| Autore |
Messaggio |
|
Enrico Ruzzier
|
Inviato: 11/01/2010, 15:33 |
|
Iscritto il: 16/02/2009, 23:39 Messaggi: 1368 Località: Mirano (Venezia)
Nome: Enrico Ruzzier
|
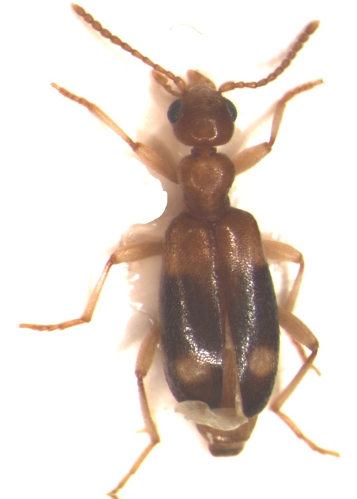
raccolto nel giardino di casa mia  , e devo dire che quel giorno erano a centinaia! ( e io quanti ne vado a raccogliere? solo 2  , e da allora mai più visti) più precisamente nel letamaio e sulla neve che lo ricopriva! raccolto il 11/11/2008, località Campocroce di Mirano (Ve) La foto non è delle migliori, ma più di così.. 
_________________ «Discendiamo da scimmie evolute, non da angeli caduti» Robert Ardrey
|
|
| Top |
|
 |
|
Plagionotus
|
Inviato: 11/01/2010, 16:00 |
|
Iscritto il: 21/05/2009, 14:59 Messaggi: 6994 Località: Parigi
Nome: Riccardo Poloni
|
a campocroce? e dire che ho cercato coleotteri anche lì, ma niente Anthicidi 
_________________ Riccardo Poloni La dignità degli elementi la libertà della poesia, al di là dei tradimenti degli uomini è magia, è magia, è magia... Negrita, Rotolando verso sud
|
|
| Top |
|
 |
|
Enrico Ruzzier
|
Inviato: 11/01/2010, 16:04 |
|
Iscritto il: 16/02/2009, 23:39 Messaggi: 1368 Località: Mirano (Venezia)
Nome: Enrico Ruzzier
|
Qualcosa si trova  , ma non son bestie che mi interessano particolarmente 
_________________ «Discendiamo da scimmie evolute, non da angeli caduti» Robert Ardrey
|
|
| Top |
|
 |
|
Plagionotus
|
Inviato: 11/01/2010, 16:16 |
|
Iscritto il: 21/05/2009, 14:59 Messaggi: 6994 Località: Parigi
Nome: Riccardo Poloni
|
ti interessano i mordellidi? ne raccolgo involontariamente un quantità da inizio marzo fino all'autunno con l'aspiratore e in altri modi, te li devo tenere? 
_________________ Riccardo Poloni La dignità degli elementi la libertà della poesia, al di là dei tradimenti degli uomini è magia, è magia, è magia... Negrita, Rotolando verso sud
|
|
| Top |
|
 |
|
Enrico Ruzzier
|
Inviato: 11/01/2010, 16:23 |
|
Iscritto il: 16/02/2009, 23:39 Messaggi: 1368 Località: Mirano (Venezia)
Nome: Enrico Ruzzier
|
sarebbe cosa estremamente gradita!!!  Mi sevon più dati possibili per la fauna italiana!!! (non che rifiuti assoulutamente materiale da altri paesi, anzi..) C'è qualcosa che ti interessa particolarmente, così eventualmente vedo di ricambiare il favore ?:ok: Magari posta qualche foto così vedo, nel possibile, di determinarli!! 
_________________ «Discendiamo da scimmie evolute, non da angeli caduti» Robert Ardrey
|
|
| Top |
|
 |
|
Plagionotus
|
Inviato: 11/01/2010, 16:36 |
|
Iscritto il: 21/05/2009, 14:59 Messaggi: 6994 Località: Parigi
Nome: Riccardo Poloni
|
 , se vedi Cerambycidi o Buprestidi sono graditi, ma non ti preocupare, a me non costa nulla, tanto anche se non li prendo apposta me li ritrovo nei barattolini lo stesso 
_________________ Riccardo Poloni La dignità degli elementi la libertà della poesia, al di là dei tradimenti degli uomini è magia, è magia, è magia... Negrita, Rotolando verso sud
|
|
| Top |
|
 |
|
Enrico Ruzzier
|
Inviato: 11/01/2010, 16:37 |
|
Iscritto il: 16/02/2009, 23:39 Messaggi: 1368 Località: Mirano (Venezia)
Nome: Enrico Ruzzier
|
Vedrò ti trovarti qualche chicca 
_________________ «Discendiamo da scimmie evolute, non da angeli caduti» Robert Ardrey
|
|
| Top |
|
 |
|
Maw89
|
Inviato: 11/01/2010, 16:39 |
|
Iscritto il: 08/06/2009, 0:06 Messaggi: 3415 Località: Feltre(BL)
Nome: Nicola Dal Zotto
|
Allora te li tengo da parte anch' io se ti interessano  Anche perche tutti quelli che ho provato a preparare si sono frantumati Nicola
_________________ Nicola Dal Zotto
|
|
| Top |
|
 |
|
Enrico Ruzzier
|
Inviato: 11/01/2010, 17:08 |
|
Iscritto il: 16/02/2009, 23:39 Messaggi: 1368 Località: Mirano (Venezia)
Nome: Enrico Ruzzier
|
La preparazione è difficile.. e per di più irritante se gli esemplari sono morti in etere acetico la preparazione può esser fattibile, altrimenti rinuncia!! 
_________________ «Discendiamo da scimmie evolute, non da angeli caduti» Robert Ardrey
|
|
| Top |
|
 |
|
Tenebrio
|
Inviato: 11/01/2010, 18:00 |
|
Iscritto il: 05/02/2009, 17:47 Messaggi: 7252 Località: Cagliari
Nome: Piero Leo
|
|
| Top |
|
 |
|
Notoxus59
|
Inviato: 11/01/2010, 18:06 |
|
Iscritto il: 06/02/2009, 9:03 Messaggi: 6370 Località: Bubano di Mordano (Bologna)
Nome: Augusto Degiovanni
|
Cita: Attualmente ilo nome valido del genere è Stricticollis. Vedi qui: viewtopic.php?f=161&t=2940&start=0&hilit=stricticollis Ciao Piero Bravissimo Piero  . Ciao Enrico, specie inconfondibile, anche se fino ad ora era considerata una specie sporadica perchè trovata generalmente in pochi esemplari (fino a poco tempo fa, unica eccezzione l'abbondanza sui fanghi di scarico del depuratore di Roma, Bucciarelli, 1980) e in ambienti diversi. Questa cattura è un'ulteriore conferma del ritrovamento in Lombardia a Cerro Maggiore nei pressi di un letamaio (Bucciarelli, 1980). Sarebbe bello sapere se qualcun'altro ha fatto osservazioni su questo biotopo. So per certo che questa specie può essere catturata, e in serie mediante light-trapp, ne ho avuto una conferma nel 2000, ricevendone da Plutenko una grossa serie presa in Iran, poi nel 2005, il caro amico ( Anostirius) Platia, mi ha dato delle provette con all'interno gli Anthicidae presi tramite queste trappole luminose in, ROMAGNA: S. Angelo, Gatteo, RM, VII-VIII. 2005, Leg. Platia, e tra questi vi erano circa una ventina di esemplari di questa specie.
|
|
| Top |
|
 |
|
Enrico Ruzzier
|
Inviato: 11/01/2010, 18:18 |
|
Iscritto il: 16/02/2009, 23:39 Messaggi: 1368 Località: Mirano (Venezia)
Nome: Enrico Ruzzier
|
Ciao Piero, Ciao augusto Ti ringrazio Piero per la precisazione del genere, ho controllato poco dopo aver postato questo topic.. se ero furbo potevo farlo prima Augusto, quello che mi ha stupito di più ti dico, non è stato il ritrovamento in se della specie dalle mie parti, quanto la strana situazione e il numero di esemplari in cui lo ho trovato!! E' stata la prima e unica volta che mi è capitato di osservare anticidi sulla neve.. e pure notevolmente attivi! non ho idea se possano essersi radunati magari spinti dal tepore del materiale marcescente, fattostà che la montagna di "sfalci erbosi" era completamente brullicante!!! 
_________________ «Discendiamo da scimmie evolute, non da angeli caduti» Robert Ardrey
|
|
| Top |
|
 |
|
Maw89
|
Inviato: 11/01/2010, 18:20 |
|
Iscritto il: 08/06/2009, 0:06 Messaggi: 3415 Località: Feltre(BL)
Nome: Nicola Dal Zotto
|
Enrico Ruzzier ha scritto: La preparazione è difficile.. e per di più irritante se gli esemplari sono morti in etere acetico la preparazione può esser fattibile, altrimenti rinuncia!!  Per etere uso etere, ma rinuncio a prepararli... In bustina ti vanno bene?
_________________ Nicola Dal Zotto
|
|
| Top |
|
 |
|
Julodis
|
Inviato: 11/01/2010, 18:28 |
|
Iscritto il: 30/12/2009, 22:20 Messaggi: 31564 Località: Roma
Nome: Maurizio Gigli
|
|
Enrico, se ti servono Mordellidi del centro Italia, non ho problemi a metterteli da parte, visto che tra quelli che aspiro insieme ai Buprestidi floricoli e quelli che cadono nelle trappole gialle ne raccolgo sempre a centinaia ogni anno. Di solito li mando ad uno specialista francese, che mi manda Buprestidi africani, di cui lui non sa che farsene, ma se vuoi faccio metà e metà. Ciao
|
|
| Top |
|
 |
|
Enrico Ruzzier
|
Inviato: 11/01/2010, 18:30 |
|
Iscritto il: 16/02/2009, 23:39 Messaggi: 1368 Località: Mirano (Venezia)
Nome: Enrico Ruzzier
|
meglio un pacchettino o simile in cui stiano fermi, altrimenti perdo antenne e palpi boccali, che sono importantissimi per l'identificazione.. sopratutto con le femmine !! grazie 
_________________ «Discendiamo da scimmie evolute, non da angeli caduti» Robert Ardrey
|
|
| Top |
|
 |
|