Benvenuto Ospite

Forum Entomologi Italiani

www.entomologiitaliani.net/forum
 
Oggi è 23/10/2025, 16:15

Tutti gli orari sono UTC + 1 ora [ ora legale ]

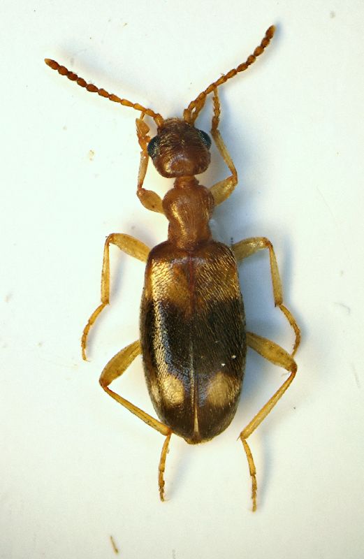
Stricticomus tobias (Marseul, 1879) Dettagli della specie

X.2009 - ITALIA - Emilia-Romagna - BO, Sasso Marconi, Palazzo Rossi


nuovo argomento
rispondi
Pagina 1 di 1 [ 3 messaggi ]
Autore Messaggio
MessaggioInviato: 10/10/2009, 21:37 
Avatar utente

Iscritto il: 05/02/2009, 17:25
Messaggi: 4894
Località: Zola Predosa (BO)
Nome: Loris Colacurcio
Questo splendido Anthicide, mai visto prima, l'ho raccolto sotto una corteccia di un pioppo sradicato da una vecchia piena del fiume Reno.

Sasso Marconi (BO) Palazzo Rossi ottobre 2009

Orbene mi sono "divertito" nel tentare una determinazione...e sono arrivato a due nomi.

Anthicus ophtalmicus......improbabile vista la distribuzione (Sicilia)

Stricticomus tobias ....molto più probabile.

Voi che dite ??
Anthicidae sp.JPG


_________________
Loris


Top
profilo
 Oggetto del messaggio: Re: Anthicidae sp.
MessaggioInviato: 10/10/2009, 22:49 
Avatar utente

Iscritto il: 06/02/2009, 9:03
Messaggi: 6370
Località: Bubano di Mordano (Bologna)
Nome: Augusto Degiovanni
Ciao Loris,
vedo che ti sei impegnato, e ti dico buona la seconda :ok: , ma con una leggera differenza, non più Stricticomus ma Stricticollis, per cui
Stricticollis tobias (Marseul, 1879) (N, S, Si, Sa).

_________________
CIAO :hi: Augusto Degiovanni

http://anthicidaeecarabidae.altervista.org


Top
profilo
 Oggetto del messaggio: Re: Anthicidae sp.
MessaggioInviato: 10/10/2009, 22:51 
Avatar utente

Iscritto il: 05/02/2009, 17:25
Messaggi: 4894
Località: Zola Predosa (BO)
Nome: Loris Colacurcio
:hp:

un successone....grazie.

_________________
Loris


Top
profilo
Visualizza ultimi messaggi:  Ordina per  
nuovo argomento
rispondi
Pagina 1 di 1 [ 3 messaggi ]

Tutti gli orari sono UTC + 1 ora [ ora legale ]


Chi c’è in linea

Visitano il forum: Nessuno e 1 ospite


Non puoi aprire nuovi argomenti
Non puoi rispondere negli argomenti
Non puoi modificare i tuoi messaggi
Non puoi cancellare i tuoi messaggi
Non puoi inviare allegati

Cerca per:
Vai a: