Benvenuto Ospite

Forum Entomologi Italiani

www.entomologiitaliani.net/forum
 
Oggi è 10/11/2025, 17:10

Tutti gli orari sono UTC + 1 ora [ ora legale ]

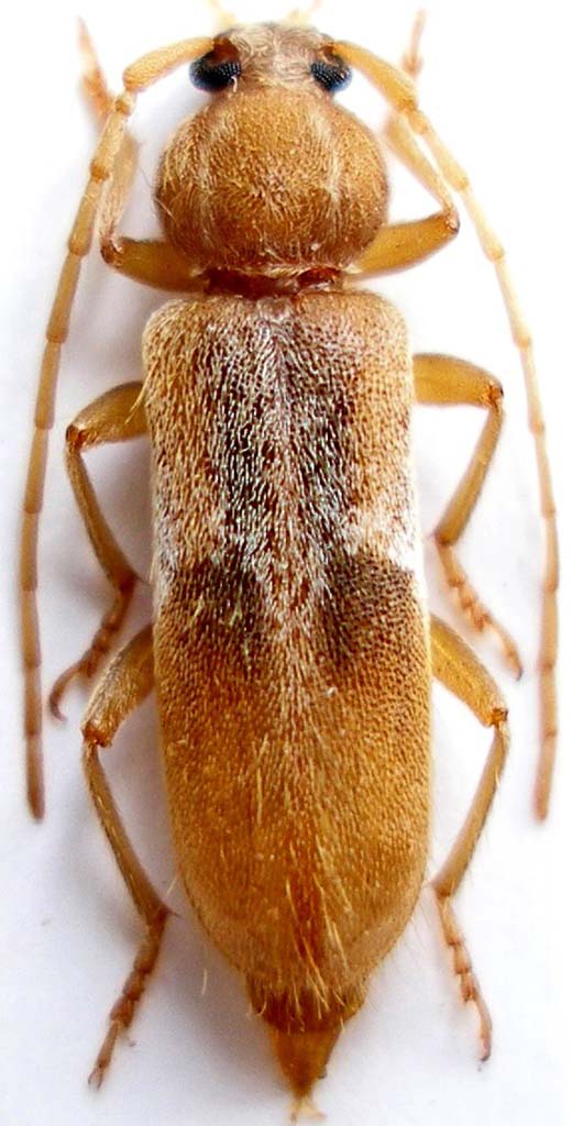
Trichoferus lunatus (Szallies, 1994) - Cerambycidae

23.VI.2010 - TURCHIA - EE, Mardin, Hop gecidi, 1138m


nuovo argomento
rispondi
Pagina 1 di 1 [ 1 messaggio ]
Autore Messaggio
MessaggioInviato: 27/07/2010, 18:58 
Avatar utente

Iscritto il: 05/09/2009, 7:56
Messaggi: 3445
Località: Cesena
Nome: Gianfranco Sama
Trichoferus lunatus (Szallies, 1994)

Turchia sud orientale: Mardin: Hop gecidi, m. 1138, 23.VI.2010

Una delle più interessanti specie raccolte durante la spedizione (specie nuova per la mia collezione :hp: ). Purtroppo era un pò tardi per cui abbiamo trovato un solo esemplare, questo, una femmina immatura nella celletta pupale ed alcune giovani larve per l'anno prossimo. La specie fu descritta su un solo esemplare attratto da sorgenti luminose presso Mardin (Turchia sud orientale) e, successivamente, ritrovato da Rejzek & co. che ne illustrarono i due sessi e, brevemente, la biologia http://www.cerambyx.uochb.cz/trichlun.htm
Più recentemente è stato ritrovato in Iran per cui si presume abbia una più ampia diffusione nella Turchia sud orientale e sia presente anche in Iraq.
Turchia 2010_Trichoferus lunatus 020.jpg


_________________
Gianfranco Sama

"Benedetto colui che ti aiuta a correggere i tuoi errori invece di scagliarteli contro"
___________________________________
Gershom Sholem


Top
profilo
Visualizza ultimi messaggi:  Ordina per  
nuovo argomento
rispondi
Pagina 1 di 1 [ 1 messaggio ]

Tutti gli orari sono UTC + 1 ora [ ora legale ]


Chi c’è in linea

Visitano il forum: Nessuno e 1 ospite


Non puoi aprire nuovi argomenti
Non puoi rispondere negli argomenti
Non puoi modificare i tuoi messaggi
Non puoi cancellare i tuoi messaggi
Non puoi inviare allegati

Cerca per:
Vai a: