Benvenuto Ospite

Forum Entomologi Italiani

www.entomologiitaliani.net/forum
 
Oggi è 26/10/2025, 15:20

Tutti gli orari sono UTC + 1 ora [ ora legale ]

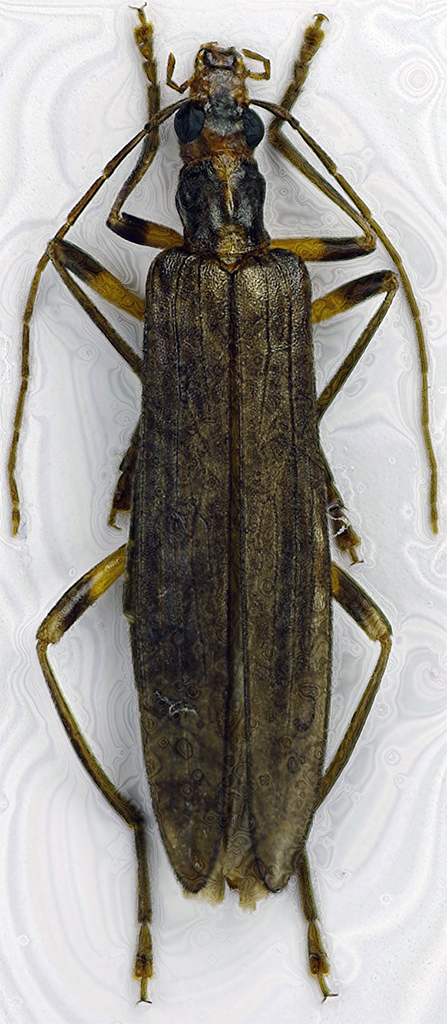
Oedemera (Oncomera) femoralis femoralis Olivier, 1803 Dettagli della specie

2.VIII.2011 - ITALIA - Trentino-Alto Adige - TN, Carisolo (TN) - loc. La Prisa


nuovo argomento
rispondi
Pagina 1 di 1 [ 7 messaggi ]
Autore Messaggio
MessaggioInviato: 30/08/2011, 15:51 
Avatar utente

Iscritto il: 21/05/2010, 23:05
Messaggi: 2982
Località: San Godenzo (FI)
Nome: Carlo Massarone
Questo è il coleottero che in un primo momento avevo scambiato per un Vesperus :oops:
Appena tolto dalla bustina, ieri sera, mi sono reso conto della cantonata che avevo preso.
D'altra parte, se effettivamente è un Oedemeride, non ne avevo mai visti di così grandi (20 mm circa).
Anche in questa foto mi è venuto quell'antipatico effetto "mare di colla" (Ho provato a combinare diverse volte le varie foto ma il risultato è sempre lo stesso) :x
Oedemeride.jpg


_________________
Carlo Massarone


Top
profilo
 Oggetto del messaggio: Re: Oedemeride ?
MessaggioInviato: 30/08/2011, 16:40 
Avatar utente

Iscritto il: 10/05/2009, 15:30
Messaggi: 7182
Località: Ancona
Nome: Giacomo Giovagnoli
Credo proprio femmina di Oedemera (Oncomera) femoralis Olivier, 1803 - Oedemeridae Oedemerinae Oedemerini.
Il maschio è caratteristico per i femori posteriori ingrossati.

_________________
Immagine Giacomo


Top
profilo
 Oggetto del messaggio: Re: Oedemeride ?
MessaggioInviato: 30/08/2011, 16:47 
Avatar utente

Iscritto il: 08/06/2009, 0:06
Messaggi: 3415
Località: Feltre(BL)
Nome: Nicola Dal Zotto
Che sistema di illuminazione usi?? In ogni caso... basta mettere un poco di #ececec (ovviamente non facendolo in mezzo minuto a questa risoluzione, ma fatto come si deve) :D ;)
thumb-1.jpg


_________________
Nicola Dal Zotto


Top
profilo
 Oggetto del messaggio: Re: Oedemeride ?
MessaggioInviato: 30/08/2011, 16:59 
Avatar utente

Iscritto il: 05/08/2009, 18:02
Messaggi: 2264
Nome: Marcello Benelli
C'è da dire che immagini come queste fanno pensare molto in termini evoluzionistici. Il capo e il pronoto sembrano ad una visione d'insieme quelli di un rhagino...
Pensa che quando mi sono loggato per un attimo ho pensato: "qualcuno ha pubblicato la foto di un lepthorrabdium"...

_________________
Marci
"S'i fosse fuoco, arderei 'l mondo,
S'i fosse vento, lo tempesterei,
S'i fosse acqua, i' l'annegherei
s'i fosse dio, mandereil' en profondo" ( Cecco Angiolieri).


Top
profilo
 Oggetto del messaggio: Re: Oedemeride ?
MessaggioInviato: 30/08/2011, 17:01 
Avatar utente

Iscritto il: 30/12/2009, 22:20
Messaggi: 31564
Località: Roma
Nome: Maurizio Gigli
Ciao Carlo, confermo la determinazione di Stag.
E' comunque una bella bestia, che non si trova di frequente (direi meno frequente di Vesperus luridus).

L'effetto "mare di colla" di solito si verifica quando combini foto in cui hai scattato a salti, ovvfero sei andato avanti, poi ti sei accorto che avevi saltato qualche piano e hai fatto altre foto.
Per funzionare bene, lo stacking deve avere le foto in sequenza con i piani focali dall'alto al basso, oppure al contrario, dall'alto al basso. Bollino ed io (cito noi due perchè lo so) partiamo dal punto più alto e scendiamo, ma c'è chi fa al contrario. Era già successo qualcosa di simile mi pare a Plagionotus, tempo fa.

_________________
Maurizio Gigli
http://utenti.romascuola.net/bups
http://bup.xoom.it/


Top
profilo
 Oggetto del messaggio: Re: Oedemeride ?
MessaggioInviato: 30/08/2011, 17:20 
Avatar utente

Iscritto il: 08/06/2009, 0:06
Messaggi: 3415
Località: Feltre(BL)
Nome: Nicola Dal Zotto
Julodis ha scritto:
Ciao Carlo, confermo la determinazione di Stag.
E' comunque una bella bestia, che non si trova di frequente (direi meno frequente di Vesperus luridus).

L'effetto "mare di colla" di solito si verifica quando combini foto in cui hai scattato a salti, ovvfero sei andato avanti, poi ti sei accorto che avevi saltato qualche piano e hai fatto altre foto.
Per funzionare bene, lo stacking deve avere le foto in sequenza con i piani focali dall'alto al basso, oppure al contrario, dall'alto al basso. Bollino ed io (cito noi due perchè lo so) partiamo dal punto più alto e scendiamo, ma c'è chi fa al contrario. Era già successo qualcosa di simile mi pare a Plagionotus, tempo fa.

Anch'io parto dall'alto:)

_________________
Nicola Dal Zotto


Top
profilo
MessaggioInviato: 30/08/2011, 18:45 
Avatar utente

Iscritto il: 21/05/2010, 23:05
Messaggi: 2982
Località: San Godenzo (FI)
Nome: Carlo Massarone
Maurizio: avevo letto in una discussione sullo stacking che le foto vanno scattate in sequenza, senza salti, e ti posso assicurare che io ho fatto sempre così. Non ho mai fatto scatti che non siano in sequenza (anch'io, solitamente, comincio dall'alto a scendere).

Nicola: Per l'illuminazione uso una base con tre faretti a led, tipo una di quelle che usa Maurizio Bollino (postata qui sul forum tempo fa). .... Bisogna che mi legga per bene i vostri tutorial e consigli per le correzioni di postproduzione.

Grazie per la determinazione.

P.S.: Le elitre non sono molto simmetriche perchè purtroppo, stando in bustina insieme ad altri insetti, si è un po' schiacciato.

_________________
Carlo Massarone


Top
profilo
Visualizza ultimi messaggi:  Ordina per  
nuovo argomento
rispondi
Pagina 1 di 1 [ 7 messaggi ]

Tutti gli orari sono UTC + 1 ora [ ora legale ]


Chi c’è in linea

Visitano il forum: Nessuno e 1 ospite


Non puoi aprire nuovi argomenti
Non puoi rispondere negli argomenti
Non puoi modificare i tuoi messaggi
Non puoi cancellare i tuoi messaggi
Non puoi inviare allegati

Cerca per:
Vai a: