Benvenuto Ospite

Forum Entomologi Italiani

www.entomologiitaliani.net/forum
 
Oggi è 26/12/2025, 14:46

Tutti gli orari sono UTC + 1 ora [ ora legale ]

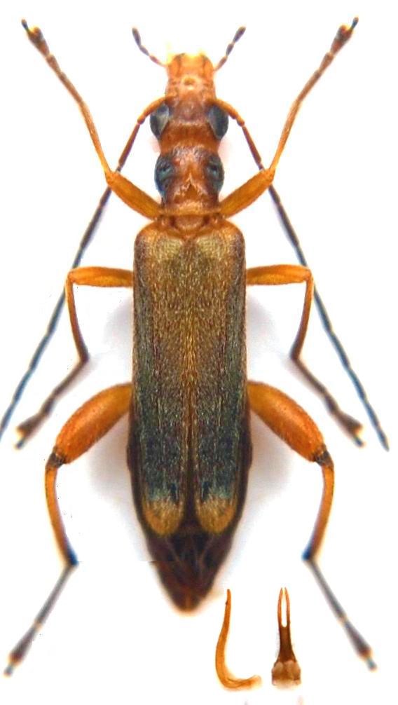
Oedemera (Oncomera) natolica (Reiche, 1862) - Oedemeridae

23.VI.2019 - GRECIA - EE, Rodi, Faliraki env.


nuovo argomento
rispondi
Pagina 1 di 1 [ 4 messaggi ]
Autore Messaggio
MessaggioInviato: 07/11/2019, 10:41 
Avatar utente

Iscritto il: 09/11/2009, 14:12
Messaggi: 5168
Località: Hradec Kralove,Czech republik
Nome: Jan Matějíček
Per favore aiuto con determinazione di questo species.


DSC_0002.JPG

DSC_0001 - Kopie.JPG


_________________
Research Fields
Taxonomy, ecology, biomonitoring , faunistic of Staphylinidae
Top
profilo
 Oggetto del messaggio: Re: Oedemeridae
MessaggioInviato: 07/11/2019, 11:25 
Avatar utente

Iscritto il: 16/02/2009, 23:39
Messaggi: 1368
Località: Mirano (Venezia)
Nome: Enrico Ruzzier
Oedemera (Oncomera) natolica (Reiche, 1862)

E.

_________________
«Discendiamo da scimmie evolute, non da angeli caduti» Robert Ardrey


Top
profilo
 Oggetto del messaggio: Re: Oedemeridae
MessaggioInviato: 07/11/2019, 15:10 
Avatar utente

Iscritto il: 05/07/2009, 12:23
Messaggi: 6859
Località: Anzio (RM)
Nome: Vittorio Risoldi
... e' un impressione mia o sembra che abbia 4 occhi ? :to:

_________________
°°°°°°°°°°°°°°°°°°°°°°°°°°°°°°°°°°°°°°°°
Ciao
Vittorio


Flickr

Phe Immagini

Facebook


Top
profilo
MessaggioInviato: 08/11/2019, 14:16 
Avatar utente

Iscritto il: 09/11/2009, 14:12
Messaggi: 5168
Località: Hradec Kralove,Czech republik
Nome: Jan Matějíček
Grazie mille Enrico per l'aiuto con determinazione. :lov1:

_________________
Research Fields
Taxonomy, ecology, biomonitoring , faunistic of Staphylinidae


Top
profilo
Visualizza ultimi messaggi:  Ordina per  
nuovo argomento
rispondi
Pagina 1 di 1 [ 4 messaggi ]

Tutti gli orari sono UTC + 1 ora [ ora legale ]


Chi c’è in linea

Visitano il forum: Nessuno e 1 ospite


Non puoi aprire nuovi argomenti
Non puoi rispondere negli argomenti
Non puoi modificare i tuoi messaggi
Non puoi cancellare i tuoi messaggi
Non puoi inviare allegati

Cerca per:
Vai a: