Benvenuto Ospite

Forum Entomologi Italiani

www.entomologiitaliani.net/forum
 
Oggi è 11/11/2025, 20:25

Tutti gli orari sono UTC + 1 ora [ ora legale ]

Himacerus (Aptus) mirmicoides (O. Costa 1834) (Nabidae)



nuovo argomento
rispondi
Pagina 1 di 1 [ 7 messaggi ]
Autore Messaggio
MessaggioInviato: 26/02/2009, 17:32 
Avatar utente

Iscritto il: 06/02/2009, 8:59
Messaggi: 305
Località: Sassari
Nome: Laura Loru
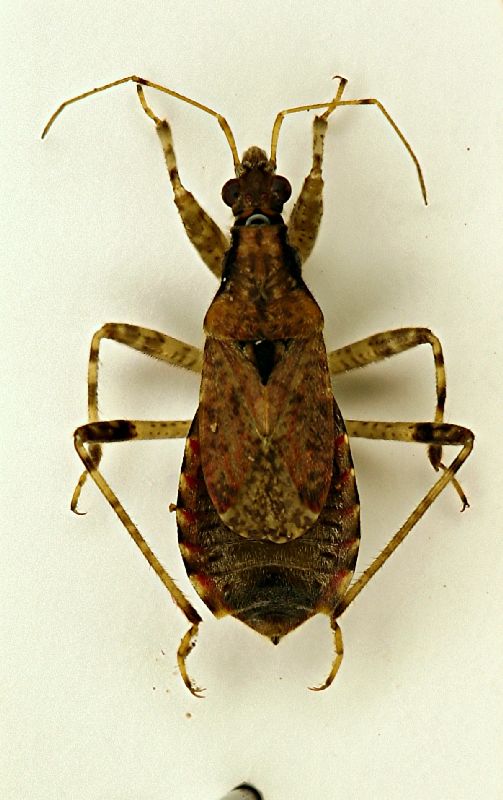
18/10/06
Fonni (Nu)
Fascia trappola su ontano.
Sono certa, ma abbiate pazienza, sarò ancora più certa dopo la vostra conferma!

Grazie Laura


Aptus_mirmicoides_light.jpg

Top
profilo
MessaggioInviato: 26/02/2009, 21:31 
Avatar utente

Iscritto il: 05/02/2009, 17:36
Messaggi: 780
Nome: Attilio Carapezza
Anche questa non può essere che una conferma della corretta determinazione proposta. L'esemplare fotografato appartiene alla forma macrottera, che è meno abbondante rispetto a quella brachittera.


Top
profilo
MessaggioInviato: 27/02/2009, 8:56 
Amministratore
Avatar utente

Iscritto il: 02/02/2009, 23:30
Messaggi: 7102
Località: Capaci (Pa)
Nome: Marcello Romano
Solo una domanda, prima di taxarlo nel titolo.
Su faunaeur.org lo trovo riportato come Himacerus (Aptus) mirmicoides (O. Costa 1834).
Questa combinazione è corretta o già superata da più recenti indagini sul gruppo?

_________________
:hi: Marcello Romano


Top
profilo
MessaggioInviato: 27/02/2009, 12:09 
Avatar utente

Iscritto il: 05/02/2009, 17:36
Messaggi: 780
Nome: Attilio Carapezza
Sì, è la combinazione corretta, in quanto Aptus è attualmente considerato (secondo me a ragione) sottogenere di Himacerus.


Top
profilo
MessaggioInviato: 18/10/2009, 21:34 
Avatar utente

Iscritto il: 05/02/2009, 17:25
Messaggi: 4894
Località: Zola Predosa (BO)
Nome: Loris Colacurcio
Questo proviene invece dal tronco di una grossa quercia.

Sasso Marconi (BO) Palazzo Rossi otobre 2009
trappola a fascia su Quercus sp.

Heterottero nuovo 2.JPG


_________________
Loris


Top
profilo
 Oggetto del messaggio: Re: Heterottero Quercia
MessaggioInviato: 18/10/2009, 22:07 
Avatar utente

Iscritto il: 06/02/2009, 8:59
Messaggi: 305
Località: Sassari
Nome: Laura Loru
Questo è il Nabidae Himacerus (Aptus) mirmicoides

Ciao Laura


Top
profilo
 Oggetto del messaggio: Re: Heterottero Quercia
MessaggioInviato: 19/10/2009, 0:28 
Avatar utente

Iscritto il: 05/02/2009, 17:36
Messaggi: 780
Nome: Attilio Carapezza
Confermo l'identificazione di Laura.


Top
profilo
Visualizza ultimi messaggi:  Ordina per  
nuovo argomento
rispondi
Pagina 1 di 1 [ 7 messaggi ]

Tutti gli orari sono UTC + 1 ora [ ora legale ]


Chi c’è in linea

Visitano il forum: Nessuno e 1 ospite


Non puoi aprire nuovi argomenti
Non puoi rispondere negli argomenti
Non puoi modificare i tuoi messaggi
Non puoi cancellare i tuoi messaggi
Non puoi inviare allegati

Cerca per:
Vai a: