Benvenuto Ospite

Forum Entomologi Italiani

www.entomologiitaliani.net/forum
 
Oggi è 21/10/2025, 20:13

Tutti gli orari sono UTC + 1 ora [ ora legale ]

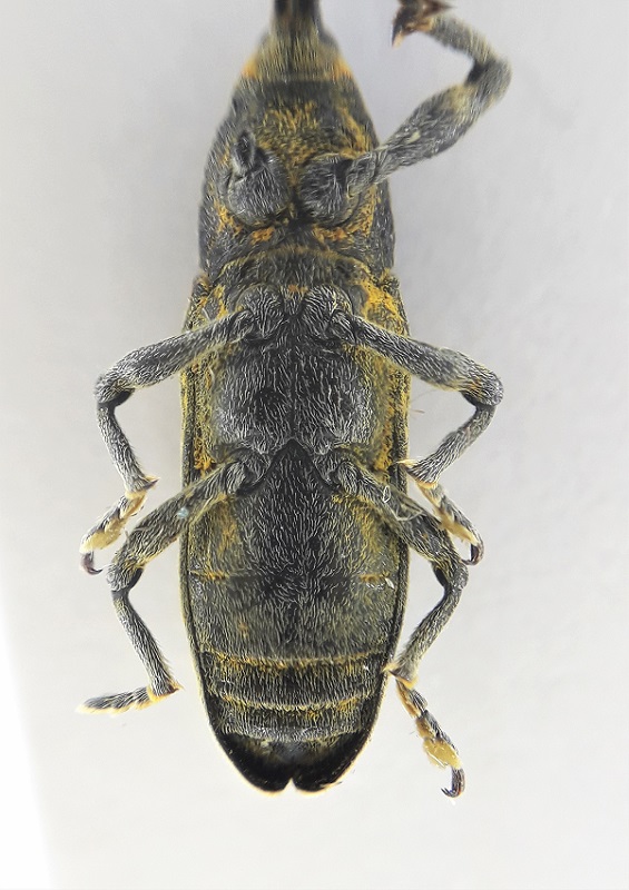
Lixus (Dilixellus) bardanae (Fabricius, 1787) - Curculionidae

6.IV.2019 - ITALIA - Toscana - MS, Lago di porta


nuovo argomento
rispondi
Pagina 1 di 1 [ 10 messaggi ]
Autore Messaggio
MessaggioInviato: 21/04/2020, 16:46 
Avatar utente

Iscritto il: 22/01/2019, 15:55
Messaggi: 312
Località: Massa (MS)
Nome: Francesco Adamo
Ciao a tutti! E' possibile determinare la specie di questo Curculionidae? Trovato sfalciando l'erba sugli argini di un ruscello. Lunghezza circa 11,5 mm. Grazie in anticipo! :D


4.jpg

3.jpg

2.jpg

1.jpg


_________________
Francesco
Top
profilo
 Oggetto del messaggio: Re: Lixus?
MessaggioInviato: 21/04/2020, 17:31 
Avatar utente

Iscritto il: 25/05/2011, 22:20
Messaggi: 555
Località: MILANO
Nome: FABIO SERENI
Lixus :roll:
:hi:
Fabio

_________________
Fabio Sereni


Top
profilo
 Oggetto del messaggio: Re: Lixus?
MessaggioInviato: 21/04/2020, 19:47 
Avatar utente

Iscritto il: 09/12/2010, 15:21
Messaggi: 1430
Località: San Giovanni in Marignano (RN)
Nome: Fabio Talamelli
Lixus (Dilixellus) punctiventris Boheman, 1835

_________________
Fabio Talamelli
Centro Studi Naturalistici Valconca
talamellif@libero.it
http://www.csnvalconca.it
Tel. 3384150775


Top
profilo
 Oggetto del messaggio: Re: Lixus?
MessaggioInviato: 21/04/2020, 19:56 
Avatar utente

Iscritto il: 09/12/2010, 15:21
Messaggi: 1430
Località: San Giovanni in Marignano (RN)
Nome: Fabio Talamelli
Per maggiore sicurezza controlla se ha dei punti denudati nell'addome perché ha delle similitudini con L. bardanae. Se ha i punti Lixus punctiventris

_________________
Fabio Talamelli
Centro Studi Naturalistici Valconca
talamellif@libero.it
http://www.csnvalconca.it
Tel. 3384150775


Top
profilo
 Oggetto del messaggio: Re: Lixus?
MessaggioInviato: 21/04/2020, 20:04 
Avatar utente

Iscritto il: 22/01/2019, 15:55
Messaggi: 312
Località: Massa (MS)
Nome: Francesco Adamo
Intanto grazie mille! Controllo il prima possibile! :hi:

_________________
Francesco


Top
profilo
 Oggetto del messaggio: Re: Lixus?
MessaggioInviato: 21/04/2020, 23:05 
Avatar utente

Iscritto il: 17/02/2009, 0:05
Messaggi: 8521
Località: Isola d'Elba - Arcipelago Toscano
Nome: Leonardo Forbicioni
Io ad occhio, voto per bardanae. :oops:

_________________
"Stay hungry, stay foolish".
Steve Jobs, 2005
___________________
jjuniper8(at)gmail.com
Twitter: @weevil_forbix
cell. 339/5275910
___________________


Top
profilo
 Oggetto del messaggio: Re: Lixus?
MessaggioInviato: 22/04/2020, 10:54 
Avatar utente

Iscritto il: 22/01/2019, 15:55
Messaggi: 312
Località: Massa (MS)
Nome: Francesco Adamo
Come richiesto ecco una visione dell'addome.


7.jpg


_________________
Francesco
Top
profilo
 Oggetto del messaggio: Re: Lixus?
MessaggioInviato: 22/04/2020, 10:58 
Avatar utente

Iscritto il: 17/02/2009, 0:05
Messaggi: 8521
Località: Isola d'Elba - Arcipelago Toscano
Nome: Leonardo Forbicioni
;) ;)
Aspettiamo Fabio, ma direi L.bardanae. :ok:

_________________
"Stay hungry, stay foolish".
Steve Jobs, 2005
___________________
jjuniper8(at)gmail.com
Twitter: @weevil_forbix
cell. 339/5275910
___________________


Top
profilo
 Oggetto del messaggio: Re: Lixus?
MessaggioInviato: 22/04/2020, 11:03 
Avatar utente

Iscritto il: 22/01/2019, 15:55
Messaggi: 312
Località: Massa (MS)
Nome: Francesco Adamo
Grazie mille! :D :hi:

_________________
Francesco


Top
profilo
MessaggioInviato: 22/04/2020, 19:19 
Avatar utente

Iscritto il: 09/12/2010, 15:21
Messaggi: 1430
Località: San Giovanni in Marignano (RN)
Nome: Fabio Talamelli
Lixus bardanae

_________________
Fabio Talamelli
Centro Studi Naturalistici Valconca
talamellif@libero.it
http://www.csnvalconca.it
Tel. 3384150775


Top
profilo
Visualizza ultimi messaggi:  Ordina per  
nuovo argomento
rispondi
Pagina 1 di 1 [ 10 messaggi ]

Tutti gli orari sono UTC + 1 ora [ ora legale ]


Chi c’è in linea

Visitano il forum: Nessuno e 2 ospiti


Non puoi aprire nuovi argomenti
Non puoi rispondere negli argomenti
Non puoi modificare i tuoi messaggi
Non puoi cancellare i tuoi messaggi
Non puoi inviare allegati

Cerca per:
Vai a: