Benvenuto Ospite

Forum Entomologi Italiani

www.entomologiitaliani.net/forum
 
Oggi è 03/11/2025, 17:10

Tutti gli orari sono UTC + 1 ora [ ora legale ]

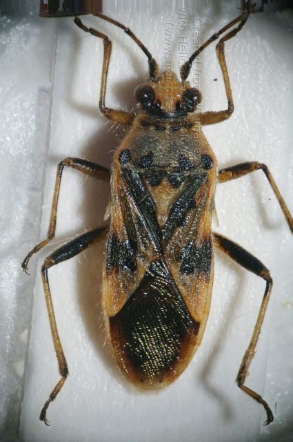
Corizus sp. - Rhopalidae

15.IX.2019 - ITALIA - Sardegna - NU, Bolotona - Punta Palai


nuovo argomento
rispondi
Pagina 1 di 1 [ 4 messaggi ]
Autore Messaggio
 Oggetto del messaggio: Corizus sp. - Rhopalidae
MessaggioInviato: 31/03/2020, 19:41 
 

Iscritto il: 30/12/2014, 18:57
Messaggi: 1027
Nome: Adriana Lecis
Salve! Misura 7,5 mm. :roll: :roll: :roll: raccolto a circa 1130 m.s.l.m.


u1.jpg

u2.jpg

u3.jpg

Top
profilo
 Oggetto del messaggio: Re: Determinazione Hemiptera
MessaggioInviato: 31/03/2020, 20:25 
Avatar utente

Iscritto il: 31/12/2009, 1:47
Messaggi: 902
Località: Bellano (LC)
Nome: Martino Salvetti
Potrebbe essere Corizus nigridorsum


Top
profilo
 Oggetto del messaggio: Re: Determinazione Hemiptera
MessaggioInviato: 01/04/2020, 9:19 
 

Iscritto il: 30/12/2014, 18:57
Messaggi: 1027
Nome: Adriana Lecis
Ciao Martino, ho controllato i tergiti addominali e il 3° - 4° sono neri il resto è rosso, forse una forma molto chiara del C. hyoscyami. :roll: :roll: :roll: :roll: Ho raccolto 3 esemplari, 2 giallastri e il terzo rosato :roll: :roll: :roll: buona giornata :roll: :roll: :roll:


Top
profilo
 Oggetto del messaggio: Re: Determinazione Hemiptera
MessaggioInviato: 01/04/2020, 9:21 
 

Iscritto il: 30/12/2014, 18:57
Messaggi: 1027
Nome: Adriana Lecis
Ovviamente le faccine perplesse sono riferite al fatto che non potendo muoversi da casa...... :hi: :hi: :hi: :hi:


Top
profilo
Visualizza ultimi messaggi:  Ordina per  
nuovo argomento
rispondi
Pagina 1 di 1 [ 4 messaggi ]

Tutti gli orari sono UTC + 1 ora [ ora legale ]


Chi c’è in linea

Visitano il forum: Nessuno e 1 ospite


Non puoi aprire nuovi argomenti
Non puoi rispondere negli argomenti
Non puoi modificare i tuoi messaggi
Non puoi cancellare i tuoi messaggi
Non puoi inviare allegati

Cerca per:
Vai a: