Benvenuto Ospite

Forum Entomologi Italiani

www.entomologiitaliani.net/forum
 
Oggi è 26/10/2025, 20:02

Tutti gli orari sono UTC + 1 ora [ ora legale ]

Brachinus sp. - Carabidae

3.I.2007 - ITALIA - Sicilia - PA, Piana Albanesi, quota m 600


nuovo argomento
rispondi
Pagina 1 di 1 [ 9 messaggi ]
Autore Messaggio
 Oggetto del messaggio: Brachinus sp. - Carabidae
MessaggioInviato: 28/03/2011, 0:42 
Avatar utente

Iscritto il: 18/02/2009, 0:24
Messaggi: 3908
Località: Asciano (Siena)
Nome: Andrea Petrioli
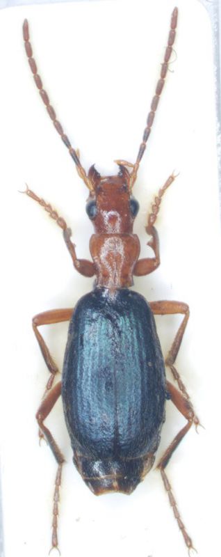
Chi si sbilancia sulla specie?

E' un normalissimo Brachinus (Brachinus) crepitans (Linne 1758) :cry: con un habitus un po' anomalo oppure potrebbe trattarsi di qualcosa di meglio :roll:

La colorazione viola (anche se la foto non rende il vero :sick: ), la forma slanciata, le dimensioni poco superiori ai 6 mm e l'edeago con apice evidentemente stondato, mi avevano (a suo tempo) fatto sperare in Brachinus (Brachinus) efflans Dejean & Boisduval 1829, ma non avendo materiale di confronto :no1:

Cosa ne pensate?

habitus
brachinusrid.jpg



edeago in visione laterale destra
edeago brachinusrid.jpg


_________________
:hi:
______
Andrea


Top
profilo
 Oggetto del messaggio: Re: Brachinus sp. - Carabidae
MessaggioInviato: 28/03/2011, 21:16 
Avatar utente

Iscritto il: 14/03/2009, 12:59
Messaggi: 3230
Località: Milano
Nome: Gabriele Franzini
Secondo me è pur sempre un B. crepitans. L'efflans è ancora + stretto e parallelo, e i miei hanno tutti le antenne gialle. Però sono andalusi, non siciliani, provenienza di cui non finora non ne ho mai visto uno sicuro.

:hi: G.


Top
profilo
 Oggetto del messaggio: Re: Brachinus sp. - Carabidae
MessaggioInviato: 28/03/2011, 21:39 
Avatar utente

Iscritto il: 05/02/2009, 17:31
Messaggi: 9527
Località: milano
Nome: maurizio pavesi
secondo me non è un crepitans, è più slanciato, con occhi più piatti, protorace meno dilatato in avanti, elitre più bluastre ed edeago differente

questo è con ogni probabilità quello ripetutamente citato d'italia come efflans; che poi sia effettivamente il vero efflans, è tutto da vedere

_________________
*****************
Immagine maurizio


Top
profilo
 Oggetto del messaggio: Re: Brachinus sp. - Carabidae
MessaggioInviato: 28/03/2011, 23:08 
Avatar utente

Iscritto il: 18/02/2009, 0:24
Messaggi: 3908
Località: Asciano (Siena)
Nome: Andrea Petrioli
Effettivamente non è molto simile ai B. efflans spagnoli (ho avuto modo di confrontarlo in passato); ma allo stesso modo non trovo grande corrispondenza con i classici B. crepitans :sick:

Nei prossimi giorni inserirò le immagini di altri due Brachinus raccolti assieme a questo. Uno, pur avendo delle elitre di colore più azzurro, è simili al presente. L'altro, molto più grande e dilatato presenta il "classico" edeago con apice squadrato da B. crepitans. :|

_________________
:hi:
______
Andrea


Top
profilo
 Oggetto del messaggio: Re: Brachinus sp. - Carabidae
MessaggioInviato: 28/03/2011, 23:32 
Avatar utente

Iscritto il: 08/05/2010, 22:25
Messaggi: 1462
Località: Milano
Nome: Riccardo Sciaky
Io da anni avevo notato la presenza in Sicilia di esemplari piccoli, scuri e violacei di Brachinus gr. crepitans. Ricordo che ne avevo esaminati alcuni esemplari al Museo di Milano che erano piccolissimi, molto violacei e assolutamente differenti dal solito aspetto da crepitans. Ora ho visto che in collezione ne ho anche io un esemplare, sempre di Piana Albanesi, del tutto simile a quello qui fotografato.

Perché a suo tempo non ho approfondito? Me ne sarò certamente dimenticato, ma è un argomento molto interessante. Qualcuno ci si dedichi, please! E poi mi faccia sapere i risultati.

Buona notte ;)

_________________
Riccardo


Top
profilo
 Oggetto del messaggio: Re: Brachinus sp. - Carabidae
MessaggioInviato: 29/03/2011, 14:04 
Avatar utente

Iscritto il: 06/02/2009, 9:03
Messaggi: 6370
Località: Bubano di Mordano (Bologna)
Nome: Augusto Degiovanni
Domanda, il B. crepitans dovrebbe avere la punta dell'edeago di forma troncata o anche concava, confermate ?, se si anche io ho un esemplare in tutto e per tutto simile ai crepitans del nord, ma con l'apice dell'edeago molto più a punta di quello di Andrea.
Poi vi sottopongo questo esemplare che ha le stesse caratteristiche di quello di Andrea, ma con edeago evidentemente differente, che ne pensate ? a me sembra assomigli ad un explodens, che sicuramente non sarà.

Scusate le foto tirate in "fretta e furia" :lol: :lol:

tn_brachy.jpg



tn_edeago brachy.jpg


_________________
CIAO :hi: Augusto Degiovanni

http://anthicidaeecarabidae.altervista.org


Top
profilo
 Oggetto del messaggio: Re: Brachinus sp. - Carabidae
MessaggioInviato: 29/03/2011, 14:54 
Avatar utente

Iscritto il: 05/02/2009, 17:31
Messaggi: 9527
Località: milano
Nome: maurizio pavesi
ciao augusto

di dov'è il tuo esemplare? controlla se ha le setole sull'orlo membranoso delle elitre, con quell'edeago rigonfio nella metà apicale a me sembra tanto un Brachinus (Brachynidius) brevicollis Motschulsky, 1844 (ex peregrinus Apfelbeck, 1904)

_________________
*****************
Immagine maurizio


Top
profilo
 Oggetto del messaggio: Re: Brachinus sp. - Carabidae
MessaggioInviato: 29/03/2011, 20:38 
Avatar utente

Iscritto il: 06/02/2009, 9:03
Messaggi: 6370
Località: Bubano di Mordano (Bologna)
Nome: Augusto Degiovanni
gomphus ha scritto:
ciao augusto

di dov'è il tuo esemplare? controlla se ha le setole sull'orlo membranoso delle elitre, con quell'edeago rigonfio nella metà apicale a me sembra tanto un Brachinus (Brachynidius) brevicollis Motschulsky, 1844 (ex peregrinus Apfelbeck, 1904)


Maurizio ora sono al lavoro, ma come dimensioni siamo sull'ordine dei 6-7 mm, e la cosa particolare è che l'apice delle elitre è membranoso ma con una frangia di peli tipo quella dell'immaculicornis, ed è qui che mi sorgeva il dubbio :roll: .
Il mio e sempre Siciliano per la località è meglio che aspetti domani mattina.

_________________
CIAO :hi: Augusto Degiovanni

http://anthicidaeecarabidae.altervista.org


Top
profilo
 Oggetto del messaggio: Re: Brachinus sp. - Carabidae
MessaggioInviato: 31/03/2011, 10:06 
Avatar utente

Iscritto il: 18/02/2009, 0:24
Messaggi: 3908
Località: Asciano (Siena)
Nome: Andrea Petrioli
Come promesso, ecco le foto dei due esemplari che avevo citato :)

Purtroppo essendo preparati già da tempo, gli edeagi non sono ben confrontabili essendo un po' ruotati, in ogni caso si apprezza come gli apici siano effettivamente differenti. All'occorrenza, e con un po' di tempo, posso sempre risciogliere l'euparal e rimontare i preparati ;) :( .
Relativamente all'habitus è evidente come il protorace e le elitre siano molto slanciati nel primo esemplare e ben più dilatati nel secondo.
La località di raccolta (così come la data) è la stessa del primo esemplare riportato nella discussione.

Variabilità interspecifica di Brachinus brepitans o più specie conviventi :roll: :? :roll: (cosa per altro molto frequente nel genere Brachinus).

Habitus Brachinus sp, lunghezza quasi 6,5 mm
brachinussp2rid.jpg


Apice edeago "arrotondato"
edeagobsp2rid.jpg




Habitus Brachinus crepitans, lunghezza quasi 9 mm
Bcrepitansrid.jpg


Apice edeago "squadrato"
edeago bcrepitansrid.jpg



Relativamente alle foto inserite da Augusto; per quanto riguarda l'edeago, vedendo l'apice a me farebbe venire in mente quello di un B. glabratus (in Sicilia :shock: ) ma se come dici te il margine posteriore delle elitre presenta le setole la specie da me citata si esclude a priori. In ogni caso gli edeagi dei Brachinus sono tosti, o meglio, è difficile riuscire a “fissarli” tutti nella stessa posizione e quindi risultano problematici da confrontare dalle sole immagini :cry: .
Sull’habitus mi sembra che, pur essendo un esemplare di piccole dimensioni, abbia il protorace non proprio allungato.....

_________________
:hi:
______
Andrea


Top
profilo
Visualizza ultimi messaggi:  Ordina per  
nuovo argomento
rispondi
Pagina 1 di 1 [ 9 messaggi ]

Tutti gli orari sono UTC + 1 ora [ ora legale ]


Chi c’è in linea

Visitano il forum: Nessuno e 2 ospiti


Non puoi aprire nuovi argomenti
Non puoi rispondere negli argomenti
Non puoi modificare i tuoi messaggi
Non puoi cancellare i tuoi messaggi
Non puoi inviare allegati

Cerca per:
Vai a: