Benvenuto Ospite

Forum Entomologi Italiani

www.entomologiitaliani.net/forum
 
Oggi è 22/10/2025, 0:33

Tutti gli orari sono UTC + 1 ora [ ora legale ]

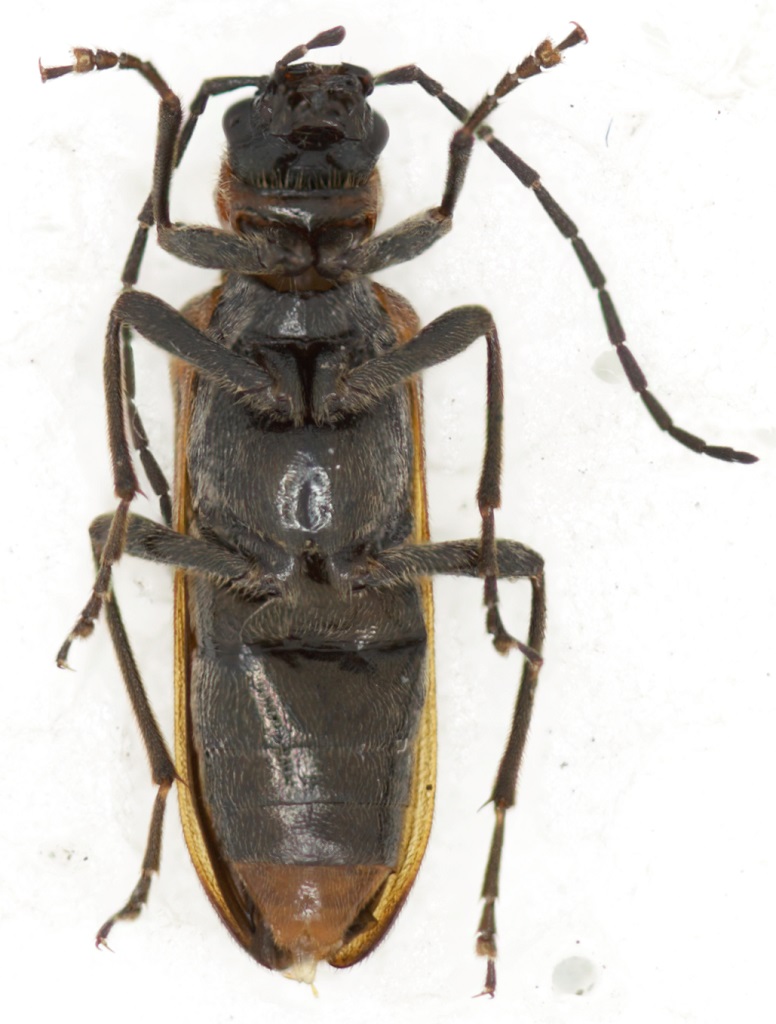
Anogcodes fulvicollis (Scopoli, 1763) Dettagli della specie

11.VII.2022 - ITALIA - Trentino-Alto Adige - TN, Folgaria, loc. Francolini, 1215 m


nuovo argomento
rispondi
Pagina 1 di 1 [ 8 messaggi ]
Autore Messaggio
MessaggioInviato: 19/07/2022, 16:24 
Avatar utente

Iscritto il: 05/05/2016, 11:22
Messaggi: 2962
Località: Santa Maria delle mole, Marino, Rm
Nome: Roberto Vanzini
Dim. 9,80 mm

Questo potrebbe essere Anogcodes rufiventris?

2022-07-19 16-18-30 (B,R8,S3)2(1).jpg


2022-07-19 16-19-18 (B,R8,S3)2(1).jpg


_________________
Roberto Vanzini


Top
profilo
 Oggetto del messaggio: Re: Anogcodes sp.
MessaggioInviato: 19/07/2022, 16:46 
Avatar utente

Iscritto il: 21/05/2009, 14:59
Messaggi: 6994
Località: Parigi
Nome: Riccardo Poloni
Mi pare più un melanurus, puoi controllare se lo scutello è emarginato all'apice? Nel caso lo sia, è una femmina di rufiventris, che però a memoria ha l'addome più ampiamente giallastro, mentre se non è emarginato è una femmina di melanurus (ex ustulatus)

_________________
Riccardo Poloni
La dignità degli elementi
la libertà della poesia,
al di là dei tradimenti degli uomini
è magia, è magia, è magia...
Negrita, Rotolando verso sud


Top
profilo
 Oggetto del messaggio: Re: Anogcodes sp.
MessaggioInviato: 19/07/2022, 17:02 
Avatar utente

Iscritto il: 05/05/2016, 11:22
Messaggi: 2962
Località: Santa Maria delle mole, Marino, Rm
Nome: Roberto Vanzini
Se per emarginato intendi ben delineato al margine si. Molto definito ed angoloso.

_________________
Roberto Vanzini


Top
profilo
 Oggetto del messaggio: Re: Anogcodes sp.
MessaggioInviato: 20/07/2022, 12:58 
 

Iscritto il: 08/12/2013, 1:52
Messaggi: 7510
Località: Bagnacavallo (RA)
Nome: Giorgio Pezzi
Per me è femmina di fulvicollis, visto il colore dell'addome e l'ultimo sternite con incavo (che dev'esserci anche nel pigidio), analogamente al maschio. :hi:


Top
profilo
 Oggetto del messaggio: Re: Anogcodes sp.
MessaggioInviato: 20/07/2022, 13:36 
Avatar utente

Iscritto il: 21/05/2009, 14:59
Messaggi: 6994
Località: Parigi
Nome: Riccardo Poloni
Non ricordavo che fulvicollis potesse avere elitre gialle, ma in effetti, controllando, Vazquez riporta una "var. medius" per l'Italia Nord Orientale. A questo punto, l'accendiamo, il resto quadra perfettamente e se mi dici che lo scutello non è emraginato (fatto a v rovesciata all'apice) non può essere ruficornis, visto che non ha per niente l'addome di un melanurus, abbiamo la conferma.

_________________
Riccardo Poloni
La dignità degli elementi
la libertà della poesia,
al di là dei tradimenti degli uomini
è magia, è magia, è magia...
Negrita, Rotolando verso sud


Top
profilo
 Oggetto del messaggio: Re: Anogcodes sp.
MessaggioInviato: 20/07/2022, 14:32 
Avatar utente

Iscritto il: 05/05/2016, 11:22
Messaggi: 2962
Località: Santa Maria delle mole, Marino, Rm
Nome: Roberto Vanzini
Come non detto :ok:
Grazie ad entrambi :birra:

_________________
Roberto Vanzini


Top
profilo
 Oggetto del messaggio: Re: Anogcodes sp.
MessaggioInviato: 22/07/2022, 18:59 
 

Iscritto il: 08/12/2013, 1:52
Messaggi: 7510
Località: Bagnacavallo (RA)
Nome: Giorgio Pezzi
wgliinsetti ha scritto:
Se per emarginato intendi ben delineato al margine si. Molto definito ed angoloso.

la emarginatura (o incavo) apicoscutellare del ruficollis :) spesso non è facilmente visibile dall'alto con ingrandimenti bassi ma diventa più evidente osservando l'insetto dal davanti, inclinato di 35-40°. Il colore degli addomi comunque, mi pare che in genere basti. :hi:


Top
profilo
MessaggioInviato: 22/07/2022, 19:24 
Avatar utente

Iscritto il: 05/05/2016, 11:22
Messaggi: 2962
Località: Santa Maria delle mole, Marino, Rm
Nome: Roberto Vanzini
:ok: Grazie

_________________
Roberto Vanzini


Top
profilo
Visualizza ultimi messaggi:  Ordina per  
nuovo argomento
rispondi
Pagina 1 di 1 [ 8 messaggi ]

Tutti gli orari sono UTC + 1 ora [ ora legale ]


Chi c’è in linea

Visitano il forum: Nessuno e 4 ospiti


Non puoi aprire nuovi argomenti
Non puoi rispondere negli argomenti
Non puoi modificare i tuoi messaggi
Non puoi cancellare i tuoi messaggi
Non puoi inviare allegati

Cerca per:
Vai a: