Benvenuto Ospite

Forum Entomologi Italiani

www.entomologiitaliani.net/forum
 
Oggi è 20/12/2025, 17:59

Tutti gli orari sono UTC + 1 ora [ ora legale ]

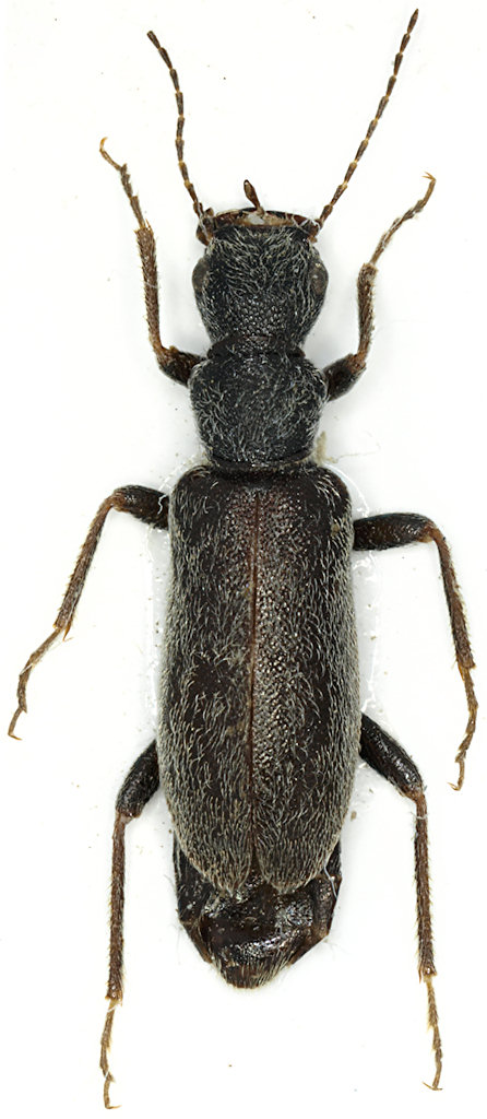
Steriphodon chobauti (Abeille, 1894) - Anthicidae

24.IV.2003 - TUNISIA - EE, Tozeur, dint. di Hazoua


nuovo argomento
rispondi
Pagina 1 di 1 [ 7 messaggi ]
Autore Messaggio
MessaggioInviato: 10/01/2010, 19:04 
Avatar utente

Iscritto il: 30/12/2009, 22:20
Messaggi: 31564
Località: Roma
Nome: Maurizio Gigli
Rieccomi qua!
Vi mando le foto (per la verità, piuttosto mediocri) di un piccolo (5,5 mm) coleottero floricolo raccolto in Tunisia, Tozeur, dint. di Hazoua, 24.IV.2003.
Mi sembra un Melyridae, ma non ci giurerei. Qualcuno sa di che si tratta?
Tunisia_Hazoua_24-IV-2003.jpg


Tunisia_Hazoua_24-IV-2003_capo.jpg


_________________
Maurizio Gigli
http://utenti.romascuola.net/bups
http://bup.xoom.it/


Top
profilo
 Oggetto del messaggio: Re: Coleottero ignoto - Tunisia
MessaggioInviato: 10/01/2010, 22:45 
Avatar utente

Iscritto il: 05/02/2009, 17:47
Messaggi: 7252
Località: Cagliari
Nome: Piero Leo
:roll: sembrerebbe un Dasytidae...
:) Ciao
Piero


Top
profilo
 Oggetto del messaggio: Re: Coleottero ignoto - Tunisia
MessaggioInviato: 11/01/2010, 0:12 
Avatar utente

Iscritto il: 30/12/2009, 22:20
Messaggi: 31564
Località: Roma
Nome: Maurizio Gigli
So si e no che esiste una famiglia con questo nome!
Proverò a vedere sul web se trovo qualcosa.
Grazie

_________________
Maurizio Gigli
http://utenti.romascuola.net/bups
http://bup.xoom.it/


Top
profilo
 Oggetto del messaggio: Re: Dasytidae ? - Tunisia
MessaggioInviato: 16/08/2010, 16:39 
 

Iscritto il: 10/07/2010, 14:42
Messaggi: 4826
Nome: Giuseppe Pace
Girovagavo nel Forum.

Premetto che non conosco la fauna della Tunisia ma ...
Quattro articoli tarsi posteriori.
Pronoto con "collare".
Questo mi sembra un Anthicidae ma di un genere mai visto.

Ciao
Giuseppe


Top
profilo
 Oggetto del messaggio: Re: Dasytidae ? - Tunisia
MessaggioInviato: 16/08/2010, 19:19 
Avatar utente

Iscritto il: 04/02/2009, 17:49
Messaggi: 5531
Località: Cagliari
Nome: Daniele Sechi
giuseppe55 ha scritto:
Girovagavo nel Forum.

Premetto che non conosco la fauna della Tunisia ma ...
Quattro articoli tarsi posteriori.
Pronoto con "collare".
Questo mi sembra un Anthicidae ma di un genere mai visto.

Ciao
Giuseppe


Credo che Augusto (Notoxus) conosca bene gli anticidi della Tunisia, se fosse un anticide l'avrebbe già determinato (almeno il genere!). Ma non è intervenuto quindi urge una sua valutazione :)

_________________
:hi:
Daniele


Top
profilo
 Oggetto del messaggio: Re: Dasytidae ?
MessaggioInviato: 12/04/2016, 19:46 
 

Iscritto il: 25/01/2012, 21:39
Messaggi: 496
Località: athens, greece
Nome: Kakiopoulos George
After 5.5 years ... !!!
Giuseppe Pace was right, the tarsal formula is 5-5-4.
With the close collaboration of my friend Gabriele Franzini (Gabrif), we arrived at a result that seems to be near to the reality.

Familly Anthicidae, subfam. Eurygeniinae, species Steriphodon chobauti (Ab., 1894) [original genus Stereopalpus, from Morocco, Tunisia and Algeria].

You can see here, pp 69, 70, 71:
http://leb.daba.lv/Telnov2-53.pdf

Ciao from Athens, :hi: :hi:
George


Top
profilo
 Oggetto del messaggio: Re: Dasytidae ?
MessaggioInviato: 12/04/2016, 20:51 
Avatar utente

Iscritto il: 30/12/2009, 22:20
Messaggi: 31564
Località: Roma
Nome: Maurizio Gigli
strepens ha scritto:
After 5.5 years ... !!!
Giuseppe Pace was right, the tarsal formula is 5-5-4.
With the close collaboration of my friend Gabriele Franzini (Gabrif), we arrived at a result that seems to be near to the reality.

Familly Anthicidae, subfam. Eurygeniinae, species Steriphodon chobauti (Ab., 1894) [original genus Stereopalpus, from Morocco, Tunisia and Algeria].

You can see here, pp 69, 70, 71:
http://leb.daba.lv/Telnov2-53.pdf

Ciao from Athens, :hi: :hi:
George

Thank you very much, George.
I had lost any hope to get an identification of this specimen!

_________________
Maurizio Gigli
http://utenti.romascuola.net/bups
http://bup.xoom.it/


Top
profilo
Visualizza ultimi messaggi:  Ordina per  
nuovo argomento
rispondi
Pagina 1 di 1 [ 7 messaggi ]

Tutti gli orari sono UTC + 1 ora [ ora legale ]


Chi c’è in linea

Visitano il forum: Nessuno e 1 ospite


Non puoi aprire nuovi argomenti
Non puoi rispondere negli argomenti
Non puoi modificare i tuoi messaggi
Non puoi cancellare i tuoi messaggi
Non puoi inviare allegati

Cerca per:
Vai a: