Benvenuto Ospite

Forum Entomologi Italiani

www.entomologiitaliani.net/forum
 
Oggi è 07/11/2025, 9:50

Tutti gli orari sono UTC + 1 ora [ ora legale ]

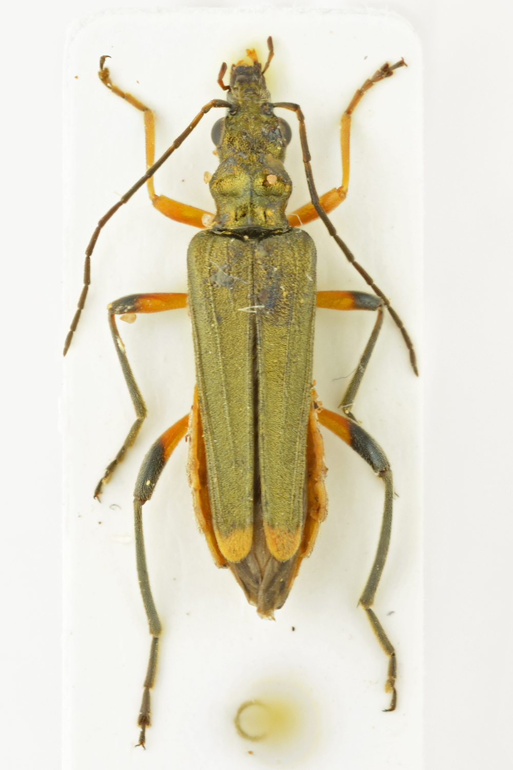
Oedemera mogadorica Escalera, 1913 - Coleoptera Oedemeridae

25.V.2006 - MAROCCO - EE, Foresta della Mamora, L. Saltini legit (data corretta: 21.V-1.VI.2006)


nuovo argomento
rispondi
Pagina 1 di 1 [ 2 messaggi ]
Autore Messaggio
MessaggioInviato: 25/01/2019, 15:39 
Avatar utente

Iscritto il: 21/05/2009, 14:59
Messaggi: 6994
Località: Parigi
Nome: Riccardo Poloni
Questa bellissima Oedemera, di cui ho solo una bruttissima foto fatta insieme ad altre specie per tenerle come referenze, fa parte del gruppo della Oedemera flavipes e a prima vista può essere confusa con Oedemera barbara o Oedemera algerica che sono entrambe presenti in Marocco, ma si può distinguere per avere il margine anteriore del pronoto più pronunciato, "allungato" in senso postero-anteriore.
É distribuita nel Marocco centrale e meridionale e non è rarissima, per ora però ho avuto la fortuna di vedere questo unico esemplare femmina, in coll. Saltini.

O_mogadorica f.jpg


_________________
Riccardo Poloni
La dignità degli elementi
la libertà della poesia,
al di là dei tradimenti degli uomini
è magia, è magia, è magia...
Negrita, Rotolando verso sud


Top
profilo
MessaggioInviato: 26/01/2019, 22:35 
Avatar utente

Iscritto il: 05/02/2009, 17:28
Messaggi: 3226
Nome: Marco Uliana
Bell'animale :ok:


Top
profilo
Visualizza ultimi messaggi:  Ordina per  
nuovo argomento
rispondi
Pagina 1 di 1 [ 2 messaggi ]

Tutti gli orari sono UTC + 1 ora [ ora legale ]


Chi c’è in linea

Visitano il forum: Nessuno e 2 ospiti


Non puoi aprire nuovi argomenti
Non puoi rispondere negli argomenti
Non puoi modificare i tuoi messaggi
Non puoi cancellare i tuoi messaggi
Non puoi inviare allegati

Cerca per:
Vai a: