|
Tutti gli orari sono UTC + 1 ora [ ora legale ] |

|
| Autore | Messaggio | ||
|---|---|---|---|
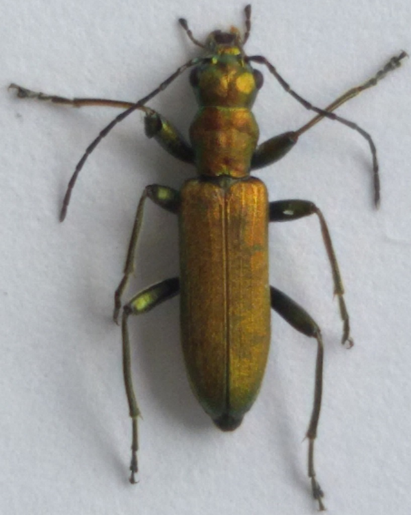
| forgix |
|
||
|
Iscritto il: 28/04/2015, 22:19 Messaggi: 92 Nome: David gilmur |
|
||
| Top |
|
||
| StagBeetle |
|
||
|
Iscritto il: 10/05/2009, 15:30 Messaggi: 7182 Località: Ancona Nome: Giacomo Giovagnoli |
|
||
| Top |
|
||
| Chalybion |
|
||
|
Iscritto il: 08/12/2013, 1:52 Messaggi: 7514 Località: Bagnacavallo (RA) Nome: Giorgio Pezzi |
|
||
| Top |
|
||
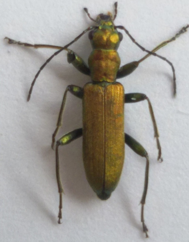
| forgix |
|
||
|
Iscritto il: 28/04/2015, 22:19 Messaggi: 92 Nome: David gilmur |
|
||
| Top |
|
||
|
Tutti gli orari sono UTC + 1 ora [ ora legale ] |
Chi c’è in linea |
Visitano il forum: Nessuno e 2 ospiti |
Non puoi aprire nuovi argomenti Non puoi rispondere negli argomenti Non puoi modificare i tuoi messaggi Non puoi cancellare i tuoi messaggi Non puoi inviare allegati |