Benvenuto Ospite

Forum Entomologi Italiani

www.entomologiitaliani.net/forum
 
Oggi è 26/10/2025, 22:08

Tutti gli orari sono UTC + 1 ora [ ora legale ]

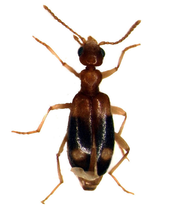
Stricticollis tobias (De Marseul, 1879) - Anthicidae - Veneto

11.XI.2008 - ITALIA - Veneto - VE, Campocroce di Mirano


nuovo argomento
rispondi
Vai alla pagina Precedente  1, 2
Pagina 2 di 2 [ 26 messaggi ]
Autore Messaggio
MessaggioInviato: 11/01/2010, 18:31 
Avatar utente

Iscritto il: 16/02/2009, 23:39
Messaggi: 1368
Località: Mirano (Venezia)
Nome: Enrico Ruzzier
Grazie Maurizio
Molto volentieri! chi è la persona per curiosità a cui li mandi in francia?

:hi:

_________________
«Discendiamo da scimmie evolute, non da angeli caduti» Robert Ardrey


Top
profilo
MessaggioInviato: 11/01/2010, 19:28 
Avatar utente

Iscritto il: 24/09/2009, 20:40
Messaggi: 1947
Nome: Giuseppe Platia
:D :D Caro Augusto,
non sapevo di aver trovato qualche specie di Anticide non proprio banale e sono contento; dopo vari anni se l'amico Gianni Pavanello mi fornisce la trappola voglio riprovare.
Ti ricordo che S. Angelo di Gatteo si trova ancora in Provincia di Forlì-Cesena e RM al massimo è la targa di Roma, quella di Rimini è RN :D :D :D

Ciao


Top
profilo
MessaggioInviato: 11/01/2010, 19:45 
Avatar utente

Iscritto il: 30/12/2009, 22:20
Messaggi: 31564
Località: Roma
Nome: Maurizio Gigli
Enrico Ruzzier ha scritto:
Grazie Maurizio
Molto volentieri! chi è la persona per curiosità a cui li mandi in francia?

:hi:

Si chiama Pascal Leblanc. Sono un paio d'anni che non lo sento, ma credo sia ancora in attività. Dovrei averci anche un suo lavoro in pdf, mi pare su una Mordellistena, Se ti interessa te lo mando.

_________________
Maurizio Gigli
http://utenti.romascuola.net/bups
http://bup.xoom.it/


Top
profilo
MessaggioInviato: 11/01/2010, 19:54 
Avatar utente

Iscritto il: 11/11/2009, 20:54
Messaggi: 4850
Località: Pesaro
Nome: Marco Paglialunga
Anostirus ha scritto:
Ti ricordo che S. Angelo di Gatteo si trova ancora in Provincia di Forlì-Cesena e RM al massimo è la targa di Roma, quella di Rimini è RN :D :D :D


Bene,mi fa piacere di non essere l'unico ad annettere nuove provincie a Rimini!!!
Ma in fondo dai Giuseppe non te la prendere ;) RN è sicuramente meglio di FC....se non altro per l'assonanza!!Che dovrei dire io che hanno cambiato il mio tranquillo PS (molto spesso confuso con Pescara) con uno sputacchio (PU)?! :lol: :lol: :lol:

_________________
O voi ch'avete li 'ntelletti sani, mirate la dottrina che s'asconde sotto 'l velame de li versi strani
(InfeRRno - canto IX - vv. 61-63)


Top
profilo
MessaggioInviato: 11/01/2010, 20:17 
Avatar utente

Iscritto il: 16/02/2009, 23:39
Messaggi: 1368
Località: Mirano (Venezia)
Nome: Enrico Ruzzier
Infatti Pascal LeBlanc è lo specialista francese di Mordellidae e Scraptiidae.( immaginavo fosse lui) :lol1: Ho provato di recente
a contattarlo; tuttavia non son riuscito a risalire ad un indirizzo mail che sia valido od attivo! Sinceramente non saprei... :(

Comunque ti ringrazio dell'offerta, ogni articolo su Mordellidae ed affini è cosa ben gradita! :hp: anche perchè di LeBlanc non sono riuscito ad ottenere ancora nulla fino ad adesso

Grazie ancora Maurizio :hi:

_________________
«Discendiamo da scimmie evolute, non da angeli caduti» Robert Ardrey


Top
profilo
MessaggioInviato: 11/01/2010, 20:25 
Avatar utente

Iscritto il: 06/02/2009, 9:03
Messaggi: 6370
Località: Bubano di Mordano (Bologna)
Nome: Augusto Degiovanni
Cita:
Ti ricordo che S. Angelo di Gatteo si trova ancora in Provincia di Forlì-Cesena e RM al massimo è la targa di Roma, quella di Rimini è RN
Ciao


Caro Giuseppe,
hai pienamente ragione :oops: il fatto è che mi sono fidato di quello che ha scritto sulla provetta Gianni, e che ho trascritto senza controllare :no1: :no1:

_________________
CIAO :hi: Augusto Degiovanni

http://anthicidaeecarabidae.altervista.org


Top
profilo
MessaggioInviato: 11/01/2010, 20:28 
Amministratore
Avatar utente

Iscritto il: 02/02/2009, 23:30
Messaggi: 7102
Località: Capaci (Pa)
Nome: Marcello Romano
Ciao Enrico.
Ho provato a ritoccare un po' la tua immagine dello S. tobias: spero che il risultato ti piaccia :)

Stricticollis tobias.jpg


_________________
:hi: Marcello Romano


Top
profilo
MessaggioInviato: 11/01/2010, 20:39 
Avatar utente

Iscritto il: 16/02/2009, 23:39
Messaggi: 1368
Località: Mirano (Venezia)
Nome: Enrico Ruzzier
Ottimo Lavoro! :birra: Grazie grazie!
Così rende di più :ok: :mrgreen:

_________________
«Discendiamo da scimmie evolute, non da angeli caduti» Robert Ardrey


Top
profilo
MessaggioInviato: 12/01/2010, 17:03 
Avatar utente

Iscritto il: 11/11/2009, 20:54
Messaggi: 4850
Località: Pesaro
Nome: Marco Paglialunga
Velvet Ant ha scritto:
Ho provato a ritoccare un po' la tua immagine dello S. tobias: spero che il risultato ti piaccia :)



Ciao Marcello!!
Con le tue foto stupende non ho speranze :( ma forse con il fotoritocco ti frego :lol: :lol: :lol: .....forse


Bitmap%20in%20Grafica2222.JPG


_________________
O voi ch'avete li 'ntelletti sani, mirate la dottrina che s'asconde sotto 'l velame de li versi strani
(InfeRRno - canto IX - vv. 61-63)
Top
profilo
MessaggioInviato: 12/01/2010, 17:57 
Avatar utente

Iscritto il: 30/12/2009, 22:20
Messaggi: 31564
Località: Roma
Nome: Maurizio Gigli
Enrico Ruzzier ha scritto:
Comunque ti ringrazio dell'offerta, ogni articolo su Mordellidae ed affini è cosa ben gradita! :hp: anche perchè di LeBlanc non sono riuscito ad ottenere ancora nulla fino ad adesso

Eccoti l'articolo, su due specie di Medimorpha, non Mordellistena come avevo detto.
Lo inserisco qui, così se serve a qualcun altro se lo può scaricare.

Ciao
Maurizio


Mediimorpha - Leblanc.pdf [1.02 MiB]
Scaricato 56 volte

_________________
Maurizio Gigli
http://utenti.romascuola.net/bups
http://bup.xoom.it/
Top
profilo
MessaggioInviato: 12/01/2010, 19:35 
Avatar utente

Iscritto il: 16/02/2009, 23:39
Messaggi: 1368
Località: Mirano (Venezia)
Nome: Enrico Ruzzier
Ottimo! ho visto adesso dove era ;)
Adesso ci dò una letta :hp:

_________________
«Discendiamo da scimmie evolute, non da angeli caduti» Robert Ardrey


Top
profilo
Visualizza ultimi messaggi:  Ordina per  
nuovo argomento
rispondi
Vai alla pagina Precedente  1, 2
Pagina 2 di 2 [ 26 messaggi ]

Tutti gli orari sono UTC + 1 ora [ ora legale ]


Chi c’è in linea

Visitano il forum: Nessuno e 1 ospite


Non puoi aprire nuovi argomenti
Non puoi rispondere negli argomenti
Non puoi modificare i tuoi messaggi
Non puoi cancellare i tuoi messaggi
Non puoi inviare allegati

Cerca per:
Vai a: