Benvenuto Ospite

Forum Entomologi Italiani

www.entomologiitaliani.net/forum
 
Oggi è 09/10/2025, 3:03

Tutti gli orari sono UTC + 1 ora [ ora legale ]

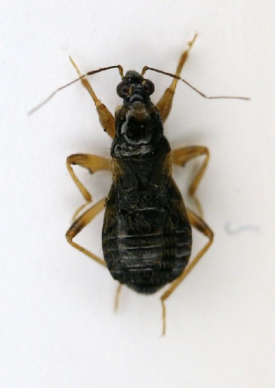
Alloeorhynchus (Alloeorhynchus) flavipes (Fieber, 1836) - Nabidae - Sasso Marconi (BO)



nuovo argomento
rispondi
Pagina 1 di 1 [ 4 messaggi ]
Autore Messaggio
MessaggioInviato: 22/03/2010, 19:10 
Avatar utente

Iscritto il: 05/02/2009, 17:25
Messaggi: 4894
Località: Zola Predosa (BO)
Nome: Loris Colacurcio
Spero di averci azzeccato e, nel caso, qualcuno sarà felice.... :mrgreen:
La bestiola in questione è saltata fuori questa mattina, sotto la pioggia, mentre vagliavo un po' di fogliame marcescente in un mini-boschetto di roverella, pioppo e altre essenze ignote.

Sasso Marconi (BO) - Palazzo Rossi, 22.III.2010
Lunghezza: 5 mm. circa
zz heterottero 1a.JPG


zz heterottero 1b.JPG


_________________
Loris


Top
profilo
MessaggioInviato: 23/03/2010, 16:33 
Avatar utente

Iscritto il: 06/02/2009, 8:59
Messaggi: 305
Località: Sassari
Nome: Laura Loru
Ciao Loris!
Concordo con te! Nel caso non l'avessi già fatto dai un occhiata quà viewtopic.php?f=174&t=2563

Piuttosto, siccome ero e sono ancora in un periodo un pò impegnativo, non ho la lucidità per capire questo:
Loriscola ha scritto:
Spero di averci azzeccato e, nel caso, qualcuno sarà felice.... :mrgreen:



cosa mi sono persa questi ultimi due mesi :?

Laura


Top
profilo
MessaggioInviato: 23/03/2010, 16:48 
Avatar utente

Iscritto il: 05/02/2009, 17:25
Messaggi: 4894
Località: Zola Predosa (BO)
Nome: Loris Colacurcio
...era un riferimento a Marsall che mi aveva "invitato" a trovarne altri.

Bentornata !! :birra:

_________________
Loris


Top
profilo
MessaggioInviato: 17/04/2010, 0:49 
Avatar utente

Iscritto il: 31/12/2009, 1:47
Messaggi: 901
Località: Bellano (LC)
Nome: Martino Salvetti
Grazie Loris, non avevo visto il messaggio.
Sono naturalmente molto contento che tu l'abbia ritrovato!!
E' una specie che mi piace moltissimo, da quando Paride me l'ha determinata tra gli insetti della mia tesi... :hp:


Top
profilo
Visualizza ultimi messaggi:  Ordina per  
nuovo argomento
rispondi
Pagina 1 di 1 [ 4 messaggi ]

Tutti gli orari sono UTC + 1 ora [ ora legale ]


Chi c’è in linea

Visitano il forum: Nessuno e 1 ospite


Non puoi aprire nuovi argomenti
Non puoi rispondere negli argomenti
Non puoi modificare i tuoi messaggi
Non puoi cancellare i tuoi messaggi
Non puoi inviare allegati

Cerca per:
Vai a: