Forum Entomologi Italiani
http://www.entomologiitaliani.net/public/forum/phpBB3/

Rhynocoris spp.
http://www.entomologiitaliani.net/public/forum/phpBB3/viewtopic.php?f=19&t=5744
Pagina 1 di 1

Autore:  marco paglialunga [ 02/03/2010, 10:36 ]
Oggetto del messaggio:  Rhynocoris spp.

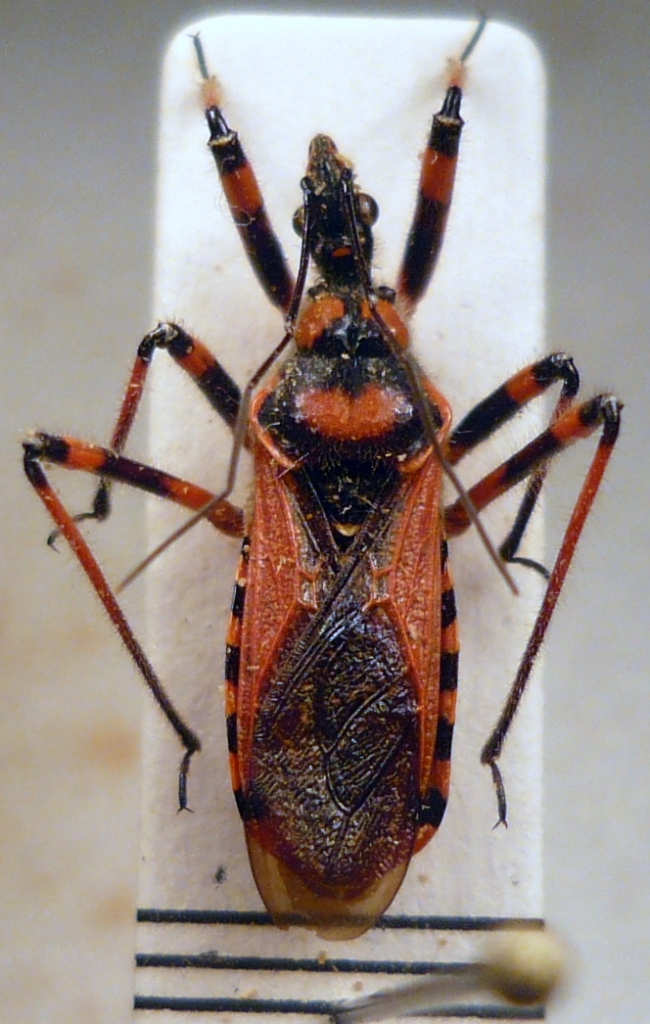
Tutti rubricus?

Allegati:
Sibillini VIII-94
15,5 mm

P1020445.JPG

M.te Nerone (PU) V-06
14 mm

P1020446.JPG

M.te Nerone (PU) V-06
15 mm

P1020444.JPG


Autore:  marsal [ 03/03/2010, 0:15 ]
Oggetto del messaggio:  Re: Rhynocoris rubricus (Germar, 1814)

A me sembrano piuttosto dei R. iracundus, ma per esserne certi occorre osservare la capsula genitale. Potresti provare a postare qualche foto con il dettaglio della capsula......aspettiamo anche Paride o Attilio

Autore:  marco paglialunga [ 03/03/2010, 9:36 ]
Oggetto del messaggio:  Re: Rhynocoris rubricus (Germar, 1814)

Grazie Martino dei tuoi interventi :D ,ma per osservare la capsula è sufficente sollevare leggermente le ali nel loro bordo posteriore o fare una foto della porzione distale dell'addome da sotto?

Autore:  eremicus [ 03/03/2010, 20:43 ]
Oggetto del messaggio:  Re: Rhynocoris rubricus (Germar, 1814)

Ritengo che Martino abbia ragione; per esserne certi gli esemplari dovrebbero essere fotografati in modo che si possa vedere la colorazione ventrale dell'addome.

Autore:  marco paglialunga [ 04/03/2010, 13:43 ]
Oggetto del messaggio:  Re: Rhynocoris rubricus (Germar, 1814)

.....si nota una certa differenza,almeno cromatica, tra il 1° e gli altri due :)

Allegati:
1° esemplare Sibillini lato dx
P1020566.JPG

1° esemplare Sibillini lato sin
P1020565.JPG

2° esemplare M.te Nerone lato dx
P1020562.JPG

2° esemplare M.te Nerone lato sin
P1020560.JPG

3° esemplare M.te Nerone lato sin
P1020556.JPG

3° esemplare M.te Nerone lato dx
P1020558.JPG


Autore:  eremicus [ 05/03/2010, 0:50 ]
Oggetto del messaggio:  Re: Rhynocoris rubricus (Germar, 1814)

Il primo es., ad addome ventralmente nero, è indeterminabile perché questa forma di colore è presente sia in rubricus che in iracundus. Se fosse un maschio si potrebbe capire che cos'è esaminando la falloteca, ma da quello che si vede sembra una femmina.
Gli altri due ess. sono R. rubricus.

Autore:  marco paglialunga [ 05/03/2010, 9:48 ]
Oggetto del messaggio:  Re: Rhynocoris rubricus (Germar, 1814)

Ciao e Grazie Attilio!!ma se questi sono rubricus,che colorazione hanno i metameri addominali dell'iracundus?

Pagina 1 di 1 Tutti gli orari sono UTC + 1 ora [ ora legale ]
Powered by phpBB® Forum Software © phpBB Group
http://www.phpbb.com/