Benvenuto Ospite

Forum Entomologi Italiani

www.entomologiitaliani.net/forum
 
Oggi è 22/10/2025, 20:46

Tutti gli orari sono UTC + 1 ora [ ora legale ]

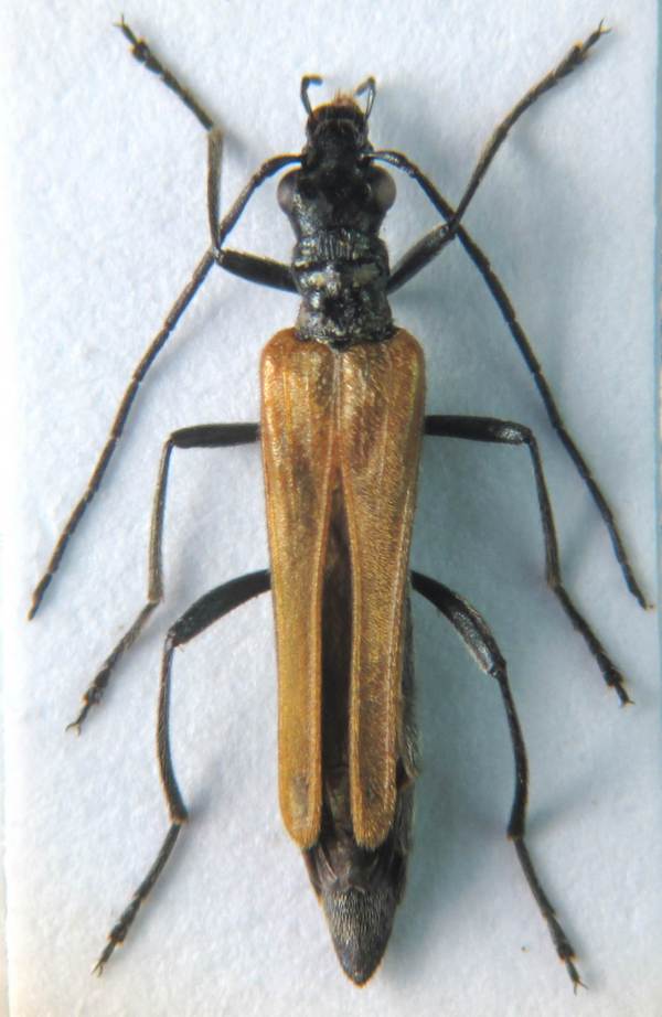
Oedemera (Oedemera) femorata (Scopoli, 1763) cf. Dettagli della specie

2.VI.2018 - ROMANIA - EE, Iasi: Vladeni (near)


nuovo argomento
rispondi
Pagina 1 di 1 [ 7 messaggi ]
Autore Messaggio
MessaggioInviato: 13/02/2019, 18:59 
Avatar utente

Iscritto il: 31/08/2010, 7:16
Messaggi: 3040
Località: Romania
Nome: Pintilioaie Alexandru Mihai
Hello :hi: , I think this is a female of Oedemera femorata, can someone confirm the ID? :birra: :D

IMG_0043.JPG



IMG_0045.JPG


_________________
alexandrupintilioaie(AT)gmail.com


Top
profilo
 Oggetto del messaggio: Re: Oedemeridae for ID
MessaggioInviato: 13/02/2019, 19:08 
Avatar utente

Iscritto il: 21/05/2009, 14:59
Messaggi: 6994
Località: Parigi
Nome: Riccardo Poloni
:ok: the only species in Romania with this habitus. Anyway it's a group difficult to determine and there are two very similar species, not cited for Romania but...

_________________
Riccardo Poloni
La dignità degli elementi
la libertà della poesia,
al di là dei tradimenti degli uomini
è magia, è magia, è magia...
Negrita, Rotolando verso sud


Top
profilo
 Oggetto del messaggio: Re: Oedemeridae for ID
MessaggioInviato: 13/02/2019, 22:39 
Avatar utente

Iscritto il: 31/08/2010, 7:16
Messaggi: 3040
Località: Romania
Nome: Pintilioaie Alexandru Mihai
Thank you Riccardo :lov2: :birra: , it is easyer to ID the species from this difficult group by male genitalia? :roll:

_________________
alexandrupintilioaie(AT)gmail.com


Top
profilo
MessaggioInviato: 14/02/2019, 19:28 
Avatar utente

Iscritto il: 21/05/2009, 14:59
Messaggi: 6994
Località: Parigi
Nome: Riccardo Poloni
Yes, with genitalia it0s easy. If you look at the shape of aedeagus and parameres you will see that they are very different. In addition males of O. femorata and O. flavipennis have a dark elytral border very often, O. graeca never. O. penicillata that can be confused with these three species can be easily distinguished by orange pronotum in females.
I attach you a small image with genitalia

genitalia femorata group.jpg


_________________
Riccardo Poloni
La dignità degli elementi
la libertà della poesia,
al di là dei tradimenti degli uomini
è magia, è magia, è magia...
Negrita, Rotolando verso sud


Top
profilo
MessaggioInviato: 15/02/2019, 11:01 
Avatar utente

Iscritto il: 31/08/2010, 7:16
Messaggi: 3040
Località: Romania
Nome: Pintilioaie Alexandru Mihai
Many thanks :lov2: :hi: , so I have to collect more males and expect for the best :D. From which book is the image?

_________________
alexandrupintilioaie(AT)gmail.com


Top
profilo
MessaggioInviato: 15/02/2019, 12:00 
Avatar utente

Iscritto il: 21/05/2009, 14:59
Messaggi: 6994
Località: Parigi
Nome: Riccardo Poloni
Hi Alexandru, this is a image I've done on photoshop copying and pasting from Svihla, 1999. Revision of the subgenera Stenaxis and Oedemera s. str. of the genus Oedemera (Coleoptera, Oedemeridae) ;)

_________________
Riccardo Poloni
La dignità degli elementi
la libertà della poesia,
al di là dei tradimenti degli uomini
è magia, è magia, è magia...
Negrita, Rotolando verso sud


Top
profilo
MessaggioInviato: 16/02/2019, 11:17 
Avatar utente

Iscritto il: 31/08/2010, 7:16
Messaggi: 3040
Località: Romania
Nome: Pintilioaie Alexandru Mihai
Many thanks! :lov2: :hi:

_________________
alexandrupintilioaie(AT)gmail.com


Top
profilo
Visualizza ultimi messaggi:  Ordina per  
nuovo argomento
rispondi
Pagina 1 di 1 [ 7 messaggi ]

Tutti gli orari sono UTC + 1 ora [ ora legale ]


Chi c’è in linea

Visitano il forum: Nessuno e 1 ospite


Non puoi aprire nuovi argomenti
Non puoi rispondere negli argomenti
Non puoi modificare i tuoi messaggi
Non puoi cancellare i tuoi messaggi
Non puoi inviare allegati

Cerca per:
Vai a: