Benvenuto Ospite

Forum Entomologi Italiani

www.entomologiitaliani.net/forum
 
Oggi è 26/10/2025, 12:24

Tutti gli orari sono UTC + 1 ora [ ora legale ]

Oedemera (Oedemera) pthysica (Scopoli, 1763) Dettagli della specie

21.VII.2012 - AZERBAIJAN - EE, Azerbaijan : Gadabay rayon : Gadabay (near)


nuovo argomento
rispondi
Pagina 1 di 1 [ 3 messaggi ]
Autore Messaggio
MessaggioInviato: 06/10/2012, 10:23 
Avatar utente

Iscritto il: 31/08/2010, 7:16
Messaggi: 3040
Località: Romania
Nome: Pintilioaie Alexandru Mihai
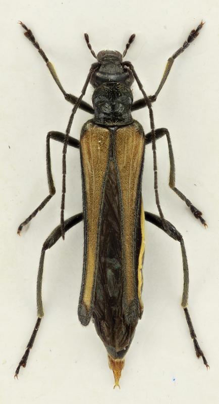
Hi :hi: , this week I meet Cosmin after a long time :D and I received a few beetles, some of them from Azerbaijan :lov2: :lov2:

This is a female, I think O. subulata, but a confirmation whould be welcome :D
lenght : ~ 10 mm

:hi: :hi:

P1350946.JPG


_________________
alexandrupintilioaie(AT)gmail.com


Top
profilo
MessaggioInviato: 19/10/2012, 6:53 
Avatar utente

Iscritto il: 31/08/2010, 7:16
Messaggi: 3040
Località: Romania
Nome: Pintilioaie Alexandru Mihai
up ! :hi:

_________________
alexandrupintilioaie(AT)gmail.com


Top
profilo
MessaggioInviato: 28/10/2012, 12:40 
Avatar utente

Iscritto il: 31/08/2010, 7:16
Messaggi: 3040
Località: Romania
Nome: Pintilioaie Alexandru Mihai
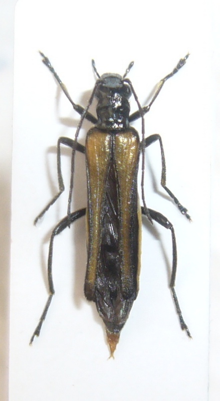
I study the specimen and I am almost sure it is a female of Oedemera (Oedemera) pthysica (Scopoli, 1763).Also here is a better image (thank you Cosmin :birra: :lov2: )

:hi:

Oedemera_1.jpg


_________________
alexandrupintilioaie(AT)gmail.com


Top
profilo
Visualizza ultimi messaggi:  Ordina per  
nuovo argomento
rispondi
Pagina 1 di 1 [ 3 messaggi ]

Tutti gli orari sono UTC + 1 ora [ ora legale ]


Chi c’è in linea

Visitano il forum: Nessuno e 1 ospite


Non puoi aprire nuovi argomenti
Non puoi rispondere negli argomenti
Non puoi modificare i tuoi messaggi
Non puoi cancellare i tuoi messaggi
Non puoi inviare allegati

Cerca per:
Vai a:  
cron