Benvenuto Ospite

Forum Entomologi Italiani

www.entomologiitaliani.net/forum
 
Oggi è 25/10/2025, 22:12

Tutti gli orari sono UTC + 1 ora [ ora legale ]

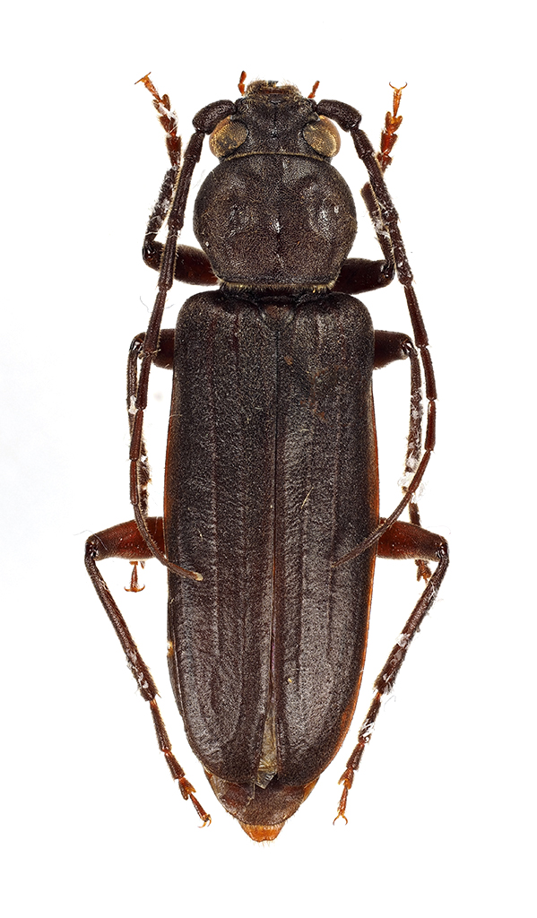
Arhopalus ferus (Mulsant, 1839) Dettagli della specie

20.VII.1992 - PORTOGALLO - EE, Sagres, Algarve


nuovo argomento
rispondi
Pagina 1 di 1 [ 1 messaggio ]
Autore Messaggio
MessaggioInviato: 06/02/2022, 21:12 
Avatar utente

Iscritto il: 10/05/2009, 15:30
Messaggi: 7182
Località: Ancona
Nome: Giacomo Giovagnoli
Arhopalus ferus (Mulsant, 1839).

Sagres, Algarve (Portogallo); 20.VII.1992; lg. A. Pergolini

[grazie zio per le foto!!! :birra: ]

Dimensioni: 22mm
Comb3573cr-21zL6.jpg


Comb3574cr-36zL6.jpg


Comb3573b.jpg


Comb3573a.jpg



Ciao :)

_________________
Immagine Giacomo


Top
profilo
Visualizza ultimi messaggi:  Ordina per  
nuovo argomento
rispondi
Pagina 1 di 1 [ 1 messaggio ]

Tutti gli orari sono UTC + 1 ora [ ora legale ]


Chi c’è in linea

Visitano il forum: Nessuno e 4 ospiti


Non puoi aprire nuovi argomenti
Non puoi rispondere negli argomenti
Non puoi modificare i tuoi messaggi
Non puoi cancellare i tuoi messaggi
Non puoi inviare allegati

Cerca per:
Vai a: