| Autore |
Messaggio |
|
Palaemonetes
|
Inviato: 16/12/2016, 19:40 |
|
Iscritto il: 01/11/2009, 9:51 Messaggi: 2332
Nome: Andrea Rattu
|
|
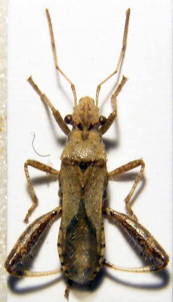
Lunghezza 7,2 mm. Nel 2007 non mi interessavo ancora agli eterotteri ma consideravo solo i coleotteri. Dissi a un mio amico "se trovi insetti prendimeli": tra le varie cose mi portò questo eterottero che io, nella più totale indifferenza, accantonai nella scatola degli insetti "da controllare" e là vi rimase...fino a ieri. Quando l'ho visto al microscopio mi son detto "un Camptopus lateralis nano? Fino alla famiglia Alydidi ok, ma poi? Non ho bibliografia su questa famiglia. Sono portato a dire Heegeria tangirica ma senza certezza. E' lui? Nel caso si può avere notizie circa la sua diffusione e la sua ecologia? Grazie a tutti.
_________________ Se gettassi su di un piatto della bilancia tutto ciò che ho imparato a comprendere in quelle ore di meditazione di fronte all'acquario, e sull'altro tutto ciò che ho ricavato dai libri, come rimarrebbe leggero il secondo! Konrad Lorenz
|
|
| Top |
|
 |
|
giuseppe55
|
Inviato: 16/12/2016, 21:03 |
|
Iscritto il: 10/07/2010, 14:42 Messaggi: 4870
Nome: Giuseppe Pace
|
|
| Top |
|
 |
|
Palaemonetes
|
Inviato: 16/12/2016, 21:12 |
|
Iscritto il: 01/11/2009, 9:51 Messaggi: 2332
Nome: Andrea Rattu
|
Super-grazie Giuseppe  .
_________________ Se gettassi su di un piatto della bilancia tutto ciò che ho imparato a comprendere in quelle ore di meditazione di fronte all'acquario, e sull'altro tutto ciò che ho ricavato dai libri, come rimarrebbe leggero il secondo! Konrad Lorenz
|
|
| Top |
|
 |
|
giuseppe55
|
Inviato: 16/12/2016, 21:15 |
|
Iscritto il: 10/07/2010, 14:42 Messaggi: 4870
Nome: Giuseppe Pace
|
|
| Top |
|
 |
|
Palaemonetes
|
Inviato: 16/12/2016, 23:34 |
|
Iscritto il: 01/11/2009, 9:51 Messaggi: 2332
Nome: Andrea Rattu
|
Ancora grazie Giuseppe  .
_________________ Se gettassi su di un piatto della bilancia tutto ciò che ho imparato a comprendere in quelle ore di meditazione di fronte all'acquario, e sull'altro tutto ciò che ho ricavato dai libri, come rimarrebbe leggero il secondo! Konrad Lorenz
|
|
| Top |
|
 |
|
Baris99
|
Inviato: 17/12/2016, 14:41 |
|
Iscritto il: 21/09/2014, 11:55 Messaggi: 1561 Località: Istanbul Turkey
Nome: Barış
|
|
The valid name is Heegeria tangirica. I have found it in Turkey this summer. It is new for Turkey and its article will be published next June. But it is already known from Italy, Spain and Greece.
|
|
| Top |
|
 |
|
Palaemonetes
|
Inviato: 17/12/2016, 23:31 |
|
Iscritto il: 01/11/2009, 9:51 Messaggi: 2332
Nome: Andrea Rattu
|
Wow, many compliments Baris  .
_________________ Se gettassi su di un piatto della bilancia tutto ciò che ho imparato a comprendere in quelle ore di meditazione di fronte all'acquario, e sull'altro tutto ciò che ho ricavato dai libri, come rimarrebbe leggero il secondo! Konrad Lorenz
|
|
| Top |
|
 |
|
Dioli
|
Inviato: 27/12/2016, 0:07 |
|
Iscritto il: 05/02/2009, 17:34 Messaggi: 894 Località: Sondrio - Lombardia - Italia
Nome: Paride Dioli
|
Credo che tu debba pubblicare questo dato. Non conosco segnalazioni sarde. E' citata di Sicilia (diversi autori) e Calabria (Tamanini 1981). Dovrebbe esserci un articolo di Luis Vivas sulla rivista scientifica on-line di Biodiversidad virtual (forum spagnolo), con le località iberiche. Ha una distribuzione che arriva alla Regione Etiopica. Per saperne di più (ci sono le foto del materiale tipico) guarda qui: http://coreoidea.speciesfile.org/Common/basic/Taxa.aspx?TaxonNameID=1186328. Viene pubblicata anche una cartina della distribuzione mondiale. Tra l'altro c'è la foto di un reperto eccezionale raccolto da Bottego (spedizioni coloniali italiane in Africa) e descritto come H.ferruginea (poi andato in sinonimia con H.tangirica) da Angelo De Carlini un emitterologo italiano, di origini pavesi. Nella sua breve esistenza pubblicò forse una decina di lavori, quand'era assistente universitario, tra cui i primi cataloghi di invertebrati (con molti eterotteri) di alcune vallate alpine tra cui la Val d'Ossola e la Valtellina, dove insegnò al Liceo di Domodossola e poi di Sondrio alla fine dell'800. Alcune sue specie descritte su materiale africano di quelle storiche spedizioni sono ancora oggi valide. Nei materiali del Museo dell'Università di Pavia ci sono ancora delle scatole di etereotteri, spillati, che dovrebbero risalire alla sua epoca. Alcuni tipi, come in questo caso, sono andati dispersi in altri musei, forse in seguito a prestiti o scambi.
|
|
| Top |
|
 |
|
Dioli
|
Inviato: 27/12/2016, 2:08 |
|
Iscritto il: 05/02/2009, 17:34 Messaggi: 894 Località: Sondrio - Lombardia - Italia
Nome: Paride Dioli
|
|
Andrea, questi tuoi esemplari sono eccezionalmente molto chiari. Quelli che ho in collezione, mi sono stati mandati da alcuni Paesi africani (Kenia, Rep. Centro Africana, Sierra Leone), ma sono molto più rossicci-marroni. I caratteri distintivi che hanno in comune sono le "virgole" sul capo, nella parte distale del pronoto e la banda chiara mediana delle tibie posteriori.
|
|
| Top |
|
 |
|
Palaemonetes
|
Inviato: 29/12/2016, 12:53 |
|
Iscritto il: 01/11/2009, 9:51 Messaggi: 2332
Nome: Andrea Rattu
|
Grazie infinite Paride  . L'esemplare è uno solo, scollandolo dal vecchio cartellino per riprepararlo ho accidentalmente rotto una zampa, che ho poi re - incollato all'insetto nelle foto dorsali. Non appena rientro a Cagliari (ora sono a Roma) ricontrollo l'esemplare e ti faccio sapere  .
_________________ Se gettassi su di un piatto della bilancia tutto ciò che ho imparato a comprendere in quelle ore di meditazione di fronte all'acquario, e sull'altro tutto ciò che ho ricavato dai libri, come rimarrebbe leggero il secondo! Konrad Lorenz
|
|
| Top |
|
 |
|
Palaemonetes
|
Inviato: 14/01/2017, 9:57 |
|
Iscritto il: 01/11/2009, 9:51 Messaggi: 2332
Nome: Andrea Rattu
|
Confermo che l'esemplare è di color paglierino (magari è immaturo), per il resto mi pare che i caratteri ci siano tutti  .
_________________ Se gettassi su di un piatto della bilancia tutto ciò che ho imparato a comprendere in quelle ore di meditazione di fronte all'acquario, e sull'altro tutto ciò che ho ricavato dai libri, come rimarrebbe leggero il secondo! Konrad Lorenz
|
|
| Top |
|
 |
|
marsal
|
Inviato: 21/01/2017, 1:03 |
|
Iscritto il: 31/12/2009, 1:47 Messaggi: 955 Località: Bellano (LC)
Nome: Martino Salvetti
|
|
Veramente tutto molto interessante. fa un certo effetto vedere tutti quei cartellini con i cambiamenti di nomenclatura!
|
|
| Top |
|
 |
|