Benvenuto Ospite

Forum Entomologi Italiani

www.entomologiitaliani.net/forum
 
Oggi è 11/10/2025, 14:40

Tutti gli orari sono UTC + 1 ora [ ora legale ]

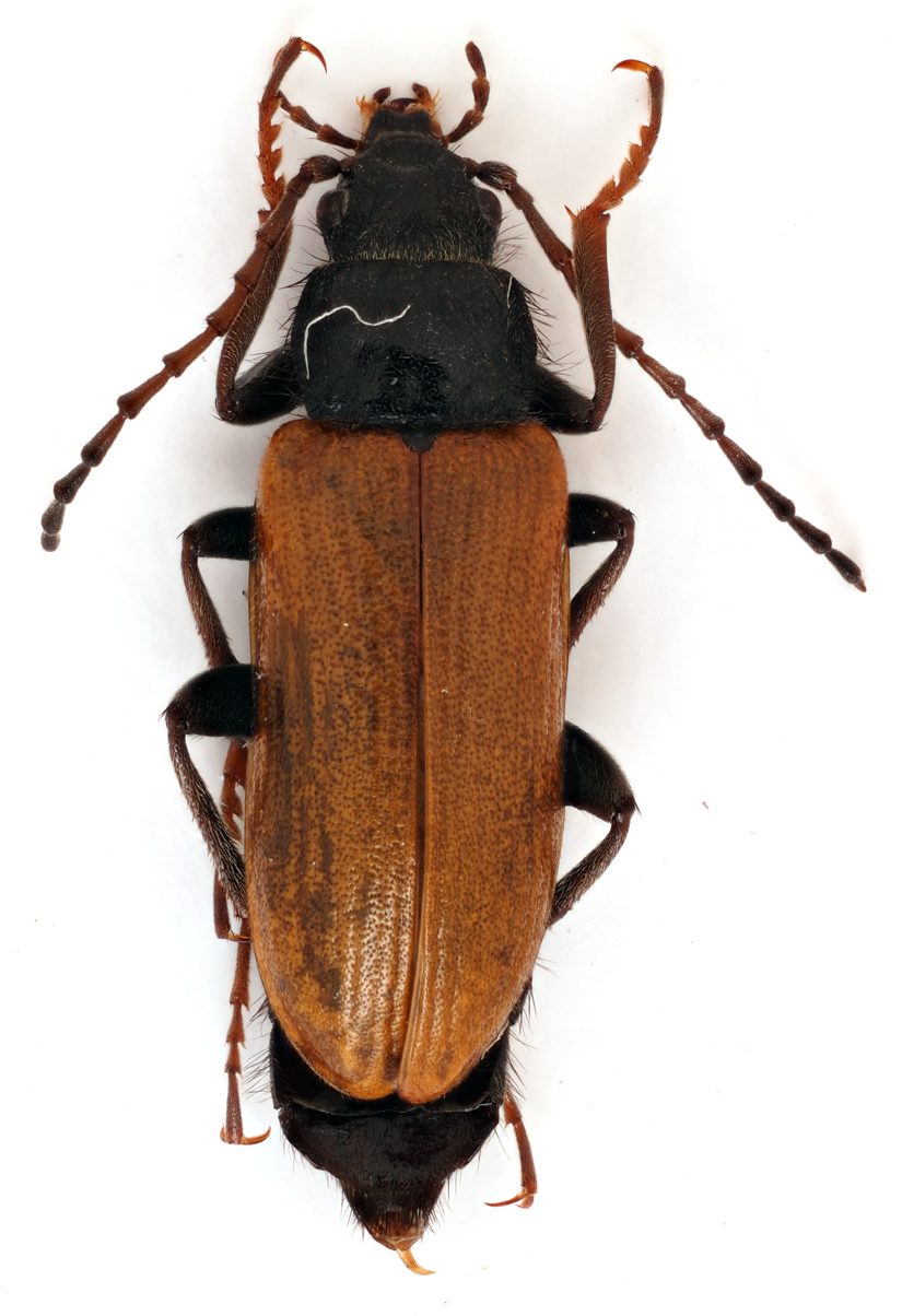
Omophlus rufitarsis (Leske, 1785) - Tenebrionidae

5.VII.2014 - ITALIA - Abruzzo - AQ, Fonte Vetica, Campo Imperatore


nuovo argomento
rispondi
Pagina 1 di 1 [ 12 messaggi ]
Autore Messaggio
MessaggioInviato: 13/09/2014, 12:01 
Avatar utente

Iscritto il: 10/05/2009, 15:30
Messaggi: 7182
Località: Ancona
Nome: Giacomo Giovagnoli
Fonte Vetica (Campo Imperatore, L'Aquila); 05.VII.2014. :birra:

Alessio mi aveva detto il nome... ma mi sono scordato... :no1:
[grazie zio per le foto!!! :birra: ]

Dimensioni: 10mm
Comb1355_13zFcr.jpg


Comb1356_31zFcr.jpg


Comb1357_28zFcr.jpg


Comb1358_37zFcr.jpg



Ciao :)

_________________
Immagine Giacomo


Top
profilo
 Oggetto del messaggio: Re: Omophlus... - Tenebrionidae
MessaggioInviato: 13/09/2014, 12:11 
Avatar utente

Iscritto il: 09/06/2012, 20:57
Messaggi: 4282
Località: Mesola (FE)
Nome: Daniele Maccapani
Vedo che hai risolto egregiamente l'eterno dilemma sul preparare con le antenne sopra o sotto le zampe! :mrgreen:

:birra:

_________________
"Lasciate questo mondo un po' migliore di come lo avete trovato" (Sir Robert Baden Powell)
Immagine Daniele


Top
profilo
 Oggetto del messaggio: Re: Omophlus... - Tenebrionidae
MessaggioInviato: 13/09/2014, 12:23 
Avatar utente

Iscritto il: 10/05/2009, 15:30
Messaggi: 7182
Località: Ancona
Nome: Giacomo Giovagnoli
:P
:lol: :lol1: :gh:

Diciamo che non ho tempo per preparare... :no1:

_________________
Immagine Giacomo


Top
profilo
 Oggetto del messaggio: Re: Omophlus... - Tenebrionidae
MessaggioInviato: 13/09/2014, 18:24 
Avatar utente

Iscritto il: 09/06/2012, 20:57
Messaggi: 4282
Località: Mesola (FE)
Nome: Daniele Maccapani
StagBeetle ha scritto:
Diciamo che non ho tempo per preparare...

Diciamo che ti capisco bene... :dead: :ok:

:hi:

_________________
"Lasciate questo mondo un po' migliore di come lo avete trovato" (Sir Robert Baden Powell)
Immagine Daniele


Top
profilo
 Oggetto del messaggio: Re: Omophlus... - Tenebrionidae
MessaggioInviato: 14/09/2014, 9:01 
Avatar utente

Iscritto il: 02/12/2012, 18:53
Messaggi: 204
Località: roma
Nome: alessandro bruno biscaccianti
ciao giacomo, è un Omophlus picipes, specie non molto frequente, spesso associato sulle stesse piante ad altre specie molto simili... se ne hai raccolti in serie controlla bene tutti gli exx.
a presto,
ale


Top
profilo
 Oggetto del messaggio: Re: Omophlus... - Tenebrionidae
MessaggioInviato: 14/09/2014, 10:37 
Avatar utente

Iscritto il: 09/11/2009, 14:12
Messaggi: 5144
Località: Hradec Kralove,Czech republik
Nome: Jan Matějíček
Io non credo Omophlus picipes (Fabricius, 1792)
http://www.meloidae.com/cs/obrazky/33540/

http://www.meloidae.com/cs/albumy/tenebrionidae/?p=5

_________________
Research Fields
Taxonomy, ecology, biomonitoring , faunistic of Staphylinidae


Top
profilo
 Oggetto del messaggio: Re: Omophlus... - Tenebrionidae
MessaggioInviato: 14/09/2014, 18:28 
Avatar utente

Iscritto il: 23/06/2010, 19:05
Messaggi: 2580
Località: Pescara
Nome: Alessio Morelli
Ciao Alessandro :birra: , se non erro quelli che ti ho portato in bustina, raccolti durante la stessa uscita con Giacomo, me li avevi determinati come O. rufitarsis, mi sbaglio?


Top
profilo
 Oggetto del messaggio: Re: Omophlus... - Tenebrionidae
MessaggioInviato: 14/09/2014, 22:07 
Avatar utente

Iscritto il: 02/12/2012, 18:53
Messaggi: 204
Località: roma
Nome: alessandro bruno biscaccianti
ha ragione alessio, chiedo venia per il lapsus... in effetti quando ho visto il post ero rimasto un po' interdetto per la colorazione che è tipica di O. picipes per cui ho ricontrollato i caratteri e i miei esemplari ed ero giunto alla conclusione che si trattava di un esemplare insolito di O. rufitarsis... ma purtroppo mi è rimasto in testa il picipes e così ho scritto senza rileggermi...! ad ogni modo un carattere sicuro (che però dalla foto non si capisce) è la presenza di setole erette nere anche sul disco del pronoto in rufitarsis, assenti in picipes. normalmente O. rufitarsis ha appendici nere eccetto i tarsi, qualche volta, specie nell'appennino centrale, si trovano exx con colorazione appena rossiccia dei primi articoli antennali e dell'apice delle tibie anteriori, che sembra però insolitamente estesa ed evidente in questo ex... se ne avete altri con questa colorazione avrei piacere di controllarli. aggiungo che il nome attualmente valido per O. rufitarsis sarebbe O. pubescens: non ho ancora approfondito la questione, che è un po' articolata, ma sembra invece che il nome pubescens di Linnaeus sia un nomen oblitum e quindi resterebbe valido rufitarsis (nomen protectum). ma non è detto perché la cosa è più complessa perché esiste anche un altro nome forse applicabile, comunque tornerò a breve sull'argomento, nel frattempo uso il nome più noto per questa specie in attesa di definire e pubblicare la nomenclatura corretta da applicare.
a presto,
ale


Top
profilo
 Oggetto del messaggio: Re: Omophlus... - Tenebrionidae
MessaggioInviato: 14/09/2014, 22:30 
Avatar utente

Iscritto il: 23/06/2010, 19:05
Messaggi: 2580
Località: Pescara
Nome: Alessio Morelli
alebisca ha scritto:
ha ragione alessio, chiedo venia per il lapsus... in effetti quando ho visto il post ero rimasto un po' interdetto per la colorazione che è tipica di O. picipes per cui ho ricontrollato i caratteri e i miei esemplari ed ero giunto alla conclusione che si trattava di un esemplare insolito di O. rufitarsis... ma purtroppo mi è rimasto in testa il picipes e così ho scritto senza rileggermi...!

Immaginavo :ok:


Top
profilo
 Oggetto del messaggio: Re: Omophlus... - Tenebrionidae
MessaggioInviato: 15/09/2014, 19:20 
Avatar utente

Iscritto il: 02/12/2012, 18:53
Messaggi: 204
Località: roma
Nome: alessandro bruno biscaccianti
si alessio, stamattina poi ho rivisto anche i tuoi esemplari che mi hai lasciato e infatti hanno le appendici nere. fra l'altro O. picipes e O. rufitarsis sono appunto due specie che talvolta convivono sugli stessi fiori, però non credo si ibridino. tu ne hai raccolti esemplari con appendici rossicce?


Top
profilo
MessaggioInviato: 15/09/2014, 20:30 
Avatar utente

Iscritto il: 23/06/2010, 19:05
Messaggi: 2580
Località: Pescara
Nome: Alessio Morelli
Non conoscendo i caratteri che permettono di dividere le due specie ho dato per scontato che fossero tutti uguali. Ho controllato in collezione e devo dire che anche fra i miei ce n'è uno con le antenne rossicce, dallo scapo fino all'ottavo antennomero come quello di Giacomo. Pure le protibie sembrano abbastanza chiare verso l'apice. I peli sul disco del pronoto sono eretti in tutti gli individui.

Ho notato però che alcune parti delle appendici, quali tibie e antenne, non sono mai completamente nere, bensì di colore bruno scuro.


Top
profilo
MessaggioInviato: 16/09/2014, 18:59 
Avatar utente

Iscritto il: 02/12/2012, 18:53
Messaggi: 204
Località: roma
Nome: alessandro bruno biscaccianti
no infatti dipende dal tipo e dall'intensità della luce, comunque in genere non così chiare.


Top
profilo
Visualizza ultimi messaggi:  Ordina per  
nuovo argomento
rispondi
Pagina 1 di 1 [ 12 messaggi ]

Tutti gli orari sono UTC + 1 ora [ ora legale ]


Chi c’è in linea

Visitano il forum: Nessuno e 3 ospiti


Non puoi aprire nuovi argomenti
Non puoi rispondere negli argomenti
Non puoi modificare i tuoi messaggi
Non puoi cancellare i tuoi messaggi
Non puoi inviare allegati

Cerca per:
Vai a: