Benvenuto Ospite

Forum Entomologi Italiani

www.entomologiitaliani.net/forum
 
Oggi è 31/10/2025, 8:23

Tutti gli orari sono UTC + 1 ora [ ora legale ]

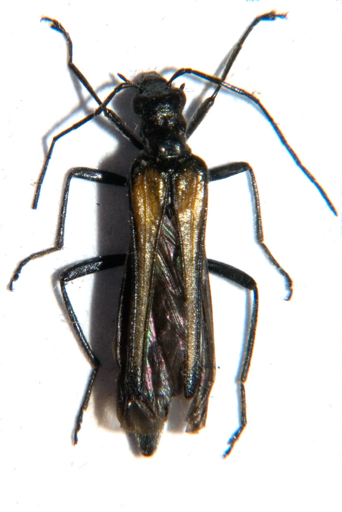
Oedemera (Oedemera) pthysica (Scopoli, 1763) Dettagli della specie

22.VI.2009 - ITALIA - Veneto - BL, Cesio Maggiore: Val Canzoi 46° 6'42"N 11°56'15"E


nuovo argomento
rispondi
Pagina 1 di 1 [ 5 messaggi ]
Autore Messaggio
MessaggioInviato: 05/07/2009, 15:00 
Avatar utente

Iscritto il: 08/06/2009, 0:06
Messaggi: 3415
Località: Feltre(BL)
Nome: Nicola Dal Zotto
Mi sembra lei..che ne dite?
IMGP2148.jpg


_________________
Nicola Dal Zotto


Top
profilo
 Oggetto del messaggio: Re: Oedemera pthysica?
MessaggioInviato: 05/07/2009, 15:20 
Avatar utente

Iscritto il: 17/05/2009, 11:39
Messaggi: 254
Località: Luxembourg
Nome: Francesco Vitali
:ok:

_________________
Francesco Vitali


Top
profilo
MessaggioInviato: 17/02/2011, 11:31 
Avatar utente

Iscritto il: 04/02/2009, 17:49
Messaggi: 5509
Località: Cagliari
Nome: Daniele Sechi
Nicola, aggiungere dati :no1: :)

_________________
:hi:
Daniele


Top
profilo
MessaggioInviato: 17/02/2011, 11:37 
Avatar utente

Iscritto il: 08/06/2009, 0:06
Messaggi: 3415
Località: Feltre(BL)
Nome: Nicola Dal Zotto
Daniele Sechi ha scritto:
Nicola, aggiungere dati :no1: :)


Gli scheletri nell' armadio primo o poi saltano fuori :lol1: :lol1: :lol1:

Fatto!!!

_________________
Nicola Dal Zotto


Top
profilo
MessaggioInviato: 17/02/2011, 11:42 
Avatar utente

Iscritto il: 26/03/2010, 14:55
Messaggi: 5973
Località: Romania
Nome: Cosmin-Ovidiu Manci
Maw89 ha scritto:
Daniele Sechi ha scritto:
Nicola, aggiungere dati :no1: :)


Gli scheletri nell' armadio primo o poi saltano fuori :lol1: :lol1: :lol1:

Fatto!!!


:lol: :lol1: :lol: :lol1: :lol: :lol1:

_________________
Cosmin-Ovidiu Manci
**********************
cosmln's place - my blog
just insects
Dragonflies of Romania


Top
profilo
Visualizza ultimi messaggi:  Ordina per  
nuovo argomento
rispondi
Pagina 1 di 1 [ 5 messaggi ]

Tutti gli orari sono UTC + 1 ora [ ora legale ]


Chi c’è in linea

Visitano il forum: Nessuno e 1 ospite


Non puoi aprire nuovi argomenti
Non puoi rispondere negli argomenti
Non puoi modificare i tuoi messaggi
Non puoi cancellare i tuoi messaggi
Non puoi inviare allegati

Cerca per:
Vai a: