Autore |
Messaggio |
Biasi
|
Inviato: 24/01/2022, 23:13 |
|
Iscritto il: 30/08/2019, 16:07 Messaggi: 309
Nome: Daniele Debiasi
|
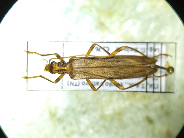
Volevo sottoporvi questo Oedemeridae, raccolto in un unico esemplare alla luce. Mi sembra possa essere Nacerdes carniolica, ma ho alcuni dubbi, poichè ho alcuni esemplari presunti di questa specie che si differenziano da questo sia per dimensioni che per colorazione. Ho provato a leggere un pò di discussioni a riguardo, ma visto che sugli Oedemeridae non so nulla, mi astengo dal pronunciarmi  . Dimensioni: 15-16 mm (contro i 12-13 delle altre presunte N. carniolica in mio possesso). Grazie!! P.S. Nell'ultima fotografia c'è l'esemplare in questione (a destra) assieme ad "uno degli altri", per mettere in evidenza le differenze a colpo d'occhio. 
_________________ "Dai diamanti non nasce nulla, dal letame nascono...gli stercorari!" Semi-cit.Daniele Debiasi, Altopiano della Vigolana (TN), debiasi.daniele@gmail.com
|
|
Top |
|
 |
Clickie
|
Inviato: 25/01/2022, 0:11 |
|
Iscritto il: 13/10/2010, 18:21 Messaggi: 1990
Nome: Andrea Liberto
|
Femmina di Oedemera (Oncomera) femoralis.
Ti fosse capitato un maschio, che ha metafemori ingrossati, non avresti avuto alcun dubbio nell'attribuzione.
Ciao, A.
|
|
Top |
|
 |
Biasi
|
Inviato: 25/01/2022, 8:57 |
|
Iscritto il: 30/08/2019, 16:07 Messaggi: 309
Nome: Daniele Debiasi
|
Ecco svelato l'arcano, non mi tornava perché ero andato proprio "a farfalle"  . Mi ero così incaponito su Nacerdes che non mi è neppure passato per la testa che potesse essere un Oedemera femoralis (a mia discolpa è l'unico esemplare che ho di questa specie  ). Grazie mille per l'intervento risolutore Andrea! 
_________________ "Dai diamanti non nasce nulla, dal letame nascono...gli stercorari!" Semi-cit.Daniele Debiasi, Altopiano della Vigolana (TN), debiasi.daniele@gmail.com
|
|
Top |
|
 |
Clickie
|
Inviato: 26/01/2022, 0:55 |
|
Iscritto il: 13/10/2010, 18:21 Messaggi: 1990
Nome: Andrea Liberto
|
Eddài, era facile.
Mezz'ora in più e la beccavi, sul forum non manca di certo l' Oedemera "giraffona"
Ciao, A.
|
|
Top |
|
 |
Clickie
|
Inviato: 26/01/2022, 0:57 |
|
Iscritto il: 13/10/2010, 18:21 Messaggi: 1990
Nome: Andrea Liberto
|
Ma se mi racconti in breve l'ambiente di raccolta (quota, fitocenosi, ecc.), ti ringrazio. A.
|
|
Top |
|
 |
Biasi
|
Inviato: 26/01/2022, 9:42 |
|
Iscritto il: 30/08/2019, 16:07 Messaggi: 309
Nome: Daniele Debiasi
|
Certamente! Allora, il paese in cui vivo si trova su un altopiano poco lontano da Trento. Ci sono due montagne una di fronte all'altra e il "fondovalle" coltivato/a prati. Questo esemplare mi è arrivato appunto alla luce (luce nera + luce UV "gialla") nella zona di minor quota (circa 650 m), ai margini del bosco (bosco fresco, zona rivolta a nord). La faggeta è la tipologia di bosco prevalente in tutto il territorio circostante ma, in quella zona, sparsi in mezzo ai faggi ci sono anche Quercus robur, Picea abies, Pinus sp. ( P. sylvestris prevalentemente) e Larix decidua. Queste sono le piante arboree di grosse dimensioni. Poi ci sono anche molti Fraxinus ornus e Corylus avellana di dimensioni minori. Non conosco la biologia degli Oedemeridae, ma se pensi che ci siano altri dettagli che possano esserti utili, non hai che da chiedere! 
_________________ "Dai diamanti non nasce nulla, dal letame nascono...gli stercorari!" Semi-cit.Daniele Debiasi, Altopiano della Vigolana (TN), debiasi.daniele@gmail.com
|
|
Top |
|
 |
Clickie
|
Inviato: 26/01/2022, 21:37 |
|
Iscritto il: 13/10/2010, 18:21 Messaggi: 1990
Nome: Andrea Liberto
|
Grazie Daniele, più che sufficiente. A.
|
|
Top |
|
 |
|