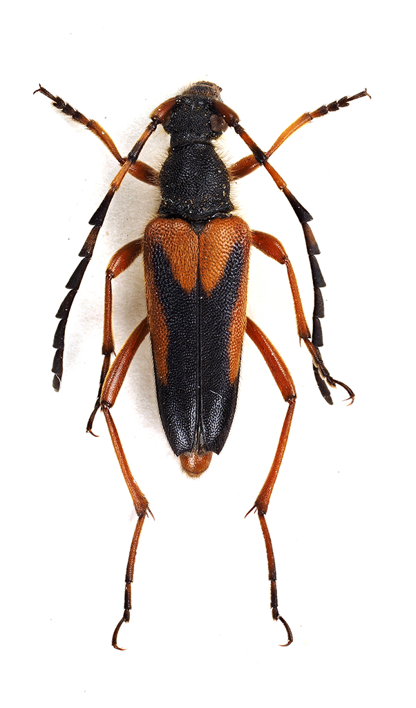
Stictoleptura (Cribroleptura) stragulata (Germar, 1824) - Cerambycidae

25.VI.1989 - SPAGNA - EE, Arenas de San Pedro, Sierra de Gredos, 1000m


nuovo argomento
rispondi
Pagina 1 di 1 [ 1 messaggio ]
Autore Messaggio
MessaggioInviato: 21/01/2022, 23:22 
Avatar utente

Iscritto il: 10/05/2009, 15:30
Messaggi: 7182
Località: Ancona
Nome: Giacomo Giovagnoli
Stictoleptura (Cribroleptura) stragulata (Germar, 1824).

Arenas de San Pedro, Sierra de Gredos (Spagna); 1000m; 25.VI.1989; lg. A. Pergolini

[grazie zio per le foto!!! :birra: ]

Maschio; dimensioni: 12mm
Comb3533cr-9zL6.jpg


Comb3534cr-38zL6.jpg



Femmina; dimensioni: 16mm
Comb3531cr-10zL3.jpg


Comb3532cr-25zL3.jpg



Ciao :)

_________________
Immagine Giacomo


Top
profilo
Visualizza ultimi messaggi:  Ordina per  
nuovo argomento
rispondi
Pagina 1 di 1 [ 1 messaggio ]

Tutti gli orari sono UTC + 1 ora [ ora legale ]


Chi c’è in linea

Visitano il forum: Nessuno e 7 ospiti


Non puoi aprire nuovi argomenti
Non puoi rispondere negli argomenti
Non puoi modificare i tuoi messaggi
Non puoi cancellare i tuoi messaggi
Non puoi inviare allegati

Cerca per:
Vai a: