Benvenuto Ospite

Forum Entomologi Italiani

www.entomologiitaliani.net/forum
 
Oggi è 07/11/2025, 16:35

Tutti gli orari sono UTC + 1 ora [ ora legale ]

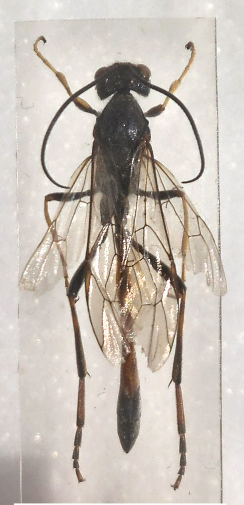
Icneumonide Anomaloninae sp.

7.V.2002 - ITALIA - Sardegna - NU, Funtana Raminosa, 450 m


nuovo argomento
rispondi
Pagina 1 di 1 [ 3 messaggi ]
Autore Messaggio
 Oggetto del messaggio: Icneumonide Anomaloninae sp.
MessaggioInviato: 24/04/2014, 21:20 
 

Iscritto il: 08/12/2013, 1:52
Messaggi: 7535
Località: Bagnacavallo (RA)
Nome: Giorgio Pezzi
mm 20. Qualcuno lo conosce? :hi:
icneum funtana nerorosso.jpg



icneumonide funt later.jpg

Top
profilo
 Oggetto del messaggio: Re: Icneumonide sardo da ID
MessaggioInviato: 25/04/2014, 10:44 
Avatar utente

Iscritto il: 06/02/2009, 9:02
Messaggi: 1429
Località: Verona - Roma - Foggia e sporadicamente Padova
Nome: Filippo Di Giovanni
Anomaloninae. Ma servono dettagli per capire il genere. Così è complicato (*).

Filippo

(*) in linea di massima, gli icneumonidi è meglio spillarli. Ci sono dei caratteri che si vedono meglio o si vedono solo da sotto.

_________________
"Non posso separare il piacere estetico che provo nel vedere una farfalla dal piacere scientifico di sapere che cosa è" (V.Nabokov)


Top
profilo
 Oggetto del messaggio: Re: Icneumonide sardo da ID
MessaggioInviato: 25/04/2014, 22:19 
 

Iscritto il: 08/12/2013, 1:52
Messaggi: 7535
Località: Bagnacavallo (RA)
Nome: Giorgio Pezzi
In tal caso è su cartellino trasparente (come tutti i miei cartellini), ma non curo tale aspetto poichè ne ho pochissimi, una trentina in tutto. Frutto di cacce disperatamente senza buoni reperti per cui finisco per catturare qualcosa per ricordo (e data del viaggio). :hi:


Top
profilo
Visualizza ultimi messaggi:  Ordina per  
nuovo argomento
rispondi
Pagina 1 di 1 [ 3 messaggi ]

Tutti gli orari sono UTC + 1 ora [ ora legale ]


Chi c’è in linea

Visitano il forum: Nessuno e 1 ospite


Non puoi aprire nuovi argomenti
Non puoi rispondere negli argomenti
Non puoi modificare i tuoi messaggi
Non puoi cancellare i tuoi messaggi
Non puoi inviare allegati

Cerca per:
Vai a: