Benvenuto Ospite

Forum Entomologi Italiani

www.entomologiitaliani.net/forum
 
Oggi è 23/10/2025, 23:27

Tutti gli orari sono UTC + 1 ora [ ora legale ]

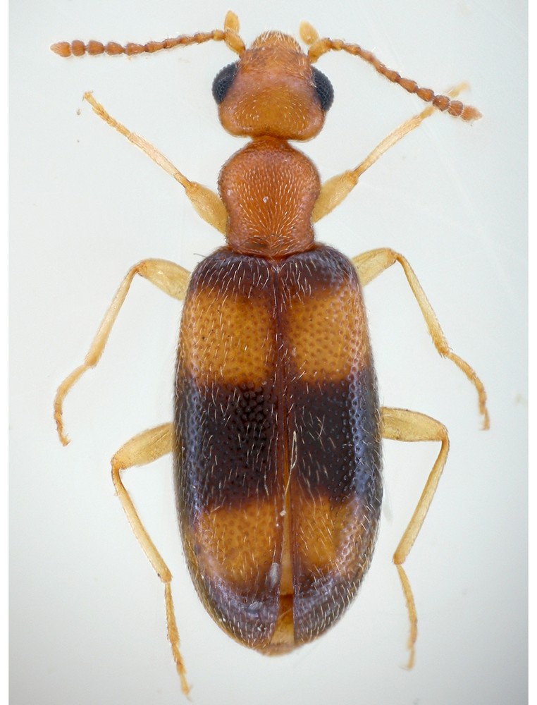
Anthicus czernohorskyi Pic, 1912 Dettagli della specie

19.VII.2005 - ITALIA - Emilia-Romagna - RA, Porto Corsini


nuovo argomento
rispondi
Pagina 1 di 1 [ 1 messaggio ]
Autore Messaggio
MessaggioInviato: 10/02/2010, 14:08 
Avatar utente

Iscritto il: 06/02/2009, 9:03
Messaggi: 6370
Località: Bubano di Mordano (Bologna)
Nome: Augusto Degiovanni
Aggiungiamo un'altra bella chicca per la Falmigia Anthicidae, l' Anthicus czernohorsky Pic, 1912 raccolto in:

ROMAGNA: Porto Corsini, (RA) 19.VII.2005 leg. G. Pezzi

è infatti l'esemplare che ho citato in uno degli ultimi lavori insieme a Giorgio Pezzi, come nuovo per la Regione Emilia Romagna, solo che la foto era in bianco e nero e non si evidenziava la sua bella livrea ;)

A. czernohorsky (2).JPG



A. czernohorsky.JPG


_________________
CIAO :hi: Augusto Degiovanni

http://anthicidaeecarabidae.altervista.org


Top
profilo
Visualizza ultimi messaggi:  Ordina per  
nuovo argomento
rispondi
Pagina 1 di 1 [ 1 messaggio ]

Tutti gli orari sono UTC + 1 ora [ ora legale ]


Chi c’è in linea

Visitano il forum: Nessuno e 1 ospite


Non puoi aprire nuovi argomenti
Non puoi rispondere negli argomenti
Non puoi modificare i tuoi messaggi
Non puoi cancellare i tuoi messaggi
Non puoi inviare allegati

Cerca per:
Vai a: