Benvenuto Ospite

Forum Entomologi Italiani

www.entomologiitaliani.net/forum
 
Oggi è 09/11/2025, 19:00

Tutti gli orari sono UTC + 1 ora [ ora legale ]

Cortodera ranunculi (Holzschuh, 1975) - Cerambycidae

VI.2010 - TURCHIA - EE, Mus, Varto, 1517m


nuovo argomento
rispondi
Pagina 1 di 1 [ 9 messaggi ]
Autore Messaggio
MessaggioInviato: 16/07/2010, 9:23 
Avatar utente

Iscritto il: 05/09/2009, 7:56
Messaggi: 3445
Località: Cesena
Nome: Gianfranco Sama
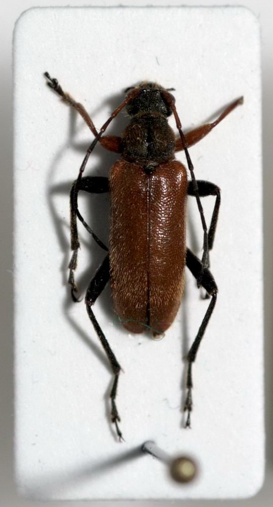
Questa è una delle chicche della nostra spedizione -
Cortodera ranunculi Holzschuh, 1975
Turchia orientale, Mus: Varto, m.1517, 17.VI.2010

Secondo la descrizione originale, la serie tipica (1 maschio e sette femmine) fu raccolta su fiori di Ranunculus. I nostri esemplari (2 femmine), furono raccolti su Potentilla, un piccolo fiore giallo molto somigliante ad un Ranuncolo che, molto verosimilmente, ha tratto in inganno il descrittore.
Cortodera ranunculi 004.jpg


_________________
Gianfranco Sama

"Benedetto colui che ti aiuta a correggere i tuoi errori invece di scagliarteli contro"
___________________________________
Gershom Sholem


Top
profilo
MessaggioInviato: 16/07/2010, 11:16 
Avatar utente

Iscritto il: 18/02/2009, 0:24
Messaggi: 3908
Località: Asciano (Siena)
Nome: Andrea Petrioli
Molto particolare come morfologia, da l'idea di essere estremamente corta, "compressa" :D .

:hi:

Andrea

_________________
:hi:
______
Andrea


Top
profilo
MessaggioInviato: 28/07/2010, 12:30 
Avatar utente

Iscritto il: 28/07/2010, 11:11
Messaggi: 235
Località: Poland
Nome: Jacek Kurzawa
I have series determined by me as Cortodera ranunculi (Buglan Gecidi, near Solhan ca. 30km from Varto - loc.typ. C.ranunculi, 10.06.2004 on flowers Umbelliferae and Gundelia sp)) but specimens are different from C.ranunculi from your photo. My “C.ranunculi” habitus are similar to C.syriaca but they are bigger (10mm), all are dark-yelow. Now I see that all specimens are different to description C.rarnunculi Holzschuh’s.

What species is possible?


ranunculi_7.jpg

ranunculi_3.jpg

ranunculi_6_cr.jpg

Top
profilo
MessaggioInviato: 28/07/2010, 16:00 
Avatar utente

Iscritto il: 05/09/2009, 7:56
Messaggi: 3445
Località: Cesena
Nome: Gianfranco Sama
Dear Jacek, it is a pleasure to find you here in our Forum.
You know, Cortodera is a very difficult genus and a correct identification is usually impossible through a picture. Your series does probably include only C. syriaca Pic, 1901 (I have also collected it on Gundelia tourneforti) and, maybe, a second one which, however, I cannot identify. Apparently not P. ranunculi.
You should check the scutellum, in C. syriaca it is shining, totally without hairs or puncturation.
We have collected our specimens (just two) probably in the type locality, a few km before Varto.

_________________
Gianfranco Sama

"Benedetto colui che ti aiuta a correggere i tuoi errori invece di scagliarteli contro"
___________________________________
Gershom Sholem


Top
profilo
MessaggioInviato: 28/07/2010, 19:30 
Avatar utente

Iscritto il: 16/10/2009, 21:03
Messaggi: 136
Località: Poland
Nome: Marcin Szewczyk
So I ask for help in the sign Cortodera sp.


P1030061.JPG

P1030062.JPG

Top
profilo
MessaggioInviato: 29/07/2010, 7:22 
Avatar utente

Iscritto il: 30/12/2009, 22:20
Messaggi: 31564
Località: Roma
Nome: Maurizio Gigli
Ciao Gianfranco. Stante il fatto che le Cortodera sono tra i Cerambycidae di cui capisco meno, una cosa mi ha incuriosito di questa discussione: ma i rappresentanti di questo genere hanno preferenze così definite per le specie di fiori frequentate dagli adulti da essere addirittura d'aiuto nella determinazione della specie?

Anillus ha scritto:
Molto particolare come morfologia, da l'idea di essere estremamente corta, "compressa" :D .
:hi:
Andrea

Certamente, se no non si chiamava Cortodera! :no1:

_________________
Maurizio Gigli
http://utenti.romascuola.net/bups
http://bup.xoom.it/


Top
profilo
MessaggioInviato: 29/07/2010, 8:47 
Avatar utente

Iscritto il: 05/09/2009, 7:56
Messaggi: 3445
Località: Cesena
Nome: Gianfranco Sama
mcer ha scritto:
So I ask for help in the sign Cortodera sp.


Dear Marcin, you should open a new topic ("nuovo argomento") because it is not the same species.
Anyway, your specimen cannot be identified (not by me) through a picture (like most Cortodera). Based on the locality you could compare it to C. uniformis or C. simulatrix both described by Holzschuh, 1975.
Bye.

_________________
Gianfranco Sama

"Benedetto colui che ti aiuta a correggere i tuoi errori invece di scagliarteli contro"
___________________________________
Gershom Sholem


Top
profilo
MessaggioInviato: 29/07/2010, 9:09 
Avatar utente

Iscritto il: 05/09/2009, 7:56
Messaggi: 3445
Località: Cesena
Nome: Gianfranco Sama
Julodis ha scritto:
Ciao Gianfranco. Stante il fatto che le Cortodera sono tra i Cerambycidae di cui capisco meno, una cosa mi ha incuriosito di questa discussione: ma i rappresentanti di questo genere hanno preferenze così definite per le specie di fiori frequentate dagli adulti da essere addirittura d'aiuto nella determinazione della specie?

In effetti, molte delle specie sono legate ad una determinata pianta o ad un gruppo di piante erbacee. Per esempio, la nostra C. holosericea si trova su Centaurea gr. triunfettii; su Centaurea dello stesso gruppo si trova l'orientale C. colchica; C. umbripennis e C. flavimana su Ranunculus; C. syriaca su Goundelia tournefortii. Bisogna anche dire che l'incertezza sull'identità di molte specie rende incerta anche l'attribuzione di queste specie ad una determinata pianta erbacea. Per esempio, in Iran ho trovato numerosi esemplari di una Cortodera, attribuibile a C. pseudomophlus, generalmente su Cardaria draba (una Brassicacea), ma anche su Centaurea a fiori gialli, composite a fiori gialli e bianchi, Achillea sp., ecc. Si tratta di una Cortodera molto variabile, ma non ci sono caratteri certi per distinguere più specie e, oltre tutto, si tratta di un gruppo a riproduzione partenogenetica, per cui non è possibile ricorrere all'aiuto dell'edeago, normalmente di grande aiuto in questo genere.

_________________
Gianfranco Sama

"Benedetto colui che ti aiuta a correggere i tuoi errori invece di scagliarteli contro"
___________________________________
Gershom Sholem


Top
profilo
MessaggioInviato: 29/07/2010, 12:40 
Avatar utente

Iscritto il: 28/07/2010, 11:11
Messaggi: 235
Località: Poland
Nome: Jacek Kurzawa
Gianfranco, thank You!
Really, my specimens belong to C.syriaca: scutellum is shining without hairs, the first four segment antennal are yellow, legs are coloured the same as C.syriaca. I have a long series C.syriaca from Nemrut Dagi (catched by me) but all specimens are smalest as this 2 ex determined as "C.ranunculi" (I enclose photos with C.syriaca: 2 ex bigger and series smaller).
Moreover, I've sugessted locality near loc.typ. C.ranunculi (Varto) but C.syriaca is species most common and widely distributed in this part of the Turkey. My mistake :-)
Now I have two biggest C.syriaca in my coll, that's all! :-)


cortodera_syriaca.jpg

Top
profilo
Visualizza ultimi messaggi:  Ordina per  
nuovo argomento
rispondi
Pagina 1 di 1 [ 9 messaggi ]

Tutti gli orari sono UTC + 1 ora [ ora legale ]


Chi c’è in linea

Visitano il forum: Nessuno e 2 ospiti


Non puoi aprire nuovi argomenti
Non puoi rispondere negli argomenti
Non puoi modificare i tuoi messaggi
Non puoi cancellare i tuoi messaggi
Non puoi inviare allegati

Cerca per:
Vai a: