Benvenuto Ospite

Forum Entomologi Italiani

www.entomologiitaliani.net/forum
 
Oggi è 22/10/2025, 9:03

Tutti gli orari sono UTC + 1 ora [ ora legale ]

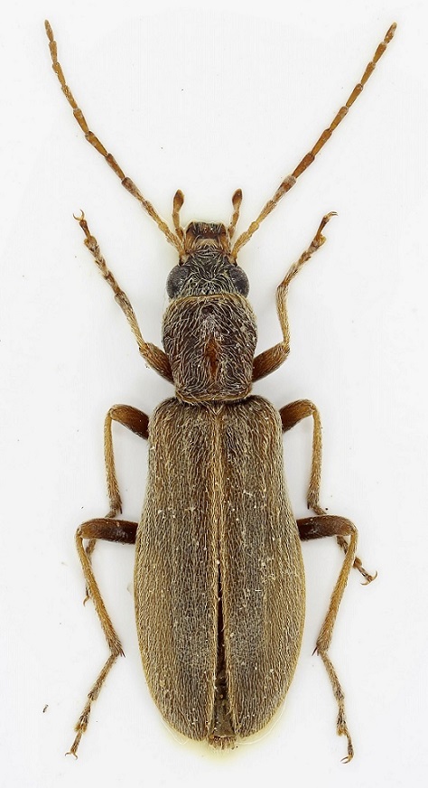
Probosca (Proboxantha) coniuncta Poloni, 2022

10.VII.2018 - OMAN - EE, OMAN, Dhofar, Salalah, Taqah env., 4 m, 10.VII.2018, leg. I. Zappi


nuovo argomento
rispondi
Pagina 1 di 1 [ 7 messaggi ]
Autore Messaggio
MessaggioInviato: 08/02/2019, 17:29 
Avatar utente

Iscritto il: 18/06/2009, 16:54
Messaggi: 1093
Località: Casalecchio di Reno (BO)
Nome: Iuri Zappi
Questi 2 exx. li ho trovati in accoppiamento in una zona salmastra su Salicornia sp.
Sicuramente sul FEI ci sarà qualche estimatore di questa interessante famiglia. :)
Grazie in anticipo per ogni suggerimento sulla specie.


Lunghezza = 7,3 mm Femmina
Oedemeridae sp. 1 fem-Oman-R.jpg

Lunghezza = 6,2 mm Maschio
Oedemeridae sp. 1 mas-Oman - Copia.jpg


_________________
:hi: :hi: :hi:
Iuri
Top
profilo
 Oggetto del messaggio: Re: Oedemeridae sp. 1 - Oman
MessaggioInviato: 08/02/2019, 18:16 
Avatar utente

Iscritto il: 21/05/2009, 14:59
Messaggi: 6994
Località: Parigi
Nome: Riccardo Poloni
Ciao Iuri, come ti dicevo ieri su watsapp è molto improbabile che gli Oedemeridi dell'Oman si possano identificare da foto. Questa però è una quasi eccezione.
E' una Chitona del gruppo fucata: questo genere di Oedemeridi è specializzato proprio sulle piante di ambienti salati o di litorale e tutte le specie sono molto interessanti! Si raccolgono sui fiori e spesso con un caldo atroce.
Nessuna è citata dell'Oman e per una identificazione certa bisogna estrarre il maschio (il secondo esemplare mi pare proprio un maschio). In ogni caso, visto che le specie più vicine sono dell'Iran e Turchia e considerato il periodo molto tardivo, c'è una certa probabilità che sia nuova ;) . Sarei molto contento di poterle esaminare meglio :D.
Quando arrivo a casa controllo meglio sulle pubblicazioni ma direi di confermare quanto ti ho scritto.

_________________
Riccardo Poloni
La dignità degli elementi
la libertà della poesia,
al di là dei tradimenti degli uomini
è magia, è magia, è magia...
Negrita, Rotolando verso sud


Top
profilo
 Oggetto del messaggio: Re: Oedemeridae sp. 1 - Oman
MessaggioInviato: 09/02/2019, 16:19 
Avatar utente

Iscritto il: 18/06/2009, 16:54
Messaggi: 1093
Località: Casalecchio di Reno (BO)
Nome: Iuri Zappi
Bene!!
Avrai modo di approfondire lo studio.
Posso confermarti che il caldo era atroce.
In tutta l'area salmastra esplorata, ho raccolto solo 2 specie di Cicindelidae oltre i pochi exx. di questa specie di Oedemeridae tutti concentrati su tre piantine piuttosto racchie di salicornia in fiore.
Per il resto il nulla assoluto.

_________________
:hi: :hi: :hi:
Iuri


Top
profilo
 Oggetto del messaggio: Re: Oedemeridae sp. 1 - Oman
MessaggioInviato: 09/02/2019, 17:11 
Avatar utente

Iscritto il: 21/05/2009, 14:59
Messaggi: 6994
Località: Parigi
Nome: Riccardo Poloni
È proprio un ambiente da Chitona! Mi farà molto piacere vederla, anche perchè nel peggiore dei casi è nuova per l'Oman :birra:

_________________
Riccardo Poloni
La dignità degli elementi
la libertà della poesia,
al di là dei tradimenti degli uomini
è magia, è magia, è magia...
Negrita, Rotolando verso sud


Top
profilo
 Oggetto del messaggio: Re: Chitona sp. - Oedemeridae
MessaggioInviato: 31/07/2022, 21:34 
Avatar utente

Iscritto il: 21/05/2009, 14:59
Messaggi: 6994
Località: Parigi
Nome: Riccardo Poloni
Questo esemplare, insieme agli altri che Iuri mi ha gentilmente dato in studio e ad altri reperiti in alcuni musei europei, si è rivelato come appartenente ad una specie nuova per la scienza che ho descritto come Probosca (Proboxantha) coniuncta, perchè il curatore del museo di Praga, scomparso alcuni anni fa, aveva anche lui individuato questa specie come nuova. Ironia della sorte, ho trovato in una scatola da magazzino la serie tipica, già cartellinata come nuovo taxon, quando sono andato al museo di Praga per studiare Chitona e Probsca della penisola arabica.

_________________
Riccardo Poloni
La dignità degli elementi
la libertà della poesia,
al di là dei tradimenti degli uomini
è magia, è magia, è magia...
Negrita, Rotolando verso sud


Top
profilo
MessaggioInviato: 31/07/2022, 21:55 
Avatar utente

Iscritto il: 13/10/2010, 18:21
Messaggi: 1990
Nome: Andrea Liberto
Vogliamo il lavoro. Sennò, dacci indietro i soldi del biglietto.

A.


Top
profilo
MessaggioInviato: 01/08/2022, 12:55 
Avatar utente

Iscritto il: 21/05/2009, 14:59
Messaggi: 6994
Località: Parigi
Nome: Riccardo Poloni
A Andrea l'ho già mandato e per chi volesse, ovviamente, basta un mp! Purtroppo non posso metterlo sul forum perchè non è open access.

_________________
Riccardo Poloni
La dignità degli elementi
la libertà della poesia,
al di là dei tradimenti degli uomini
è magia, è magia, è magia...
Negrita, Rotolando verso sud


Top
profilo
Visualizza ultimi messaggi:  Ordina per  
nuovo argomento
rispondi
Pagina 1 di 1 [ 7 messaggi ]

Tutti gli orari sono UTC + 1 ora [ ora legale ]


Chi c’è in linea

Visitano il forum: Nessuno e 2 ospiti


Non puoi aprire nuovi argomenti
Non puoi rispondere negli argomenti
Non puoi modificare i tuoi messaggi
Non puoi cancellare i tuoi messaggi
Non puoi inviare allegati

Cerca per:
Vai a: