Benvenuto Ospite

Forum Entomologi Italiani

www.entomologiitaliani.net/forum
 
Oggi è 30/10/2025, 1:59

Tutti gli orari sono UTC + 1 ora [ ora legale ]

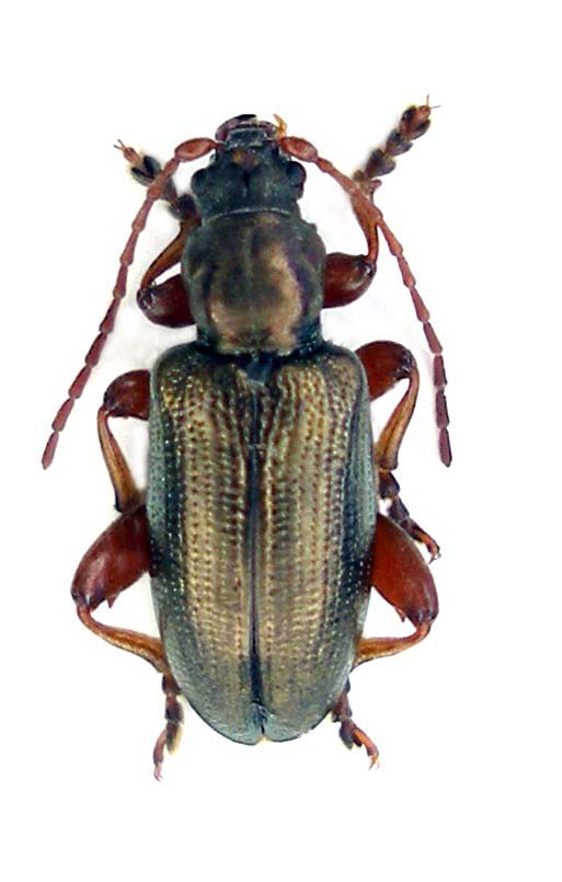
Plateumaris consimilis (Schrank 1781) - Crysomelidae

29.VI.2009 - ROMANIA - EE, Hunedoara, Est of Petrosani: Urdele road, 1500m, 29.VI.2009


nuovo argomento
rispondi
Pagina 1 di 1 [ 4 messaggi ]
Autore Messaggio
MessaggioInviato: 08/03/2011, 18:09 
Avatar utente

Iscritto il: 05/09/2009, 7:56
Messaggi: 3445
Località: Cesena
Nome: Gianfranco Sama
Donacia sp. (Crysomelidae, Donaciinae) - Romania, da determinare - femmina e maschio ?

Romania, Hunedoara, Est of Petrosani: Urdele road, 1500m, 29.VI.2009, leg. P. Rapuzzi & G. Sama
Donacia sp_male_Romania Petrosani 041.jpg

Donacia_male_Romania Petrosani 042.jpg


_________________
Gianfranco Sama

"Benedetto colui che ti aiuta a correggere i tuoi errori invece di scagliarteli contro"
___________________________________
Gershom Sholem


Top
profilo
MessaggioInviato: 08/03/2011, 18:57 
 

Iscritto il: 23/11/2009, 13:49
Messaggi: 212
Località: Lodz (Poland)
Nome: Jacek Kalisiak
Plateumaris sp., I think


Top
profilo
MessaggioInviato: 11/03/2011, 15:14 
Avatar utente

Iscritto il: 03/07/2009, 21:19
Messaggi: 420
Località: Castelmarte (CO)
Nome: davide sassi
Femmina (sopra) e maschio di Plateumaris consimilis.

Ciao Gianfranco :hi:

_________________
"Non credo in Adamo ed Eva, credo nelle scimmie" (Ilaria, 8 anni)


Top
profilo
MessaggioInviato: 11/03/2011, 16:03 
Avatar utente

Iscritto il: 05/09/2009, 7:56
Messaggi: 3445
Località: Cesena
Nome: Gianfranco Sama
Grazie Davide. Ciao :lov1:

_________________
Gianfranco Sama

"Benedetto colui che ti aiuta a correggere i tuoi errori invece di scagliarteli contro"
___________________________________
Gershom Sholem


Top
profilo
Visualizza ultimi messaggi:  Ordina per  
nuovo argomento
rispondi
Pagina 1 di 1 [ 4 messaggi ]

Tutti gli orari sono UTC + 1 ora [ ora legale ]


Chi c’è in linea

Visitano il forum: Nessuno e 3 ospiti


Non puoi aprire nuovi argomenti
Non puoi rispondere negli argomenti
Non puoi modificare i tuoi messaggi
Non puoi cancellare i tuoi messaggi
Non puoi inviare allegati

Cerca per:
Vai a: