Benvenuto Ospite

Forum Entomologi Italiani

www.entomologiitaliani.net/forum
 
Oggi è 23/10/2025, 20:49

Tutti gli orari sono UTC + 1 ora [ ora legale ]

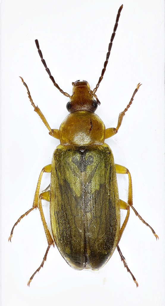
Cteniopus sulphureus (Linnaeus, 1767) (cf.) - Tenebrionidae Alleculinae

30.VII.2015 - ITALIA - Veneto - VE, San Michele al Tagliamento (VE), loc.: Bibione


nuovo argomento
rispondi
Pagina 1 di 1 [ 2 messaggi ]
Autore Messaggio
MessaggioInviato: 25/10/2015, 20:02 
Avatar utente

Iscritto il: 31/07/2014, 16:09
Messaggi: 619
Località: Northeim, Lower Saxony, Germany
Nome: Alex Hasenkampf
:hi: 7mm


2015-10-25_18-07-33 M=C R=50 S=10.jpg

Top
profilo
 Oggetto del messaggio: Re: Please ID 2 ....
MessaggioInviato: 25/10/2015, 20:06 
Avatar utente

Iscritto il: 06/02/2009, 9:07
Messaggi: 1484
Località: Val Camonica (BS)
Nome: Davide Pedersoli
Cteniopus sulphureus :roll:

_________________
Pedux Camuno


Top
profilo
Visualizza ultimi messaggi:  Ordina per  
nuovo argomento
rispondi
Pagina 1 di 1 [ 2 messaggi ]

Tutti gli orari sono UTC + 1 ora [ ora legale ]


Chi c’è in linea

Visitano il forum: Nessuno e 5 ospiti


Non puoi aprire nuovi argomenti
Non puoi rispondere negli argomenti
Non puoi modificare i tuoi messaggi
Non puoi cancellare i tuoi messaggi
Non puoi inviare allegati

Cerca per:
Vai a: