Forum Entomologi Italiani
http://www.entomologiitaliani.net/public/forum/phpBB3/

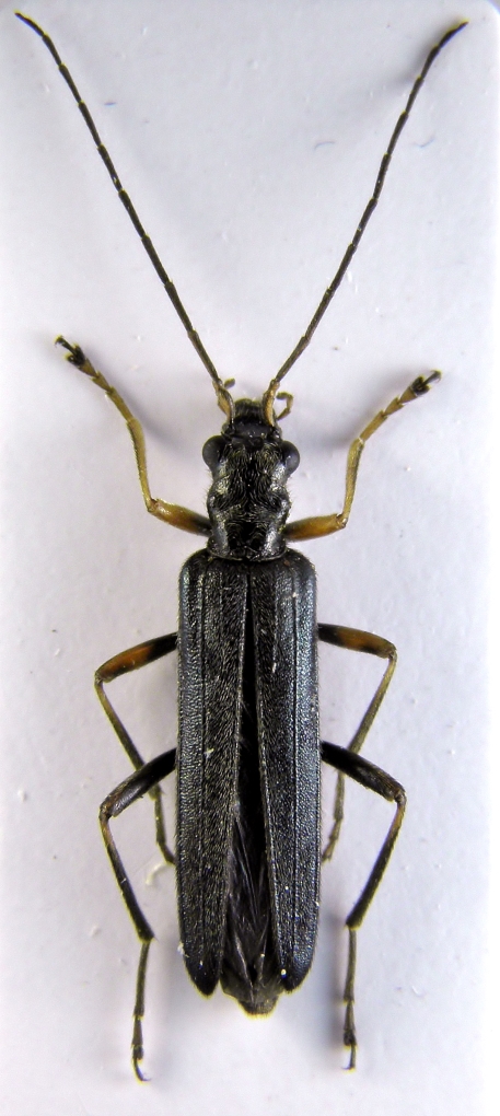
Oedemera (Stenaxis) annulata German, 1824 - Oedemeridae
http://www.entomologiitaliani.net/public/forum/phpBB3/viewtopic.php?f=180&t=83437
Pagina 1 di 1

Autore:  Agdistis [ 18/01/2019, 16:49 ]
Oggetto del messaggio:  Oedemera (Stenaxis) annulata German, 1824 - Oedemeridae

I tre ex sono stati catturati ad un paio di giorni di distanza l'uno dall'altro, ritengo siano della stessa specie anche se la colorazione delle zampe è diversa soprattutto nel terzo ex, diverse anche le dimensioni tra i tre ex
Spero di non sbagliare dicendo Oedemeridae ma per il resto lascio.
La colorazione è nero lucido ricoperto di peli dorati. Sono quasi certo di averli catturati ombrellando Quercus pubescens.
Ciao Lucio
dim: 9,5mm
oedem 007.JPG

dim: 8,4mm
oedem 009.JPG

dim: 7,3mm
oedem 011.JPG


Autore:  Plagionotus [ 18/01/2019, 17:43 ]
Oggetto del messaggio:  Re: coleottero da det.

sì, Lucio, sono Oedemeridae. In particolare sono Oedemera (Stenaxis) annulata Germar, 1824. Il terzo esemplare è una forma di colore interessante, di solito hanno le zampe parzialmente gialle come i primi due esemplari. Se per caso ti fosse di troppo...

Autore:  Agdistis [ 18/01/2019, 18:19 ]
Oggetto del messaggio:  Re: coleottero da det.

:ok: grazie, te ne prendo un a serie quando tornerò ad ombrellare in primavera, ricordo era molto abbondante.
Ciao Lucio

Pagina 1 di 1 Tutti gli orari sono UTC + 1 ora [ ora legale ]
Powered by phpBB® Forum Software © phpBB Group
http://www.phpbb.com/