Benvenuto Ospite

Forum Entomologi Italiani

www.entomologiitaliani.net/forum
 
Oggi è 26/10/2025, 9:23

Tutti gli orari sono UTC + 1 ora [ ora legale ]

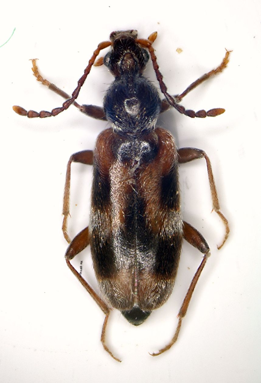
Notoxus lonai Bucciarelli, 1973 Dettagli della specie

2.IX.2011 - ITALIA - Emilia-Romagna - BO, Sasso Marconi - Palazzo Rossi


nuovo argomento
rispondi
Pagina 1 di 1 [ 2 messaggi ]
Autore Messaggio
MessaggioInviato: 09/09/2011, 22:04 
Avatar utente

Iscritto il: 05/02/2009, 17:25
Messaggi: 4894
Località: Zola Predosa (BO)
Nome: Loris Colacurcio
In una delle ultime mie uscite notturne con la lampada, fra i vari Notoxus raccolti, questo spiccava per la zua stranezza: estremamente allungato e "snello", con una colorazione davvero peculiare se confrontato con gli altri...Augusto, che dici ?

Lunghezza: 3.9 mm. circa

a Notoxus (P. Rossi) 3.9mm.JPG


_________________
Loris


Top
profilo
 Oggetto del messaggio: Re: Notoxus sp. - Anthicidae
MessaggioInviato: 10/09/2011, 15:19 
Avatar utente

Iscritto il: 06/02/2009, 9:03
Messaggi: 6370
Località: Bubano di Mordano (Bologna)
Nome: Augusto Degiovanni
Dico, che è una delle più belle specie Italiane per via della sua peluria lunga e radiata delle elitre, è un

Notoxus lonai Bucciarelli, 1973 (N, S, Si)

_________________
CIAO :hi: Augusto Degiovanni

http://anthicidaeecarabidae.altervista.org


Top
profilo
Visualizza ultimi messaggi:  Ordina per  
nuovo argomento
rispondi
Pagina 1 di 1 [ 2 messaggi ]

Tutti gli orari sono UTC + 1 ora [ ora legale ]


Chi c’è in linea

Visitano il forum: Nessuno e 1 ospite


Non puoi aprire nuovi argomenti
Non puoi rispondere negli argomenti
Non puoi modificare i tuoi messaggi
Non puoi cancellare i tuoi messaggi
Non puoi inviare allegati

Cerca per:
Vai a: