Benvenuto Ospite

Forum Entomologi Italiani

www.entomologiitaliani.net/forum
 
Oggi è 03/11/2025, 8:52

Tutti gli orari sono UTC + 1 ora [ ora legale ]

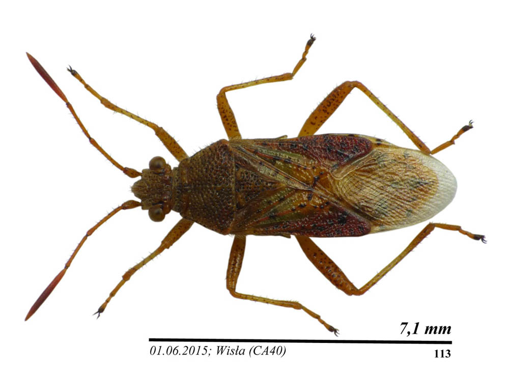
Rhopalus (Aeschyntelus) maculatus (Fieber, 1837) - Rhopalidae

1.VI.2015 - POLONIA - EE, Wisła


nuovo argomento
rispondi
Pagina 1 di 1 [ 2 messaggi ]
Autore Messaggio
MessaggioInviato: 07/06/2015, 7:33 
 

Iscritto il: 02/03/2013, 21:22
Messaggi: 271
Nome: Gierlasinski Grzegorz
Hi,

I found this bug 1.06, on the small river, South Poland:
113 s1 forum.jpg


113 s2 forum.jpg



Is that, like in a title, Rhopalus maculatus?

Best regards
Grzegorz

_________________
Papers in PDF format: https://www.researchgate.net/profile/Grzegorz_Gierlasinski3
My site: http://heteroptera.entomo.pl


Top
profilo
 Oggetto del messaggio: Re: Rhopalus maculatus ?
MessaggioInviato: 07/06/2015, 8:25 
Avatar utente

Iscritto il: 21/09/2014, 11:55
Messaggi: 1561
Località: Istanbul Turkey
Nome: Barış
I agree with you.


Top
profilo
Visualizza ultimi messaggi:  Ordina per  
nuovo argomento
rispondi
Pagina 1 di 1 [ 2 messaggi ]

Tutti gli orari sono UTC + 1 ora [ ora legale ]


Chi c’è in linea

Visitano il forum: Nessuno e 1 ospite


Non puoi aprire nuovi argomenti
Non puoi rispondere negli argomenti
Non puoi modificare i tuoi messaggi
Non puoi cancellare i tuoi messaggi
Non puoi inviare allegati

Cerca per:
Vai a: