| Forum Entomologi Italiani http://www.entomologiitaliani.net/public/forum/phpBB3/ |
|
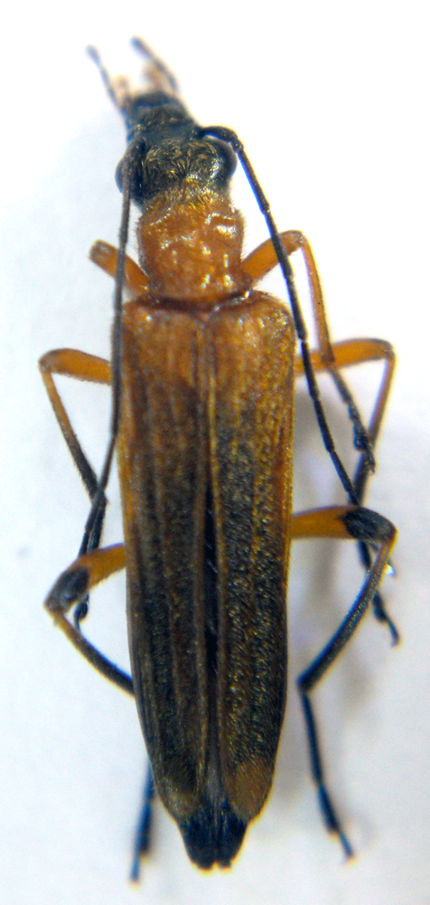
| Oedemera (Oedemera) podagrariae podagrariae (Linnaeus, 1767) - Oedemeridae http://www.entomologiitaliani.net/public/forum/phpBB3/viewtopic.php?f=180&t=44969 |
Pagina 1 di 1 |
| Autore: | Andricus [ 31/05/2013, 20:00 ] |
| Oggetto del messaggio: | Oedemera (Oedemera) podagrariae podagrariae (Linnaeus, 1767) - Oedemeridae |
Altra specie che ancora non avevo incontrato, era abbastanza comune sui fiori di Cisto e sulle ombrellifere assieme ad altre specie di Oedemera . |
|
| Autore: | Andricus [ 03/06/2013, 21:57 ] |
| Oggetto del messaggio: | Re: Oedemera (Oedemera) podagrariae podagrariae (Linnaeus, 1767) - Oedemeridae |
Inserisco anche due foto fatte al volo a una coppia raccolta quel giorno. |
|
| Pagina 1 di 1 | Tutti gli orari sono UTC + 1 ora [ ora legale ] |
| Powered by phpBB® Forum Software © phpBB Group http://www.phpbb.com/ |
|