| Forum Entomologi Italiani http://www.entomologiitaliani.net/public/forum/phpBB3/ |
|
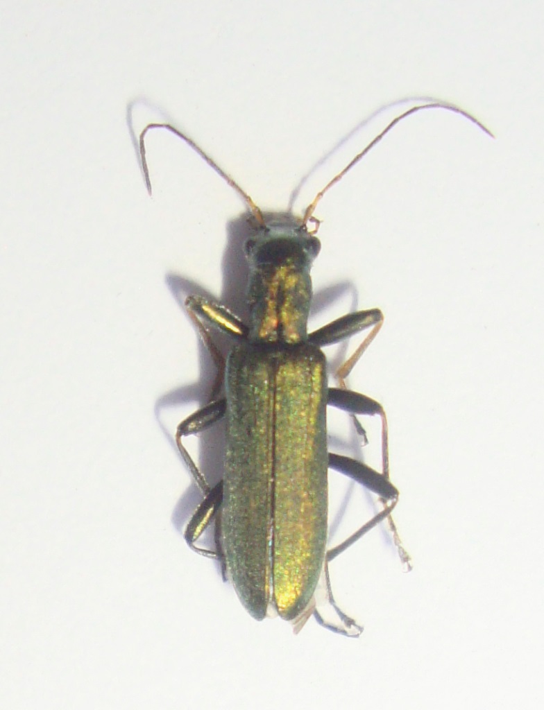
| Chrysanthia viridissima (Linnaeus, 1758) - Oedemeridae http://www.entomologiitaliani.net/public/forum/phpBB3/viewtopic.php?f=180&t=45744 |
Pagina 1 di 1 |
| Autore: | Limonium calabrum [ 26/06/2013, 22:45 ] |
| Oggetto del messaggio: | Chrysanthia viridissima (Linnaeus, 1758) - Oedemeridae |
Ho raccolto un paio di esemplari di questo Oedemeridae su ombrelle di carota selvatica, dalle fotografie presenti sul forum penso si possa trattare di Chrysanthia viridissima (Linnaeus, 1758) dite si possa confermare nonostante la pessima foto? Calabria - RC - Monte Scafi, 1100 m, 38°01'38''N 15°51'50''E 23.VI.2013 - L.Arcorace legit Dimensioni:9 mm |
|
| Pagina 1 di 1 | Tutti gli orari sono UTC + 1 ora [ ora legale ] |
| Powered by phpBB® Forum Software © phpBB Group http://www.phpbb.com/ |
|