Benvenuto Ospite

Forum Entomologi Italiani

www.entomologiitaliani.net/forum
 
Oggi è 22/10/2025, 22:55

Tutti gli orari sono UTC + 1 ora [ ora legale ]

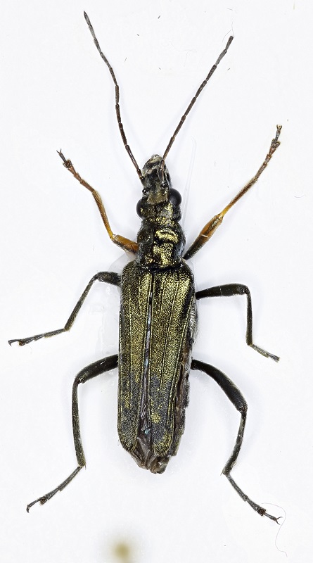
Oedemera (Oedemera) flavipes (Fabricius, 1792) Dettagli della specie

28.VI.2017 - CROAZIA - EE, Krivi Put 53271


nuovo argomento
rispondi
Pagina 1 di 1 [ 3 messaggi ]
Autore Messaggio
MessaggioInviato: 26/08/2017, 16:12 
Avatar utente

Iscritto il: 31/07/2014, 16:09
Messaggi: 619
Località: Northeim, Lower Saxony, Germany
Nome: Alex Hasenkampf
Oedemeridae ?


2017-08-05_17-44-22 M=C R=50 S=10.jpg

Top
profilo
 Oggetto del messaggio: Re: Oedemeridae ?
MessaggioInviato: 28/08/2017, 18:24 
 

Iscritto il: 08/12/2013, 1:52
Messaggi: 7511
Località: Bagnacavallo (RA)
Nome: Giorgio Pezzi
Hallo, it's Oedemera (Oedemera) flavipes (Fabricius, 1792), female.
Giorgio. :hi:


Top
profilo
MessaggioInviato: 29/08/2017, 20:03 
Avatar utente

Iscritto il: 31/07/2014, 16:09
Messaggi: 619
Località: Northeim, Lower Saxony, Germany
Nome: Alex Hasenkampf
Thank you !!! :birra:


Top
profilo
Visualizza ultimi messaggi:  Ordina per  
nuovo argomento
rispondi
Pagina 1 di 1 [ 3 messaggi ]

Tutti gli orari sono UTC + 1 ora [ ora legale ]


Chi c’è in linea

Visitano il forum: Nessuno e 1 ospite


Non puoi aprire nuovi argomenti
Non puoi rispondere negli argomenti
Non puoi modificare i tuoi messaggi
Non puoi cancellare i tuoi messaggi
Non puoi inviare allegati

Cerca per:
Vai a: