Benvenuto Ospite

Forum Entomologi Italiani

www.entomologiitaliani.net/forum
 
Oggi è 11/11/2025, 5:14

Tutti gli orari sono UTC + 1 ora [ ora legale ]

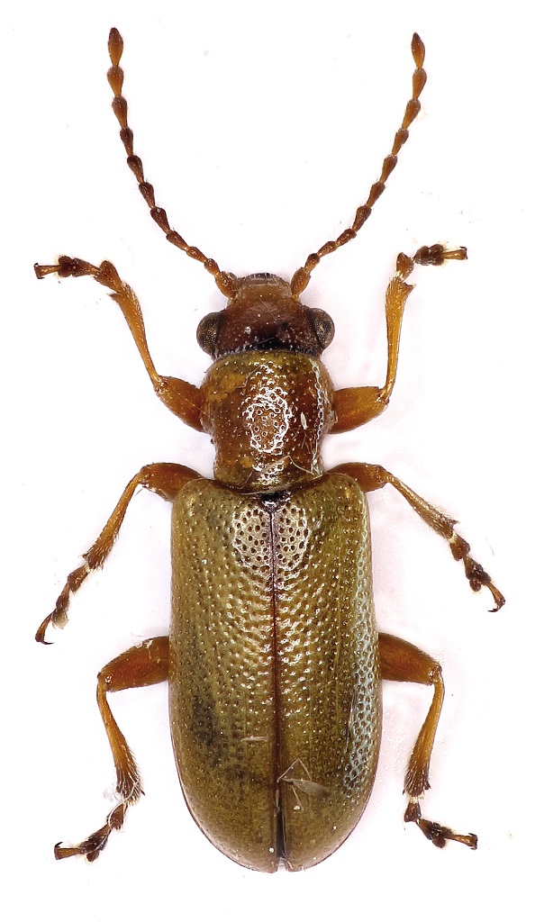
Orsodacne cerasi (Linneaus, 1758) - Chrysomelidae Orsodacninae

8.VI.2013 - GERMANIA - EE, Northeim


nuovo argomento
rispondi
Pagina 1 di 1 [ 3 messaggi ]
Autore Messaggio
MessaggioInviato: 03/03/2016, 23:16 
Avatar utente

Iscritto il: 31/07/2014, 16:09
Messaggi: 619
Località: Northeim, Lower Saxony, Germany
Nome: Alex Hasenkampf
:hi: 5mm


5mm 08.06.13 Northeim Am Martinsgraben( 51°41'7.83N 10° 0'23.97E).jpg

Top
profilo
 Oggetto del messaggio: Re: Chrysomelidae...
MessaggioInviato: 03/03/2016, 23:23 
Avatar utente

Iscritto il: 31/07/2014, 16:09
Messaggi: 619
Località: Northeim, Lower Saxony, Germany
Nome: Alex Hasenkampf
:gun: Orsodacne cerasi


Top
profilo
 Oggetto del messaggio: Re: Chrysomelidae...
MessaggioInviato: 08/10/2016, 11:54 
Avatar utente

Iscritto il: 25/11/2009, 9:31
Messaggi: 8157
Località: Lecce
Nome: Maurizio Bollino
:ok: :ok:

_________________
Maurizio Bollino


Top
profilo
Visualizza ultimi messaggi:  Ordina per  
nuovo argomento
rispondi
Pagina 1 di 1 [ 3 messaggi ]

Tutti gli orari sono UTC + 1 ora [ ora legale ]


Chi c’è in linea

Visitano il forum: Nessuno e 2 ospiti


Non puoi aprire nuovi argomenti
Non puoi rispondere negli argomenti
Non puoi modificare i tuoi messaggi
Non puoi cancellare i tuoi messaggi
Non puoi inviare allegati

Cerca per:
Vai a: