Benvenuto Ospite

Forum Entomologi Italiani

www.entomologiitaliani.net/forum
 
Oggi è 04/11/2025, 20:58

Tutti gli orari sono UTC + 1 ora [ ora legale ]

Liorhyssus hyalinus (Fabricius 1794) - Rhopalidae, Sardegna



nuovo argomento
rispondi
Pagina 1 di 1 [ 2 messaggi ]
Autore Messaggio
MessaggioInviato: 18/09/2009, 15:45 
Avatar utente

Iscritto il: 06/02/2009, 8:59
Messaggi: 305
Località: Sassari
Nome: Laura Loru
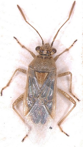
Bugerru (CI) 03/06/2009

Liorhyssus hyalinus

Ciao Laura


Liorhyssus_hyalinus.jpg

Top
profilo
MessaggioInviato: 21/09/2009, 12:31 
Avatar utente

Iscritto il: 05/02/2009, 17:36
Messaggi: 780
Nome: Attilio Carapezza
Non posso che confermare la determinazione; come hai scritto tu stessa in un'altra discussione, la specie si riconosce facilmente per la membrana elitrale che supera ampiamente l'estremità dell'addome.


Top
profilo
Visualizza ultimi messaggi:  Ordina per  
nuovo argomento
rispondi
Pagina 1 di 1 [ 2 messaggi ]

Tutti gli orari sono UTC + 1 ora [ ora legale ]


Chi c’è in linea

Visitano il forum: Nessuno e 1 ospite


Non puoi aprire nuovi argomenti
Non puoi rispondere negli argomenti
Non puoi modificare i tuoi messaggi
Non puoi cancellare i tuoi messaggi
Non puoi inviare allegati

Cerca per:
Vai a: