Forum Entomologi Italiani
https://www.entomologiitaliani.net/public/forum/phpBB3/

Nemognatha nemorensis Hentz, 1830 (cf.) - Meloidae
https://www.entomologiitaliani.net/public/forum/phpBB3/viewtopic.php?f=179&t=104146
Pagina 1 di 1

Autore:  Batocerino [ 06/01/2024, 2:36 ]
Oggetto del messaggio:  Nemognatha nemorensis Hentz, 1830 (cf.) - Meloidae

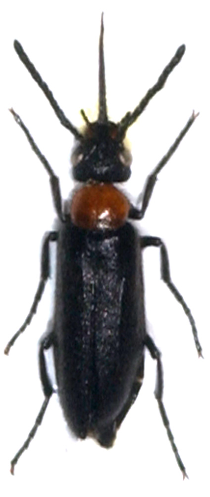
Con l'avvento dell'anno nuovo ho finalmente deciso di mettere ordine nei coleotteri raccolti l'anno scorso, e mi sono imbattuto in un gruppo la cui identificazione mi e' proprio impssibile. Spero questo Illustre Forum possa aiutarmi, anche solo la Famiglia mi sarebbe di molto aiuto! Questo non so proprio COSA sia! Lunghezza circa 8 mm (senza "rostro")

Allegati:
Pointed.jpg


Autore:  pedux [ 06/01/2024, 7:47 ]
Oggetto del messaggio:  Re: Coleottero ? americano #3

sembra un meloidae, forse Nemognatha nemorensis Hentz, 1830 :roll:

Autore:  Batocerino [ 06/01/2024, 18:28 ]
Oggetto del messaggio:  Re: Coleottero ? americano #3

Urca ! Un coleotterro con una estensione boccale cosi' lunga non lo avevo mai visto ! Complimenti, e' proprio lui. Ho visto su INaturalist molte immagini di questo meloide, alcuni hanno l'estensione, altri no. Puo' essere una differenza maschio/femmina ?

Mille grazie ! :birra: :birra: :birra:

Andrea

Autore:  pedux [ 07/01/2024, 8:18 ]
Oggetto del messaggio:  Re: Coleottero ? americano #3

non saprei per quella specie di "rostro", probabilmente Bologna saprà dire qualcosa... magari dico una cavolata, ma nelle molte foto che vedo è spesso ripiegato sotto il corpo e lungo anche più di metà corpo

Autore:  gabrif [ 09/01/2024, 18:39 ]
Oggetto del messaggio:  Re: Coleottero ? americano #3

Nemognatha in greco sta per "mascelle a filamento", non a caso :D :D ...

Ciao G.

Autore:  Marco A. Bologna [ 11/02/2024, 13:28 ]
Oggetto del messaggio:  Re: Nemognatha nemorensis Hentz, 1830 (cf.) - Meloidae

In effetti si tratta di un meloide della sottofamiglia Nemognathinae, con tante specie nell'America settentrionale, ma difficilissime da identificare. la forma delle galee modificate sembra proprio quella del genere Nemognathao del genere Pronemognatha Ho recentemente studiato la filogenesi di questa sottofamiglia, davvero interessantissima e ricca di ulteriori novità. per identificare la specie, avrei bisogno di vedere foto migliori o, meglio, l'esemplare, e non è detto che ci riesca davvero.
Scrivimi sulla email (marcoalberto.bologna@uniroma3.it)
Marco Bologna

Pagina 1 di 1 Tutti gli orari sono UTC + 1 ora [ ora legale ]
Powered by phpBB® Forum Software © phpBB Group
http://www.phpbb.com/