Forum Entomologi Italiani
http://www.entomologiitaliani.net/public/forum/phpBB3/

Luperus pygmaeus Joannis, 1866 - Chrysomelidae
http://www.entomologiitaliani.net/public/forum/phpBB3/viewtopic.php?f=146&t=33372
Pagina 1 di 1

Autore:  hypotyphlus [ 23/04/2012, 20:56 ]
Oggetto del messaggio:  Luperus pygmaeus Joannis, 1866 - Chrysomelidae

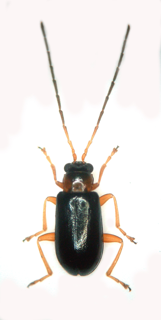
Svolazzanti su prunus.Dimensioni mm.3,3.
Chrysomelidino copia.jpg


Autore:  Maurizio Bollino [ 25/04/2012, 23:58 ]
Oggetto del messaggio:  Re: Luperus ? Chrysomelidae Toscana

hypotyphlus ha scritto:
Svolazzanti su prunus.Dimensioni mm.3,3.
Chrysomelidino copia.jpg


Per il genere non ci sono dubbi, per la specie ...... vedi se con questo lavoro riesci ad arrivarci. Da una foto è impossibile o quasi, almeno per me :cry: :cry:

Autore:  Lech Borowiec [ 26/04/2012, 8:33 ]
Oggetto del messaggio:  Re: Luperus ? Chrysomelidae Toscana

Two species are possible: Luperus leonardii and L. pygmaeus.

Autore:  Maurizio Bollino [ 26/04/2012, 11:00 ]
Oggetto del messaggio:  Re: Luperus ? Chrysomelidae Toscana

Lech Borowiec ha scritto:
Two species are possible: Luperus leonardii and L. pygmaeus.


Grazie al suggerimento di Lech, ed in base alle chiavi, direi che è più probabile che sia Luperus leonardii (elitre che apparentemente non hanno riflesso metallico e antenne molto più lunghe del corpo).

Autore:  hypotyphlus [ 26/04/2012, 12:23 ]
Oggetto del messaggio:  Re: Luperus ? Chrysomelidae Toscana

Grazie ad entrambi.Faccio un estrazione per avere una ulteriore conferma.

Autore:  hypotyphlus [ 26/04/2012, 18:45 ]
Oggetto del messaggio:  Re: Luperus leonardii Fogato, 1978 (cf.) - Chrysomelidae

Dopo aver effettuato l'estrazione debbo dire che per me si tratta di Luperus pygmaeus;nella visione dorsale non è presente il restringimento preapicale che si nota negli edeagi raffigurati di L. leonardii, mentre in visione laterale mi sembra evidente che l'apice ha il dentino aguzzo come nel pygmaeus.Agli esperti il responso finale.Allego foto :oops: :oops: :oops: , vabbè forse sarebbe meglio dire"tentativi di foto" :mrgreen: :mrgreen: , dei preparati.
Luperus pygmaeus edeago dorso.jpg

Luperus pygmaeus edeago laterale.jpg


Autore:  hypotyphlus [ 27/04/2012, 13:44 ]
Oggetto del messaggio:  Re: Luperus leonardii Fogato, 1978 (cf.) - Chrysomelidae

Scusate se torno su questo argomento, ma mi piacerebbe riuscire ad arrivare ad una determinazione certa.Rileggendo il lavoro gentilmente fornito da Maurizio e confrontando anche con le foto di Chrysomelidae .it debbo dire che, a mio parere, c'è un altro carattere a favore di pygmaeus, ovvero la regolarità ed uniformità della puntaggiatura elitrale, che ovviamente dalle mie foto non è rilevabile.Resta il carattere delle antenne, sicuramente più lunghe del corpo nei miei esemplari;però osservando le foto di Luperus leonardii ho la sensazione che queste siano proporzionalmete più lunghe che nei miei esemplari.Comunque alcuni esemplari sono già in alcool e quindi prima o poi una risposta certa l'avremo. :hi: :hi:

Autore:  Valter [ 17/09/2012, 14:00 ]
Oggetto del messaggio:  Re: Luperus leonardii Fogato, 1978 (cf.) - Chrysomelidae

Ho visto solo adesso questo post.
Confermo che si tratta di Luperus pygmaeus. E' un esemplare con antenne particolarmente lunghe, ma l'edeago non lascia dubbi.
http://www.chrysomelidae.it/Chrysomelid ... aeus-m.htm
http://www.chrysomelidae.it/Chrysomelid ... ii-hol.htm
Valter.

Autore:  hypotyphlus [ 17/09/2012, 14:12 ]
Oggetto del messaggio:  Re: Luperus leonardii Fogato, 1978 (cf.) - Chrysomelidae

Grazie Valter per la conferma;a questo punto chi ha i super poteri può rititolare :ok:

Autore:  wgliinsetti [ 16/12/2019, 11:53 ]
Oggetto del messaggio:  Re: Luperus pygmaeus Joannis, 1866 - Chrysomelidae

Questa discussione è rimasta tra gli indeterminati

Pagina 1 di 1 Tutti gli orari sono UTC + 1 ora [ ora legale ]
Powered by phpBB® Forum Software © phpBB Group
http://www.phpbb.com/