Autore |
Messaggio |
Chalybion
|
Inviato: 01/04/2014, 8:02 |
|
Iscritto il: 08/12/2013, 1:52 Messaggi: 7510 Località: Bagnacavallo (RA)
Nome: Giorgio Pezzi
|
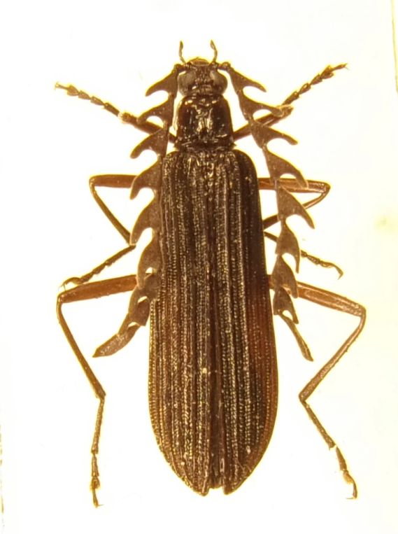
Interesting! Now my curiosity is: how Marco (Hypotyphlus) will call the new family? Some new opinion and I propose this species as very far ancestral coleoptera genus in opposition to Entomarci suggestion! Giorgio. 
|
|
Top |
|
 |
Carlo Monari
|
Inviato: 31/12/2017, 15:38 |
|
Iscritto il: 10/08/2010, 14:39 Messaggi: 3212 Località: Milano
Nome: Carlo Monari
|
A quasi quattro anni dall'ultimo messaggio, qualcuno ora ha qualche idea su come archiviare questa discussione?
_________________ Ciao
Carlo
|
|
Top |
|
 |
Chalybion
|
Inviato: 31/12/2017, 23:27 |
|
Iscritto il: 08/12/2013, 1:52 Messaggi: 7510 Località: Bagnacavallo (RA)
Nome: Giorgio Pezzi
|
A corredo della seconda pagina metto una terza foto, migliore. Confermo la formula tarsale 5-5-4 
|
|
Top |
|
 |
AetherisIgnis
|
Inviato: 01/01/2018, 6:45 |
|
Iscritto il: 02/11/2010, 22:33 Messaggi: 990
Nome: Aleksei Kovalev
|
|
Top |
|
 |
Plagionotus
|
Inviato: 27/12/2022, 12:50 |
|
Iscritto il: 21/05/2009, 14:59 Messaggi: 6994 Località: Parigi
Nome: Riccardo Poloni
|
Un Oedemeridae non è. Mi sa che ha ragione Enrico ed è un Pyrochroidae
_________________ Riccardo Poloni La dignità degli elementi la libertà della poesia, al di là dei tradimenti degli uomini è magia, è magia, è magia... Negrita, Rotolando verso sud
|
|
Top |
|
 |
gomphus
|
Inviato: 27/12/2022, 20:18 |
|
Iscritto il: 05/02/2009, 17:31 Messaggi: 9527 Località: milano
Nome: maurizio pavesi
|
e se invece fosse un Pythidae  ? un Pyrochroidae dovrebbe avere il capo fortemente ristretto a "collo" dietro le tempie, tipo Meloidae... o no?
_________________ ***************** maurizio
|
|
Top |
|
 |
soken
|
Inviato: 02/01/2023, 19:52 |
|
Iscritto il: 05/07/2009, 12:23 Messaggi: 6818 Località: Anzio (RM)
Nome: Vittorio Risoldi
|
...potrei sbagliarmi alla grande ma nel lavoro: Species limits in polymorphic mimetic Eniclases net-winged beetles from New Guinean mountains (Coleoptera, Lycidae) - Bocek & Bocak 2016 ...sembrerebbe da pronoto ed antenne molto simile a un Eniclases sp. Lycidae...il problema e' che sono esemplari della Nuova Guinea. 
_________________ °°°°°°°°°°°°°°°°°°°°°°°°°°°°°°°°°°°°°°°° CiaoVittorioFlickrPhe ImmaginiFacebook
|
|
Top |
|
 |
gomphus
|
Inviato: 03/01/2023, 0:06 |
|
Iscritto il: 05/02/2009, 17:31 Messaggi: 9527 Località: milano
Nome: maurizio pavesi
|
ti sbagli alla grande  i Lycidae hanno formula tarsale 5-5-5, non 5-5-4 
_________________ ***************** maurizio
|
|
Top |
|
 |
Clickie
|
Inviato: 03/01/2023, 2:03 |
|
Iscritto il: 13/10/2010, 18:21 Messaggi: 1990
Nome: Andrea Liberto
|
Da perfetto e rifinito incompetente sulle faune extra-paleartiche, cioè quelle vere, rilevo solo che l'inserzione dell'onichio nell'ultimo tarsomero (profondamente bilobato) è identica a quella degli edemeridi, forse troppo in fretta scartati.
Ma è solo un trastullo da grullo.
Solchi variamente distribuiti ed espansioni lamellari degli antennomeri nei maschi non mi paiono dirimenti, né in positivo né in negativo. Ne spuntano in tanti gruppi.
Conto sulla vostra benevolenza e inclinazione a dimenticare presto, e così in parte perdonare, le cazzate serali.
A.
|
|
Top |
|
 |
Clickie
|
Inviato: 03/01/2023, 2:14 |
|
Iscritto il: 13/10/2010, 18:21 Messaggi: 1990
Nome: Andrea Liberto
|
Ad ogni modo, ragionare solo sulla morfologia "esterna" non ha molto senso.
Trattasi evidentemente di un maschio. "Fagli il pisello", e così avremo un elemento in più. Un solido elemento.
I genitali maschili degli edemeridi rispondono a un modello sempre riconoscibile senza difficoltà.
Male che vada, eliminiamo con nettezza una delle possibili famiglie, e miglioriamo la mira.
A.
|
|
Top |
|
 |
soken
|
Inviato: 03/01/2023, 9:59 |
|
Iscritto il: 05/07/2009, 12:23 Messaggi: 6818 Località: Anzio (RM)
Nome: Vittorio Risoldi
|
gomphus ha scritto: ti sbagli alla grande  i Lycidae hanno formula tarsale 5-5-5, non 5-5-4  ....la mia ignoranza va ben oltre  ..... però il pronoto stretto con quella V , le antenne e la forma delle elitre non assomiglia tantissimo a E. similis o E. variabilis ?
_________________ °°°°°°°°°°°°°°°°°°°°°°°°°°°°°°°°°°°°°°°° CiaoVittorioFlickrPhe ImmaginiFacebook
|
|
Top |
|
 |
Nicola
|
Inviato: 03/01/2023, 10:18 |
|
Iscritto il: 24/11/2015, 19:04 Messaggi: 992 Località: Marina Romea (RA)
Nome: Nicola Cuffiani
|
AetherisIgnis ha scritto: How about a lagriine?  Anche secondo me Lagriinae, la formula tarsale torna e poi si sa, se non sai cos'è allora è un tenebrionide 
_________________ Nel mezzo del cammin di nostra vita mi ritrovai per una selva oscura, ché la diritta via era smarrita... (Inferno canto I)
|
|
Top |
|
 |
soken
|
Inviato: 03/01/2023, 12:25 |
|
Iscritto il: 05/07/2009, 12:23 Messaggi: 6818 Località: Anzio (RM)
Nome: Vittorio Risoldi
|
soken ha scritto: gomphus ha scritto: ti sbagli alla grande  i Lycidae hanno formula tarsale 5-5-5, non 5-5-4  ....la mia ignoranza va ben oltre  ..... però il pronoto stretto con quella V , le antenne e la forma delle elitre non assomiglia tantissimo a E. similis o E. variabilis ?  i Lagriinae sono sicuramente piu' accettabili !....guardate questo bel pdf sempre pero' della Nuova Guinea: NEW SPECIES, TAXONOMY AND FAUNISTICS OF EAST ASIAN AND PAPUAN LAGRIINAE LATREILLE, 1825 (COLEOPTERA: TENEBRIONIDAE) - Telnov 2022 https://www.researchgate.net/publicatio ... ebrionidae
_________________ °°°°°°°°°°°°°°°°°°°°°°°°°°°°°°°°°°°°°°°° CiaoVittorioFlickrPhe ImmaginiFacebook
|
|
Top |
|
 |
soken
|
Inviato: 03/01/2023, 14:34 |
|
Iscritto il: 05/07/2009, 12:23 Messaggi: 6818 Località: Anzio (RM)
Nome: Vittorio Risoldi
|
...ma perché mi ha citato il post di Maurizio...volevo citare quello di Nicola !...vabbe' ero capitato qui per caso e per curiosita' mi sono andato a cercare qualcosa….comunque sembra proprio un Lagriinae.
_________________ °°°°°°°°°°°°°°°°°°°°°°°°°°°°°°°°°°°°°°°° CiaoVittorioFlickrPhe ImmaginiFacebook
|
|
Top |
|
 |
|